Sold

Efficient Country Home On 13.41± Acres With Scenic Views, Wildlife, And Endless Potential

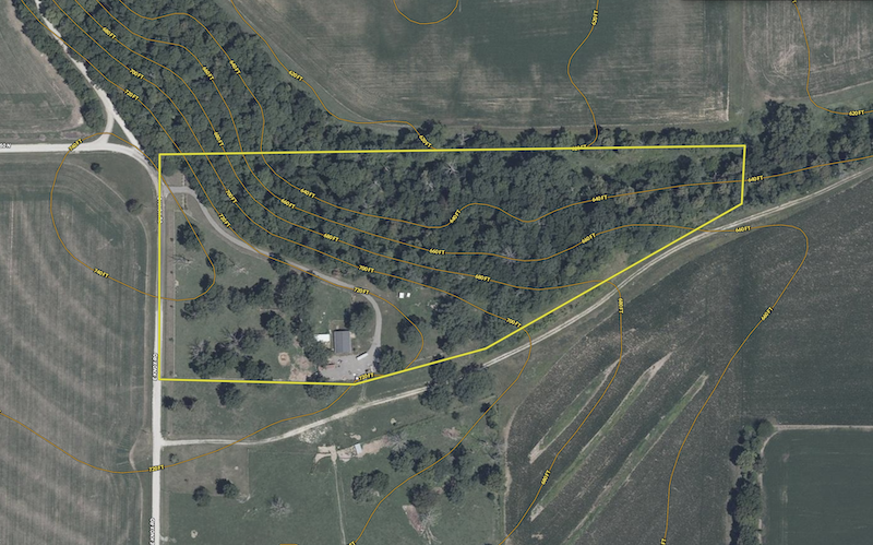
Acreage

13.41 ±

County

Stark

SOLD

Address 431 E Knox Road Williamsfield, IL 61489

View on Google Maps

Description

Find peace, privacy, and purpose on this stunning 13.41± acre country property nestled near the scenic Spoon River in southwestern Stark County. Surrounded by rolling timber and abundant wildlife, this property offers the perfect balance of seclusion and convenience, with easy access to nearby towns and outdoor recreation.

The well-insulated, energy-efficient home sits in a sunny clearing atop a beautiful hardwood ridge, offering panoramic views of the surrounding landscape. Designed for year-round comfort, the residence combines modern sustainability with the warmth and charm of country living. Inside, you’ll find inviting living spaces filled with natural light, thoughtfully crafted for both relaxation and productivity.

Step outside and enjoy the freedom this land provides, whether it’s hiking through your own woods, hunting, gardening, watching the seasons change, or simply listening to the quiet. The acreage includes ample open ground for expansion, hobby farming, or building additional structures to suit your vision.

Whether you’re seeking a peaceful full-time residence, a rejuvenating weekend retreat, or an income-generating investment such as a vacation rental or hunting property, this versatile property delivers. With its natural beauty, efficient design, and endless possibilities, this country haven is more than just a home — it’s a lifestyle. Reach out to Whitetail Properties listing agents Brent Reneau or Clark Cummings today to learn more or schedule your showing!

Details

  • 13.41± country acres featuring open ground, mature timber, and rolling hardwood ridges
  • Well-insulated, efficient home built in 2014 designed for comfort and low utility costs
  • Scenic hilltop views with stunning sunrises and peaceful surroundings
  • Excellent hunting opportunities for big deer and wild turkey in a proven area
  • Timber value for long-term investment and land appreciation
  • Trail system throughout the property for easy access and recreation
  • Room for a shop or garage—ideal for storage, hobbies, or equipment
  • Versatile land use: pasture, recreation, or hobby farming
  • 2 bedroom, 1 bathroom versatile home ideal for many lifestyles
  • Previously surveyed

Summary

Land Type

Hunting and Recreational, Home on Acreage

Property Type

Recreational Land, Residential Land, Timberland, Hunting Land, Horse Property

Land and Farm Property Types

Agriculture - Horse, Land - Recreational, Land - Residential

Road Frontage

Township Road

Road Surface

Gravel

Land Details

Open

Improvements/Features

Small Game, Big Game, Predators

Activities on Property

Hunting, Hiking, ATV Riding, Camping, Horseback Riding, Family Activities

Roads

Road Frontage

Type of Home

Residential, Country Home

Wild Game

Small Game, Big Game

Fencing

Low Fence

Other Property Details

Utilities
  • water: onsite
  • sewer: onsite
  • electric: onsite
  • propane: onsite
  • internet: onsite
  • cable: onsite
Coordinates

40.981, -89.9835

Annual Taxes

$536

Sold Property

For more information or to see additional properties currently for sale see Brent Reneau's listings.

Nearby Related Properties


New
$69,900 0.49 acres ±
Knox County • Henderson, IL 61439
Reduced
$99,900 2.29 acres ±
Henry County • Alpha, IL 61413
For Sale
$1,800,000 4 acres ±
Fulton County • Canton, IL 61520
For Sale
$355,000 39.5 acres ±
Warren County • Berwick, IL 61417
For Sale
$117,750 13.5 acres ±
Bureau County • Tiskilwa, IL 61368
New
$751,380 71.56 acres ±
Fulton County • Ellisville, IL 61431
Reduced
$399,000 56.9 acres ±
Warren County • Monmouth, IL 61462
For Sale
$58,000 5.01 acres ±
Marshall County • Lacon, IL 61540
Stay Connected

Be Part of a Thriving Land Community!

Get the same expert advice, property strategies, and land management tips that thousands of landowners trust. Subscribe now and stay ahead in the market.