Sold

Incredible Big Game Hunting Opportunity With Access To BLM

Acreage

342 ±

County

Huerfano

SOLD

Address CR 520.1, Lot #WP001 Walsenburg, CO 81089

View on Google Maps

Description

Follow a beautifully scenic, private road into your own secluded canyon full of native wildlife! This gorgeous mountain valley, beginning at 7,300 feet in elevation, includes numerous breathtaking meadows, ridges, clearings, and overlooks stretching up to 8,600 feet at the rear of the property, with Silver Mountain standing tall at 10,525 feet as the pinnacle backdrop. This incredibly unique property offers world-class big game hunting, hiking, exploring, biking, or just relaxing in your own private sanctuary, including private border access to thousands of acres of BLM ground above. The enthusiastic hiker can traverse the foothills easily, adventuring to Silver Mountain Peak and back in a quick day’s hike. From here, you’ll enjoy views for hundreds of miles stretching across the eastern plains and foothills below.

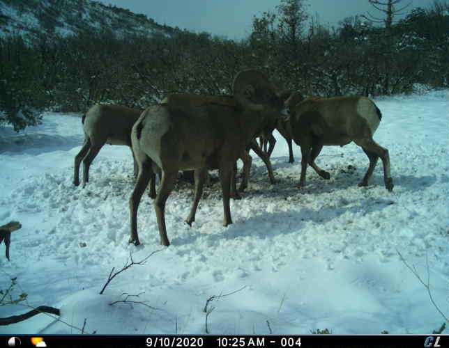
A bountiful spring flows even on the driest of years, attracting local wildlife herds to water along its banks. As you can see from the trail camera pictures, the property is a local mecca for Bighorn Sheep, Trophy Elk, Mule Deer, Bear, and Mountain Lion. This area is a very well-known home for Bighorn Sheep, and several sheep from this property have even been transplanted to other areas of Colorado to help grow the population throughout the state. Sheep have been spotted every time we’ve visited the property.

Two water wells (3gpm and 5 gpm) produce ample crystal-clear cold water, adding to the self-sufficiency of this secluded hideout. There is also an existing barn/storage shed and a new fenced holding pen, perfect for staging your horse or mule for your adventures throughout the area!

 In addition to all this, there are multiple gorgeous sites for a homestead or large cabin for a full-time residence between the two towering rock faces that line the north and south borders of the property, adding to the privacy and scenic beauty of this pristine getaway.

The property is part of the well-known Majors Ranch, which includes large acreages, maintained roads, and upscale mountain homes. Very few places in the world offer this level of hunting with a secluded private home site, yet just a short drive to the interstate.

This rare offering is a hunter’s dream, representing the pinnacle of Colorado hunting opportunity! Contact the Land Specialist for more information, or to inquire about setting up a private showing.

 

Details

  • 20 miles west of Walsenburg, 102 miles to Colorado Springs, and 173 miles to Denver
  • Incredible Big Game hunting for multiple species
  • Private access to the bordering large acreage of BLM
  • Includes 2 existing water wells and watering tank
  • Skiing opportunities within 2 hours, including Wolf Creek and Taos
  • Located in GMU 85
  • Private road maintained by the POA; dues of $200/year
  • Running spring water through center of property
  • Acreage available to enroll in the Landowner Preference Program for landowner hunting tags
  • Ready-to-use amenities with existing barn

Summary

Features

Wild Game, Mule Deer, Elk, Upland Game, Improvements, Investment, Bear, Cabin, Big Game, Antelope, Small Game, Dove, Roads, Road Access, Gravel, Dirt, Housing, Hunting Improvements, Water Control Structures, Recreational Improvements, Trail Network, Building Improvements, Barn, Utilities, Generator, Propane, Water, Area Features, Public Hunting, Boat Ramp, Public Fishing, Public Access Area, Marina, RV Park, Camping/Campground, Golf Course, Activities on Property, Hunting, Hiking, ATV Riding, Horseback Riding, Camping, Family Activities, Biking, Snowmobiling

Land Type

Hunting and Recreational

Outbuildings

Barn

Road Surface

Gravel, Dirt

Property Type

Recreational Land, Hunting Land

Improvements/Features

Big Game, Upland Game, Small Game, Water Control Structures, Trail Network

Land and Farm Property Types

Land - Hunting, Land - Recreational

Other Property Details

Utilities
  • generator: onsite
  • propane: onsite
  • water: onsite
Coordinates

37.6365, -105.043

Annual Taxes

$0

Sold Property

For more information or to see additional properties currently for sale see Jerrod Meyer's listings.

Nearby Related Properties


For Sale
$720,000 360 acres ±
Huerfano County • Walsenburg, CO 81089
For Sale
$35,000 35 acres ±
Huerfano County • Rye, CO 81069
For Sale
$40,000 40 acres ±
Huerfano County • Walsenburg, CO 81089
For Sale
$148,000 46.37 acres ±
Huerfano County • Walsenburg, CO 81089
For Sale
$3,700,000 700 acres ±
Huerfano County • Walsenburg, CO 81089
For Sale
$4,499,000 1350 acres ±
Huerfano County • Walsenburg, CO 81089
For Sale
$40,000 40 acres ±
Huerfano County • Walsenburg, CO 81089
For Sale
$40,000 40 acres ±
Huerfano County • Walsenburg, CO 89089

Be Part of a Thriving Land Community!

Get the same expert advice, property strategies, and land management tips that thousands of landowners trust. Subscribe now and stay ahead in the market.