Sold

Pasture And Timber Acreage For Hunting, Farming, Investment, Or Building - Whole Parcel

Acreage

73 ±

County

Jennings

SOLD

Address S CR 200 E, Lot#WP001 Commiskey, IN 47227

View on Google Maps

Description

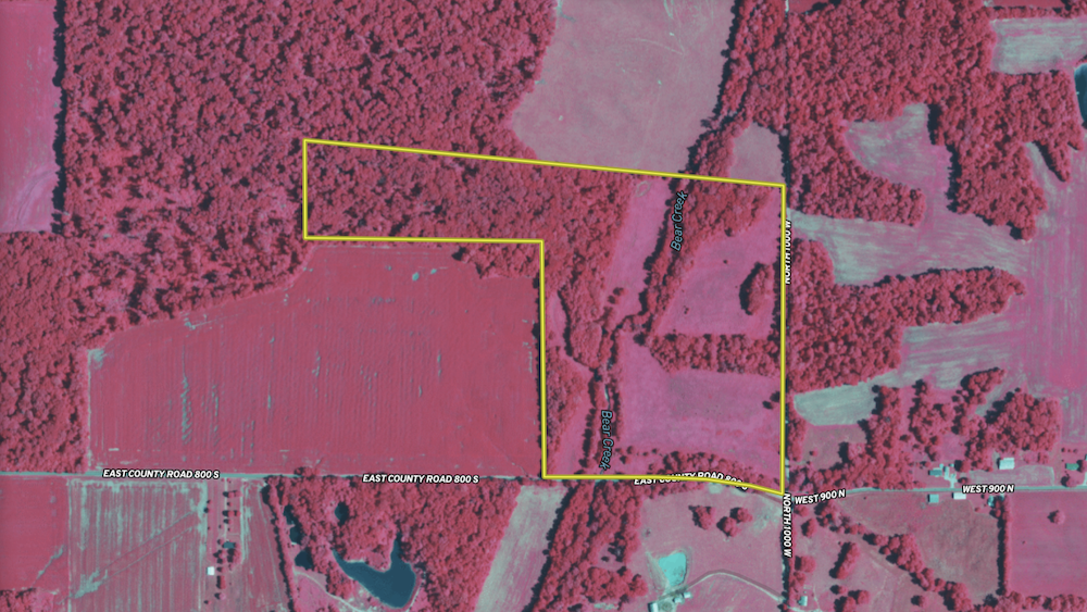
This 73± acre property on the border line of Jennings and Jefferson Counties offers a blend of timber, pasture, water features, and access, making it suitable for multiple uses. The property is being offered as the full 73± acres or divided into two tracts: approximately 25 acres on the west side and approximately 45 acres on the east side. Both portions provide a combination of open ground, wooded acreage, and access to Bear Creek.

The farm includes roughly 25± acres of pasture that were previously enrolled in CRP. With the contract expired, these acres are now available for tillage, rental income, hay production, or potential building sites. The remaining acreage includes wooded ground, including a managed panhandle portion enrolled in classified forestry. The timber has been selectively harvested over time, and foresters report that a substantial volume of value remains standing.

Bear Creek runs through the center of the property, featuring a stone slab base in many areas. While the creek lies in the floodplain, the higher ground on both sides is outside the waterway and considered buildable. The unique panhandle configuration creates a natural travel corridor for wildlife, producing a strong pinch point that benefits cutting off deer movement. Signs of deer and turkey are consistently found throughout the property, adding value for recreational users.

The size and layout of the parcel make it feel larger than a typical rectangular tract, with the northwest and southeast corners approximately 1,100 yards apart. The location places the property within reach of several well-known public outdoor destinations, including Muscatatuck National Wildlife Refuge, Crosley FWA, Big Oaks National Wildlife Refuge, Clifty Falls State Park, and Hardy Lake State Recreation Area.

With timber, pasture, creek frontage, and two division options available, this property offers flexibility for buyers seeking recreation, hunting, long-term land investment, income potential, or future building sites.

Details

  • 73± total acres in Jennings County, Indiana
  • Approximately 3,000 feet of road frontage on 2 sides
  • 25± acres of open pasture, formerly CRP
  • Bear Creek runs through the property with stone slab base
  • Buildable high ground on both sides of creek
  • Wooded panhandle with classified forestry and standing timber
  • Excellent deer and turkey sign throughout property
  • Panhandle shape creates natural pinch points for wildlife movement
  • Near Muscatatuck NWR, Crosley FWA, Big Oaks NWR, Clifty Falls State Parks, Hardy Lake
  • Offered whole at 73± acres or divided into 25± and 45± acre tracts

Summary

Roads

Road Frontage

Land Type

Hunting and Recreational, Waterfowl, Waterfront, Timberland

Wild Game

Small Game, Big Game

Waterfront

Creek

Land Details

Pasture, Timber, Tillable, Enrolled in Government Program

Road Surface

Blacktop/Asphalt

Property Type

Farms, Recreational Land, Residential Land, Timberland, Hunting Land

Road Frontage

County Road

Nearby Features

Public Hunting, Public Fishing, Camping/Campground, Public Access Area

Improvements/Features

Small Game, Big Game, Predators, Waterfowl, Creek/Spring, Seller's Mineral Rights Convey

Activities on Property

Hunting, Hiking, ATV Riding, Camping, Biking, Horseback Riding, Family Activities

Tillable/Production Areas

Pasture

Land and Farm Property Types

Land - Hunting, Land - Recreational, Land - Residential

Other Property Details

Coordinates

38.8705, -85.5774

Annual Taxes

$651

Sold Property

For more information or to see additional properties currently for sale see Brad Garrison's listings.

Nearby Related Properties


Reduced
$329,000 16 acres ±
Jefferson County • Deputy, IN 47230
Reduced
$199,500 19 acres ±
Jennings County • Butlerville, IN 47223
For Sale
$540,000 90 acres ±
Jennings County • Butlerville, IN 47223
Reduced
$409,500 39 acres ±
Jennings County • Butlerville, IN 47223
For Sale
$2,300,000 263.42 acres ±
Jennings County • Butlerville, IN 47223
Reduced
$756,000 72 acres ±
Jennings County • Butlerville, IN 47223
Reduced
$451,500 43 acres ±
Jennings County • Butlerville, IN 47223
For Sale
$300,000 10 acres ±
Jefferson County • Madison, IN 47250

Be Part of a Thriving Land Community!

Get the same expert advice, property strategies, and land management tips that thousands of landowners trust. Subscribe now and stay ahead in the market.