Sold

Highly Productive Tillable Investment Tract For Sale

Acreage

26.99 ±

County

Gibson

SOLD

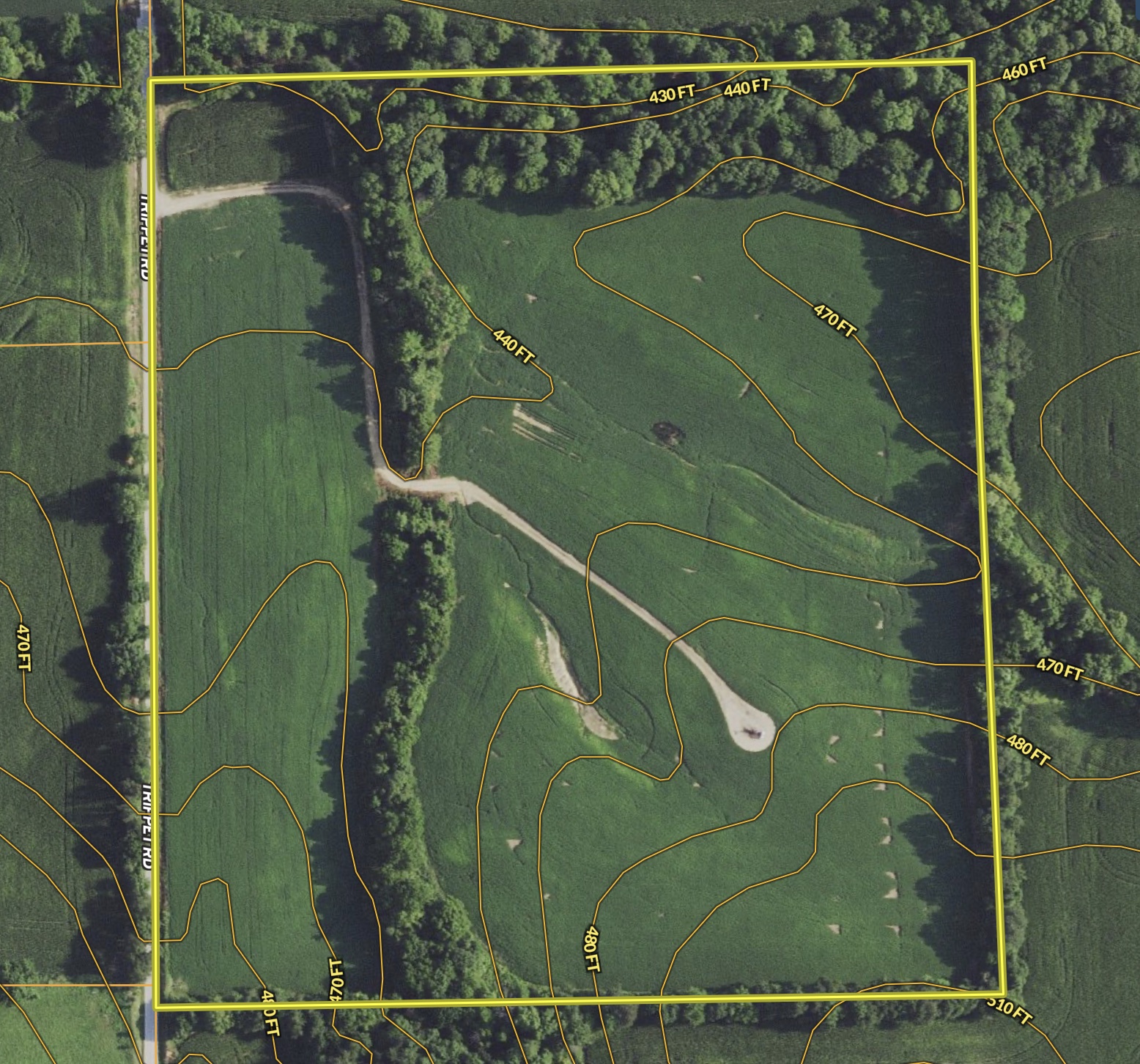
Address N Trippet Rd, Lot#WP001 Hazleton, IN 47640

View on Google Maps

Description

Check out this highly productive tillable investment property with country home build sites located off a paved county road. Situated in a desirable area, this mostly tillable property features 23.88+/- FSA acres with a weighted average NCCPI of 67.4. It is currently being cash rented on a year-to-year verbal lease to an area farmer for $240/ac. With 1200’+ of paved county road frontage, this property would also make for a great country home build site with the potential for multiple homes. Whether you are looking to add to your production or simply searching for a secluded country home build site that pays for itself, this property is well suited for both. An internal road leading to an active oil well provides great access to the tillable acreage in the back. For an additional $500/ac, the seller is willing to convey all subsurface rights, including the actively producing oil well. Don’t miss this chance to invest in a highly desirable and productive piece of Gibson county farmland!

Details

  • Productive Tillable investment
  • Weighted average NCCPI of 67.4
  • Currently cash rented at $240/ac
  • 1200’+ of paved county road frontage
  • Multiple County Home Build sites
  • Highly desirable area
  • 20 min drive to Toyota Plant
  • 25 mins to Petersburg and Vincennes
  • 40 mins to Evansville Regional Airport

Summary

Features

Wild Game, Whitetail, Waterfowl, Turkey, Upland Game, Improvements, Investment, Big Game, Small Game, Dove, Quail, Other Game, Geese, Roads, Road Frontage, County Road, Road Access, Pavement, Tillable / Production Acres, Corn, Wheat, Soybeans, Infrastructure Improvements, Internal Road System, Utilities, Electric, Water, Area Features, Public Hunting, Boat Ramp, Public Fishing, Public Access Area, Activities on Property, Hunting, ATV Riding, Horseback Riding, Camping, Family Activities, Recreational Improvements

Road Frontage

County Road

Road Surface

Pavement

Improvements/Features

Big Game, Waterfowl, Upland Game, Small Game, Internal Road System

Land Type

Ranch and Farm, Hunting and Recreational, Waterfowl

Land and Farm Property Types

Agriculture - Farm, Land - Hunting, Land - Recreational

Property Type

Farms, Recreational Land, Hunting Land

Other Property Details

Utilities
  • electric: onsite
  • water: onsite
Coordinates

38.4725, -87.5295

Annual Taxes

$462

Sold Property

For more information or to see additional properties currently for sale see Zach Holt's listings.

Nearby Related Properties


For Sale
$300,000 50 acres ±
Pike County • Hazleton, IN 47640
For Sale
$189,900 64 acres ±
Gibson County • Patoka, IN 47666
For Sale
$174,900 56 acres ±
Gibson County • Patoka, IN 47666
For Sale
$244,400 37.89 acres ±
Lawrence County • St Francisville, IL 62460
Reduced
$84,900 10.16 acres ±
Pike County • PETERSBURG, IN 47567
New
$120,000 32.81 acres ±
Pike County • Oakland City, IN 47660
For Sale
$140,000 1.57 acres ±
Pike County • Otwell, IN 47564
For Sale
$357,000 60 acres ±
Crawford County • Flat Rock, IL 62427
Stay Connected

Be Part of a Thriving Land Community!

Get the same expert advice, property strategies, and land management tips that thousands of landowners trust. Subscribe now and stay ahead in the market.