Sold

Great Hunting Property In Southeast Indiana With Pasture Income

Acreage

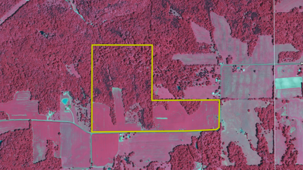
80 ±

County

Jefferson

SOLD

Address 9499 E Poplar Ridge Road Canaan, IN 47224

View on Google Maps

Description

Great pastures and wooded rolling hills await this new opportunity in Southeast Indiana. The same family has owned this property for over 150 years. Not far from State Road 129, this property has approximately 3,400 ft. of road frontage. The current pastures are approximately 30 acres, and the remaining 50 acres are wooded. Patriot water and REMC electric are available at the road. A full-size pickup can drive on wide-maintained roads throughout the wooded acreage. The wooded acreage recently had a selective timber harvest, and the work was cleaned up beautifully. The remaining treetops are scattered and make excellent deer bedding. The current farmer has stated he would like to continue utilizing the pastures for hay, which could be a great income opportunity. Plenty of hilltop buildable space on the fields, and the property could easily be split down the road if future owners ever wanted to do so for extra cash. The property is just south of Versailles and north of Vevay, so access to and travel to each is pretty straightforward. Public land hunting opportunities are nearby at Splinter Ridge FWA, and park hunt drawings for Versailles State Park and Big Oaks National Wildlife Refuge. Eastern Jefferson County and Switzerland County are known for great deer populations and age structures. The property could make a great hunting property, building lot, commercial agribusiness, or other operation requiring much physical space. Property shown by appointment only to pre-qualified buyers.

Details

  • 50 acres of rolling timber
  • 30 acres of tillable pasture, currently clover and hay
  • Electric and water at the road
  • Near State Road 129
  • Between Versailles and Vevay

Summary

Nearby Features

Public Hunting, Camping/Campground

Activities on Property

Hunting, Hiking, ATV Riding, Camping, Biking, Horseback Riding, Family Activities

Roads

Road Frontage

Tillable/Production Areas

Pasture

Wild Game

Small Game, Big Game

Recent Property Improvements

Trail network

Property Type

Recreational Land, Residential Land, Timberland, Hunting Land

Land and Farm Property Types

Land - Hunting, Land - Recreational, Land - Residential

Road Frontage

County Road

Road Surface

Blacktop/Asphalt

Land Details

Pasture, Timber, Tillable, Hay

Improvements/Features

Small Game, Big Game, Predators, Trail Network, Seller's Mineral Rights Convey

Feeds

Lands of America

Other Property Details

Utilities
  • electric: nearby
  • water: nearby
Coordinates

38.896, -85.214

Annual Taxes

$961

Sold Property

For more information or to see additional properties currently for sale see Brad Garrison's listings.

Nearby Related Properties


For Sale
$400,000 18 acres ±
Switzerland County • Bennington, IN 47011
For Sale
$750,000 49.34 acres ±
Switzerland County • Bennington, IN 47011
For Sale
$110,500 8.5 acres ±
Switzerland County • Bennington, IN 47011
For Sale
$110,500 8.5 acres ±
Switzerland County • Bennington, IN 47011
Reduced
$274,000 61.06 acres ±
Switzerland County • Vevay, IN 47043
Reduced
$999,900 86.04 acres ±
Switzerland County • Vevay, IN 47043
For Sale
$275,000 10 acres ±
Jefferson County • Madison, IN 47250
Reduced
$139,000 16.86 acres ±
Switzerland County • Vevay, IN 47043
Stay Connected

Be Part of a Thriving Land Community!

Get the same expert advice, property strategies, and land management tips that thousands of landowners trust. Subscribe now and stay ahead in the market.