Sold

Brand New Pole Barn And Acreage On Big Creek In Deputy Indiana

Acreage

30 ±

County

Jefferson

SOLD

Address 3234 N Spry Road Deputy, IN 47230

View on Google Maps

Description

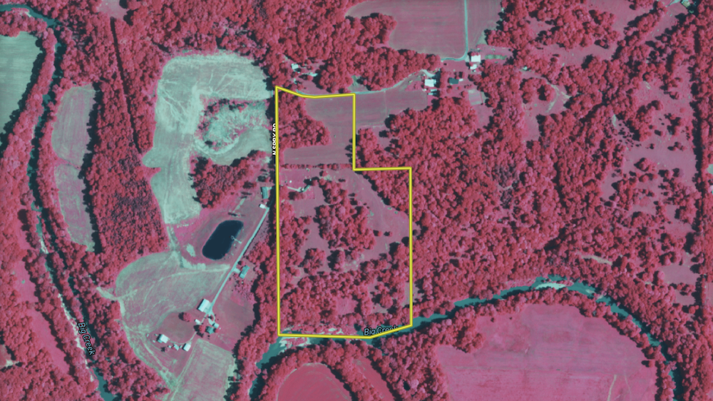
Located in Deputy, Indiana, this 30.001+/—acre property offers a mix of open pasture, wooded acreage, and year-round waterfrontage along Big Creek. The area is recognized for quality hunting opportunities, its proximity to Hardy Lake, and convenient access to Madison and Interstate 65. This property combines utility, access, and diverse land use options.

A brand new 100-foot by 60-foot by 20-foot pole barn sits on the land, surrounded by multiple truckloads of fresh gravel, providing a solid foundation for storage or agricultural use. Public water is available on-site, with electric service located at the road, supporting a range of residential or farmstead improvements. Approximately four acres are maintained as mowed pasture, suitable for cattle or other livestock, while the balance is primarily wooded. The varied habitat supports recreational uses, including hunting and wildlife observation.

Big Creek defines the southern boundary, extending approximately 930 feet and holding water throughout the year. This water feature adds aesthetic value and potential utility for livestock or recreation. Road frontage extends for roughly 1,000 feet, offering multiple access points. The property has several potential build sites, allowing flexibility for new owners interested in establishing a residence, farm, or weekend retreat.

This tract will be offered as the whole 30.001+/—acres or in two separate divisions. Tract 1 includes approximately 6+/—acres and the barn, while Tract 2 includes approximately 24+/—acres with road frontage along the western edge.

Madison is less than 20 minutes away, making the property easy to access for dining, shopping, and groceries. Hardy Lake is also nearby, providing additional recreational opportunities, including boating, fishing, and camping. This property represents a versatile piece of land in a well-situated location.

Details

  • New 100x60x20 pole barn with gravel base
  • Public water on site; electric at the road
  • 4 acres of pasture, balance in woods
  • 930 feet of Big Creek frontage (year-round water)
  • 1,000 feet of road frontage with multiple access points
  • Suitable for livestock, residential build sites, or recreation

Summary

Roads

Road Frontage

Fishing

Catfish, Panfish, Bass

Land Type

Hunting and Recreational

Wild Game

Small Game, Big Game

Waterfront

Creek

Land Details

Pasture, Timber

Outbuildings

Barn

Road Surface

Blacktop/Asphalt

Property Type

Recreational Land, Residential Land, Hunting Land, Horse Property

Road Frontage

County Road

Nearby Features

Public Hunting, Public Fishing, Marina, Camping/Campground, Boat Ramp, Public Access Area, RV Park, Golf Course

Improvements/Features

Small Game, Big Game, Predators, Creek/Spring, Seller's Mineral Rights Convey

Activities on Property

Hunting, Hiking, ATV Riding, Camping, Biking, Fishing, Horseback Riding, Family Activities

Tillable/Production Areas

Pasture

Land and Farm Property Types

Land - Hunting, Land - Recreational, Land - Residential

Other Property Details

Coordinates

38.784, -85.576

Annual Taxes

$1,000

Sold Property

For more information or to see additional properties currently for sale see Brad Garrison's listings.

Nearby Related Properties


Reduced
$329,000 16 acres ±
Jefferson County • Deputy, IN 47230
Reduced
$199,500 19 acres ±
Jennings County • Butlerville, IN 47223
For Sale
$540,000 90 acres ±
Jennings County • Butlerville, IN 47223
For Sale
$2,300,000 263.42 acres ±
Jennings County • Butlerville, IN 47223
Reduced
$409,500 39 acres ±
Jennings County • Butlerville, IN 47223
Reduced
$756,000 72 acres ±
Jennings County • Butlerville, IN 47223
Reduced
$451,500 43 acres ±
Jennings County • Butlerville, IN 47223
For Sale
$300,000 10 acres ±
Jefferson County • Madison, IN 47250

Be Part of a Thriving Land Community!

Get the same expert advice, property strategies, and land management tips that thousands of landowners trust. Subscribe now and stay ahead in the market.