Sold

Diverse Mixture Of Land With Cabin And Farmhouse In A Prime Location

Acreage

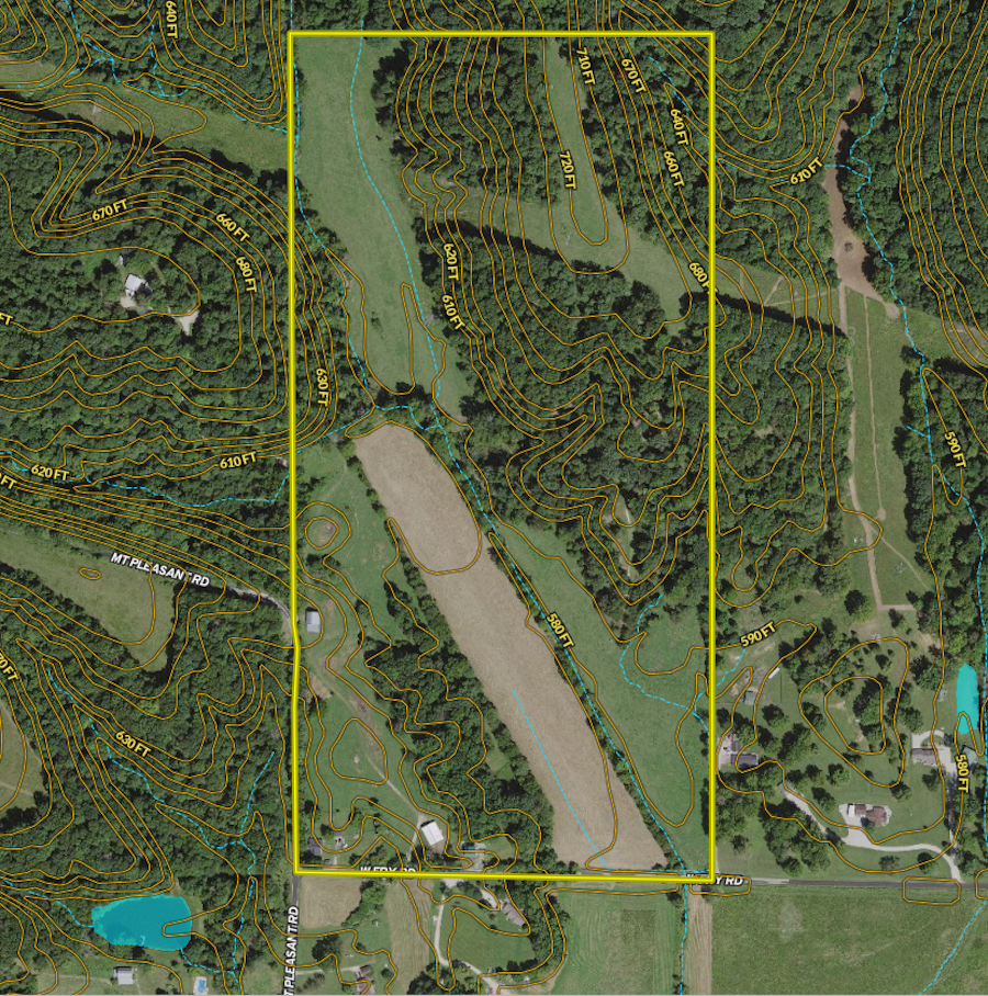
78.89 ±

County

Monroe

SOLD

Address 8665 N Mt Pleasant Rd Gosport, IN 47433

View on Google Maps

Description

This beautiful, diverse mixture of ground is in a great location, less than 1 hour from Indy and 20 minutes from Bloomington or downtown Spencer. You are peacefully located in the country, yet not far from everything. This farm has a little bit of everything for everyone. Whether you’re looking for a dynamite hunting property, recreational property, ground to have livestock, hobby farm, solid land investment or a place to eventually build a dream home with acreage, this one checks all the boxes. The property already has a nice log cabin and a farm home on it. The 3 bedroom/2.5 bath log cabin would make for a great getaway retreat or permanent residence. The older 4 bedroom/2 bath farmhouse could be turned into guest or mother-in-law quarters, a rental or make it your own farm home. The land itself is a great mixture of woods and pasture fields with a few brooks running through it. There are good deer and turkey sign all over the property, and some ideal areas would make excellent spots to add some food plots to even further enhance the hunting. A 2700 sq ft pole barn is ideal for storing equipment. Both homes are connected to city water. If you are looking for a great place to hunt, your own farm, or a getaway place to enjoy the outdoors that is not far away, this one checks a lot of boxes.

Details

  • Approx. 45 minutes from Indianapolis, 20 minutes from Bloomington or downtown Spencer
  • Nice log cabin with 3 bedrooms and 2.5 baths
  • Farmhouse with 4 bedrooms and 2 baths
  • Both homes have city water
  • 2700 sq ft. pole barn for storing equipment
  • Great hunting for deer, turkey, small game and morels
  • Property in a good location and could surely produce some monster bucks
  • Pasture fields could provide income or a place to have livestock
  • Enjoy hiking, horse-back riding and ATV/4-wheeler adventures
  • Shown by appointment only to pre-qualified buyers

Summary

Property Type

Recreational Land, Residential Land

Land Details

Pasture, Hay, Open

Land and Farm Property Types

Land - Recreational, Land - Residential

Road Frontage

County Road

Road Surface

Pavement

Fencing

Low Fence

Roads

Road Frontage, Road Access

Improvements/Features

Small Game, Big Game, Predators

Wild Game

Small Game, Big Game, Other Game

Recent Property Improvements

Trail network, Gated entrance, Livestock facilities

Outbuildings

Metal, Barn

Land Type

Hunting and Recreational, Home on Acreage, Ranch and Farm

Type of Home

Country Home, Cabin

Activities on Property

Hunting, Hiking, ATV Riding, Camping, Biking, Horseback Riding, Family Activities

Other Property Details

Utilities
  • electric: onsite
  • sewer: onsite
  • internet: onsite
  • cable: onsite
  • telephone: onsite
  • water: onsite
Coordinates

39.3025, -86.5722

Annual Taxes

$5,876

Sold Property

For more information or to see additional properties currently for sale see Bill Minor's listings.

Nearby Related Properties


Reduced
$229,900 24.23 acres ±
Monroe County • Bloomington, IN 47408
Reduced
$949,000 130 acres ±
Monroe County • Unionville, IN 47468
Reduced
$594,900 44.34 acres ±
Owen County • Freedom, IN 47431
Reduced
$109,900 9.02 acres ±
Owen County • Freedom, IN 47431
Reduced
$2,599,000 322.18 acres ±
Monroe County • Springville, IN 47462
For Sale
$3,899,000 523.29 acres ±
Monroe County • Springville, IN 47462
For Sale
$1,399,000 201.12 acres ±
Monroe County • Springville, IN 47462
Reduced
$720,032 137.15 acres ±
Owen County • Coal City, IN 47427
Stay Connected

Be Part of a Thriving Land Community!

Get the same expert advice, property strategies, and land management tips that thousands of landowners trust. Subscribe now and stay ahead in the market.