Sold

A Beautiful Property With Endless Opportunities In North Central FL

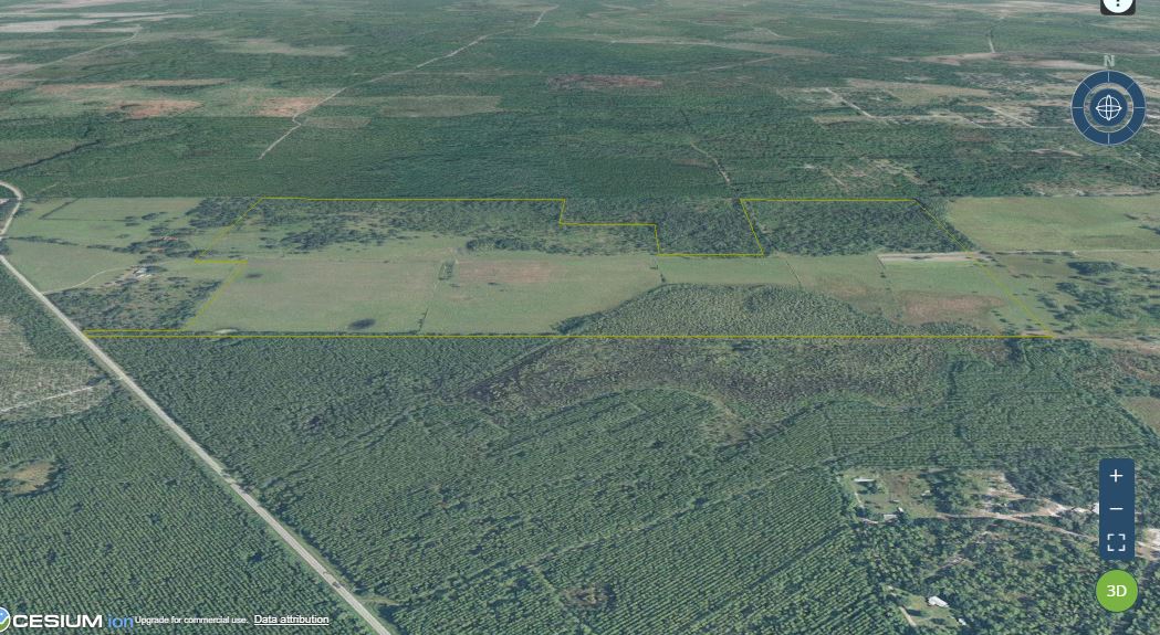
Acreage

258 ±

County

Putnam

SOLD

Address Bardin Road, Lot#WP01 Palatka, FL 32177

View on Google Maps

Description

A large tract of land with endless opportunities for ranchers and farmers. This beautiful property has it all; pasture land, mature oaks and pines, multiple small ponds, plus a big cypress pond for watering. It’s also set up perfectly for recreational activities as well as for hunters who enjoy harvesting deer, hogs, turkey, dove and waterfowl. Contact me for more information or a chance to view the property in person.

Details

  • Approx. 140+ acres of pasture
  • Perfect for a rancher or farmer
  • Highway access
  • 13 miles from Palatka
  • 41 miles to St Augustine
  • 46 miles to Jacksonville
  • Border fenced with cross fences
  • A variety of wildlife including deer, turkeys and hogs

Summary

Features

Tillable, Wild Game, Whitetail, Waterfowl, Turkey, Upland Game, Waterfront, Improvements, Investment, Pasture, Hog, Big Game, Small Game, Dove, Other Game, Duck, Bayou, Slough, Roads, Road Frontage, Highway, Interstate, Road Access, Dirt, Fence, Low, Cross Fence, Partial Fence, Fence Material, Wire, Tillable / Production Acres, Pine Trees, Hardwood Trees, Softwood Trees, Hay, Recreational Improvements, Trail Network, Infrastructure Improvements, Internal Road System, Area Features, Boat Ramp, Public Fishing, Golf Course, Airport, Activities on Property, Hunting, Hiking, ATV Riding, Horseback Riding, Family Activities, Biking, Tillable, Wild Game, Whitetail, Waterfowl, Turkey, Upland Game, Waterfront, Improvements, Investment, Pasture, Hog, Big Game, Small Game, Dove, Other Game, Duck, Bayou, Slough, Roads, Road Frontage, Highway, Interstate, Road Access, Dirt, Fence, Cross Fence, Partial Fence, Fence Material, Wire, Tillable / Production Acres, Pine Trees, Hardwood Trees, Softwood Trees, Hay, Recreational Improvements, Trail Network, Infrastructure Improvements, Internal Road System, Area Features, Boat Ramp, Public Fishing, Golf Course, Airport, Activities on Property, Hunting, Hiking, ATV Riding, Horseback Riding, Family Activities, Biking, Low Fence

Road Frontage

State Highway, Interstate

Road Surface

Dirt

Fencing

Low Fence, Cross, Partial

Land Details

Tillable, Pasture, Hay

Improvements/Features

Big Game, Waterfowl, Upland Game, Small Game, Bayou, Slough, Trail Network, Internal Road System

Land Type

Hunting and Recreational, Timberland, Waterfowl

Land and Farm Property Types

Land - Hunting, Land - Recreational, Timberland - Natural

Property Type

Recreational Land, Timberland, Hunting Land

Other Property Details

Coordinates

29.7735, -81.7522

Annual Taxes

$940

Sold Property

For more information or to see additional properties currently for sale see Cody Worley's listings.

Nearby Related Properties


Reduced
$999,900 96.41 acres ±
Putnam County • Interlachen, FL 32148
For Sale
$19,000 0.96 acres ±
Putnam County • Interlachen, FL 32148
Reduced
$199,900 12.02 acres ±
Alachua County • Earleton, FL 32631
For Sale
$374,900 58 acres ±
Alachua County • Hawthorne, FL 32640
For Sale
$649,950 70 acres ±
Bradford County • Starke, FL 32091
For Sale
$249,000 26.97 acres ±
Alachua County • Gainesville, FL 32609
For Sale
$724,900 16.81 acres ±
Marion County • Summerfield, FL 34491
Reduced
$999,999 138.59 acres ±
Columbia County • Lake City, FL 32055
Stay Connected

Be Part of a Thriving Land Community!

Get the same expert advice, property strategies, and land management tips that thousands of landowners trust. Subscribe now and stay ahead in the market.