For sale $399,900 | 37.9± Acres

Wooded Buildable Property Adjacent To Public Forestry In South Central Indiana (Whole)

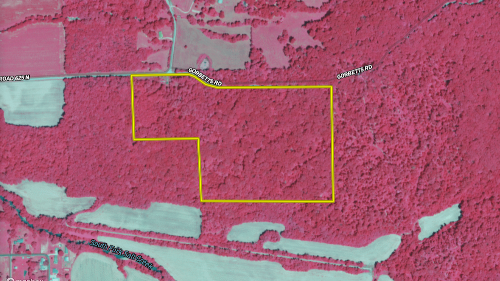
8000 W County Road 625 N, Lot#WP006 Freetown, IN 47235 – Jackson | View on Google Maps

Recreational Land Residential Land Timberland Hunting Land

Description

Wooded lots for building a new home or enjoying private weekends at the camper are extremely popular in south-central Indiana. This property is offered whole or as four buildable tracts adjacent to or with close access to Hoosier National Forest! Public water will be ran along the road soon to all 4 tracts, power is available, and fiber optic is possible with a fee from a main-line located along 625 N. The property as a whole is approximately 39.7 acres +- and is adjacent to public forestry. The tracts are offered as follows: Tract 1 - 8.5 acres +-, Tract 2 - 11.55 acres +-, Tract 3 - 9.67 acres +-, and Tract 4 - 9.88 acres +-. Located in northwestern Jackson County, right outside of Kurtz and minutes from Freetown, this property is a short drive from Brownstown and Seymour (less than 30 minutes) and Nashville, Bedford, and Columbus (just over 40 minutes). This is a perfect location to be away from the city but not too far from restaurants, entertainment, and groceries. Hoosier National Forest, a renowned public hunting and recreation forestry, offers thousands of acres of public access within 30 minutes of these tracts, ideal for hiking, biking, hunting, and exploring. These lots are not only great for building but also make great camping retreats, hunting camps, and central meetups for biking and hiking adventures. The county just re-paved the road recently, and it is a wonderful drive with beautiful wooded views. Deer and turkey are abundant in Jackson County; this property is no exception. Property and tracts are shown by appointment with pre-qualified buyers.

Summary

Property SummaryProperty

Property Type

Recreational Land, Residential Land, Timberland, Hunting Land

Road Frontage

County Road

Road Surface

Blacktop/Asphalt

Property Summary Approximate Distances

18 miles Seymour
27 miles Columbus
33 miles Bloomington
69 miles Indianapolis
69 miles Louisville, KY

Land DetailsUtilities

electric: nearby

internet: nearby

Details

  • Offered as whole 50 acres +- or 5 tracts
  • Wooded property adjacent to Hoosier National Forest
  • Mostly high ground and hilltop
  • Within 50 minutes of Columbus, Nashville, and Bedford
  • Within 30 minutes of Brownstown and Seymour

Other

Coordinates

38.964, -86.193

Annual Taxes

$281

Listing Agents

Nearby Related Properties


For Sale
$99,900 9.67 acres ±
Jackson County • Freetown, IN 47235
Reduced
$329,000 85.34 acres ±
Washington County • Salem, IN 47167
For Sale
$1,390,000 157.34 acres ±
Washington County • Campbellsburg, IN 47108
For Sale
$244,900 42.56 acres ±
Washington County • Salem, IN 47167
For Sale
$1,749,000 5.77 acres ±
Monroe County • Bloomington, IN 47460
Reduced
$309,900 100 acres ±
Washington County • Scottsburg, IN 47167
For Sale
$69,900 4.99 acres ±
Washington County • Scottsburg, IN 47170
Reduced
$114,900 17.36 acres ±
Lawrence County • Mitchell, IN 47446
Stay Connected

Be Part of a Thriving Land Community!

Get the same expert advice, property strategies, and land management tips that thousands of landowners trust. Subscribe now and stay ahead in the market.