Sold

Hunting Property With Great Oak Stands In Jackson County Indiana

Acreage

49.9 ±

County

Jackson

SOLD

Address 3000 North Block County Road 650 West Brownstown, IN 47220

View on Google Maps

Description

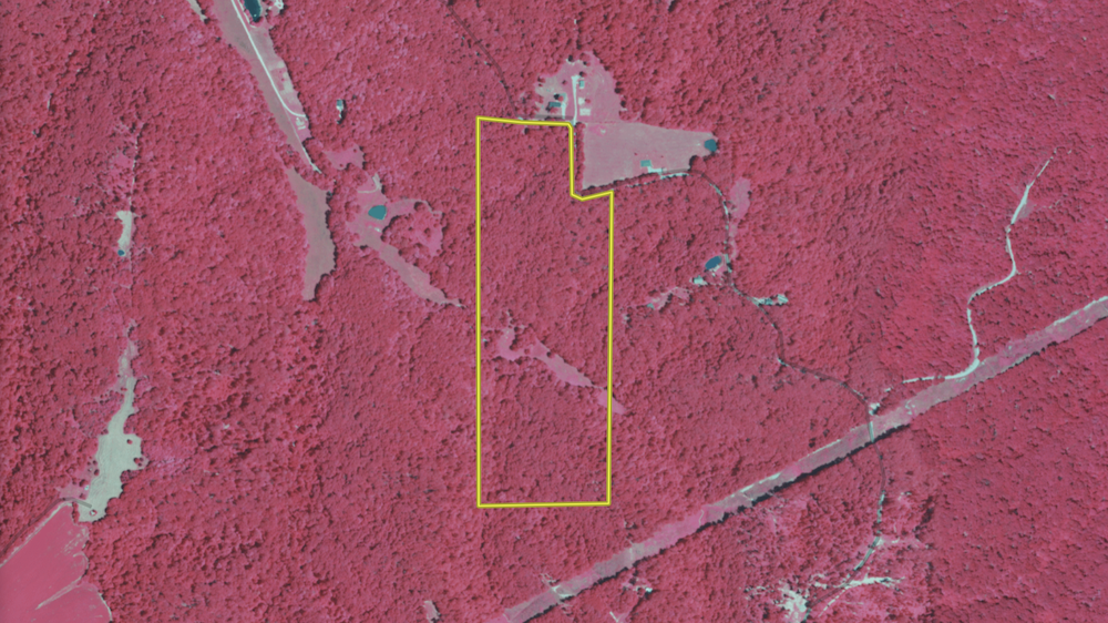
This 49.9-acre tract in Jackson County, Indiana, combines hardwood timber, open ground, and a creek corridor, creating a versatile recreational property with long-term potential. The property has a gated entrance and over 1,100 feet of road frontage, providing both accessibility and security. From the entrance, a well-established trail system extends downhill and branches throughout the acreage, offering convenient foot or side-by-side access.

The timber stand consists of mixed hardwoods in varying stages of growth, including oak, walnut, hickory, poplar, and sweet gum. Several red, black, and white oaks are present, producing mast crops that draw and sustain wildlife. Evidence of deer and turkey activity is visible through acorn shells and well-used travel routes across the land.

As the main trail descends, it leads into a small field positioned along a creek bottom. This opening serves as a natural wildlife travel corridor and foraging area. From there, the trail climbs back uphill through mature woods and reaches the property's rear boundary, adding elevation changes and terrain diversity. Combining bottomland and upland timber enhances habitat quality and provides various recreational options.

Utilities, including electricity and public water, are available along the road, offering potential for future building or cabin placement. The property is well located near the junction of Jackson, Bartholomew, and Brown Counties. Columbus is approximately 20 miles away, Seymour is about 15 miles, and Brownstown is roughly 12 miles. In addition to the acreage itself, several public lands, state parks, and wildlife areas are nearby, expanding the opportunities for hunting, hiking, and outdoor recreation.

With a balance of wooded acres, open ground, and creek frontage, this tract provides secure access, a diverse landscape, and multiple land-use possibilities in a desirable part of southern Indiana.

Details

  • Gated entrance with 1,100+ feet of road frontage
  • Mixed hardwood timber: oak, walnut, hickory, poplar, and sweet gum
  • Established trail system for access by foot or side-by-side
  • Small field and creek corridor serving as a natural wildlife travel area
  • Approximately 12 miles to Brownstown, 15 miles to Seymour, and 20 miles to Columbus

Summary

Land Type

Hunting and Recreational

Property Type

Farms, Recreational Land, Residential Land, Hunting Land

Land and Farm Property Types

Land - Hunting, Land - Recreational, Land - Residential

Road Frontage

County Road

Road Surface

Blacktop/Asphalt

Land Details

Timber

Improvements/Features

Small Game, Big Game, Predators, Tree Stands/Blinds, Trail Network, Seller's Mineral Rights Convey

Activities on Property

Hunting, Hiking, ATV Riding, Camping, Biking, Horseback Riding, Family Activities

Roads

Road Frontage

Nearby Features

Public Hunting, Public Fishing, Camping/Campground, Boat Ramp, Public Access Area, RV Park, Golf Course

Waterfront

Creek

Wild Game

Small Game, Big Game

Other Property Details

Coordinates

38.93, -86.157

Annual Taxes

$1,000

Sold Property

For more information or to see additional properties currently for sale see Brad Garrison's listings.

Nearby Related Properties


For Sale
$260,000 20 acres ±
Jackson County • Medora, IN 47260
For Sale
$140,000 19 acres ±
Jackson County • Medora, IN 47260
For Sale
$325,000 50 acres ±
Jackson County • Freetown, IN 47235
New
$1,120,000 56 acres ±
Bartholomew County • Columbus, IN 47201
Reduced
$849,000 268.2 acres ±
Washington County • Scottsburg, IN 47170
For Sale
$999,900 276.23 acres ±
Orange County • Orleans, IN 47452
New
$349,900 4 acres ±
Washington County • Salem, IN 47167
Reduced
$2,599,000 322.18 acres ±
Monroe County • Springville, IN 47462
Stay Connected

Be Part of a Thriving Land Community!

Get the same expert advice, property strategies, and land management tips that thousands of landowners trust. Subscribe now and stay ahead in the market.