Sold

Large Acreage Tract With 1886 Home, Timber, Tillable, Pasture For Hunting, Equine, Or Agribusiness (Tract 1)

Acreage

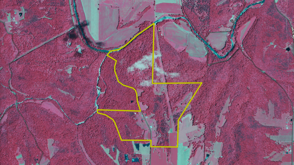
305.64 ±

County

Ohio

SOLD

Address 3729 Mexico Ridge Road Bennington, IN 47011

View on Google Maps

Description

Large properties have been rare in Indiana in recent years, so this +/-253 acres in Ohio County is a unique opportunity! A quick list of key features includes a 4-bedroom home built in 1886 with modern updates, original hardwood plank floors, fiber optic internet, municipal water, generator, security/camera system, 100 x 65 pole barn, 60 x 40 garage/workshop, and a half mile of creek frontage on locally beloved Laughery Creek. With over 13,000 sq. ft. under roof, there is more than enough space for hobbies, possible event space development, and businesses/operations of all sizes. Currently, there are over 120 acres of mature timberland, some tillable acreage with potential for more, hay fields, and extensive pastures for recreational use, horses, cattle, or even a winery. The home is perfectly placed to look out over the beautiful hills with dramatic views and sunsets. Inside the solid, well-kept traditional Indiana farmhouse are high ceilings, strong bones, and historic character. Two bedrooms are located on the main floor, and one is currently used as an office. The huge eat-in kitchen is the heart of the house, with maple cabinetry and newer appliances. In the rear, native cedar paneling lines the large pantry/mud room and storage area. The upstairs has 2 spacious bedrooms with closets and extensive attic storage. The bedrooms are split by a cozy shared library and reading loft. The garage/workshop has 2 overhead double garage doors, concrete floors, an alarm system, and a divided wall for added security in the workshop. The biggest barn is a massive 100 x 65 open pole barn for storing large equipment, vehicles, RV’s/campers, or offering endless conversion possibilities for businesses or development. The other barns vary in age but are in amazing condition with newer metal roofs. The large black tobacco barn is 38 x 52 with heavy timber construction and stalls, while the smaller barn is 21 x 24. This is truly an exceptional farm that should not be missed.

Details

  • 100 x 65 pole barn
  • 60 x 40 block garage/shop
  • 4 bedroom home built in 1886
  • Approximately 1 mile of road frontage
  • Half mile of Laughery Creek frontage
  • 38 x 52 tobacco barn
  • Municipal water, power, fiber optic the length of property
  • Generational farm with decades of history

Summary

Land Type

Hunting and Recreational

Property Type

Farms, Recreational Land, Residential Land, Timberland, Undeveloped Land, Hunting Land, Horse Property

Land and Farm Property Types

Land - Hunting, Land - Recreational, Land - Residential

Road Frontage

County Road

Road Surface

Blacktop/Asphalt

Outbuildings

Metal, Shop, Barn, Garage

Land Details

Pasture, Timber, Tillable, Hay, Open, Pond

Improvements/Features

Small Game, Big Game, Upland Game, Predators, Creek/Spring, Equine Facilities, Trail Network, Seller's Mineral Rights Convey

Activities on Property

Hunting, Hiking, ATV Riding, Camping, Biking, Horseback Riding, Family Activities

Roads

Road Frontage

Type of Home

Country Home

Nearby Features

Public Access Area, Golf Course

Livestock Facilities

Equine, Stables

Tillable/Production Areas

Tillable, Hay, Pasture, Hardwood Trees, Corn, Soybeans

Waterfront

Creek, Pond (0-3 acres)

Wild Game

Upland Game, Small Game, Big Game

Recent Property Improvements

Trail network, Equine facilities

Other Property Details

Utilities
  • electric: onsite
  • gas: onsite
  • generator: onsite
  • water: onsite
  • internet: onsite
Coordinates

38.927, -85.109

Annual Taxes

$4,800

Sold Property

For more information or to see additional properties currently for sale see Brad Garrison's listings.

Nearby Related Properties


For Sale
$400,000 18 acres ±
Switzerland County • Bennington, IN 47011
For Sale
$750,000 49.34 acres ±
Switzerland County • Bennington, IN 47011
For Sale
$110,500 8.5 acres ±
Switzerland County • Bennington, IN 47011
For Sale
$110,500 8.5 acres ±
Switzerland County • Bennington, IN 47011
Reduced
$274,000 61.06 acres ±
Switzerland County • Vevay, IN 47043
Reduced
$139,000 16.86 acres ±
Switzerland County • Vevay, IN 47043
Reduced
$999,900 86.04 acres ±
Switzerland County • Vevay, IN 47043
For Sale
$275,000 10 acres ±
Jefferson County • Madison, IN 47250
Stay Connected

Be Part of a Thriving Land Community!

Get the same expert advice, property strategies, and land management tips that thousands of landowners trust. Subscribe now and stay ahead in the market.