Sold

Beautiful Home On Acreage With Power, Fiber Optic, Gas, And Well

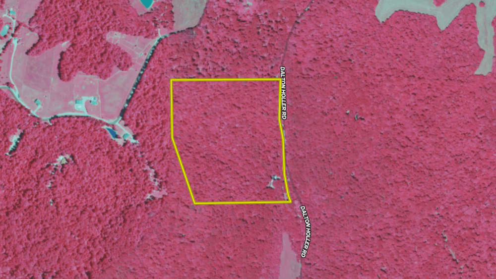
Acreage

33.86 ±

County

Jackson

SOLD

Address 3674 South County Road 1100 West Medora, IN 47260

View on Google Maps

Description

Many people dream of owning a secluded rural property yet still desire all the modern amenities, utilities, and renovations of a new build. This is your chance to have it all. Nestled in southwest Jackson County, this beautiful, move-in-ready home is perfect for rental income or full-time living. Key features include power, fiber optic internet, electric and gas heating options, two fireplaces, two full bathrooms, three bedrooms, an office currently used as a fourth bedroom and multiple stone creek beds full of geodes. The home boasts a modern design, with a fully equipped kitchen that includes an oven/range, dishwasher, large stainless steel sink, and microwave. Adjacent to the kitchen is a laundry room with a washer, dryer, and utility sink. The kitchen flows into a spacious living and dining area with a fireplace and two French doors open to a screened porch with a gas grill. A second living area also features a fireplace, providing additional space for seating and dining. There are two full bathrooms: the downstairs bath has a glass-enclosed shower, while the upstairs bath features two sinks and a tub/shower combo. Four rooms are currently used as bedrooms, though only three have closets. The property is serviced by a well with a water softener, UV sanitizer, and a pressurization tank. The electric furnace switches to a gas backup when temperatures drop, and a heater in the utility room prevents water lines from freezing. Outside, a large gravel parking area is shaded by mature walnut trees. A shed at the back of the parking area provides excellent tool storage. A pavilion near the screened porch is built with sturdy telephone pole posts. Power and fiber optic lines have been brought in from the neighboring county road, and the cleared power line area doubles as a great food plot for hunters. Many of the home’s furnishings will remain, making your transition effortless. Property viewings are by appointment only for pre-qualified buyers.

Details

  • Full kitchen with dishwasher, oven, fridge
  • Laundry room with washer/ dryer/ tub sink
  • Power, fiber optic, well, septic
  • Electric furnace with gas back up
  • 2 full bath, 3 bedrooms and an office
  • Power line cut out formerly planted in food plots
  • Nice hunting blind remaining on site
  • Large parking area with mature timber, shed, pavilion
  • 2 gated entrances
  • Multiple creeks full of geodes

Summary

Nearby Features

Public Hunting, Public Fishing, Camping/Campground, Boat Ramp, Public Access Area, RV Park

Land Type

Hunting and Recreational, Home on Acreage

Property Type

Recreational Land, Residential Land, Timberland, Hunting Land

Land and Farm Property Types

Land - Hunting, Land - Recreational, Land - Residential

Road Frontage

County Road

Road Surface

Gravel

Fencing

Partial

Outbuildings

Barn

Land Details

Timber

Improvements/Features

Small Game, Big Game, Predators, Tree Stands/Blinds, Trail Network

Activities on Property

Hunting, Hiking, ATV Riding, Camping, Biking, Horseback Riding, Family Activities

Roads

Road Frontage

Type of Home

Residential

Wild Game

Small Game, Big Game

Recent Property Improvements

Food plot, Trail network, Tree stand/Blinds

Other Property Details

Utilities
  • electric: onsite
  • propane: onsite
  • internet: onsite
  • water: onsite
Coordinates

38.8187, -86.2404

Annual Taxes

$2,400

Sold Property

For more information or to see additional properties currently for sale see Brad Garrison's listings.

Nearby Related Properties


For Sale
$140,000 19 acres ±
Jackson County • Medora, IN 47260
For Sale
$260,000 20 acres ±
Jackson County • Medora, IN 47260
For Sale
$999,900 276.23 acres ±
Orange County • Orleans, IN 47452
For Sale
$325,000 50 acres ±
Jackson County • Freetown, IN 47235
New
$349,900 4 acres ±
Washington County • Salem, IN 47167
Reduced
$849,000 268.2 acres ±
Washington County • Scottsburg, IN 47170
For Sale
$399,900 23.29 acres ±
Washington County • Salem, IN 47167
Reduced
$2,599,000 322.18 acres ±
Monroe County • Springville, IN 47462
Stay Connected

Be Part of a Thriving Land Community!

Get the same expert advice, property strategies, and land management tips that thousands of landowners trust. Subscribe now and stay ahead in the market.