Sold

Beautiful Country Acreage With Ideal Build Sites

Acreage

20.04 ±

County

Sullivan

SOLD

Address 1 Co RD 1100 N, Lot# WP0001 Farmersburg, IN 47850

View on Google Maps

Description

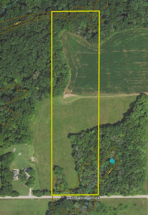
Tract 4-Welcome home to this beautiful country setting offering plenty of acreage to build your private dream home or cabin. Located along a peaceful stretch of a paved county road, this property features the perfect mix of wooded, tillable, and CRP acreage. It provides easy access to rural gas and electric services. This mostly-level property offers that secluded country feel yet is only a short drive to major services. Step outside and enjoy all the nature, hunting, and outdoor recreation this property has to offer. If you’ve been searching for a secluded, flat build site that provides privacy and room to roam…you should certainly take a closer look at this property with us! Agent Note: This property is subject to a current timber contract. Trees to be harvested are marked. Portions of this property are currently enrolled in CRP through September 2022. Any development on CRP acreage would require owner to withdrawal acreage being improved from program. 

Details

  • Rural gas and electricity available at road
  • 350’ paved county road frontage
  • Northern boundary is ¼ mile from road
  • Ideal building sites with wooded backdrop
  • 25 min drive to Sullivan and Terre Haute
  • 30 min to Rose Hulman and Indiana State

Summary

Features

Wild Game, Whitetail, Waterfowl, Turkey, Upland Game, Investment, Minerals, Big Game, Small Game, Dove, Quail, Other Game, Geese, Roads, Road Frontage, County Road, Road Access, Pavement, Tillable / Production Acres, Corn, Soybeans, Hay, Activities on Property, Hunting, ATV Riding, Horseback Riding, Camping, Family Activities, Biking, Seller's Mineral Rights Convey

Road Frontage

County Road

Road Surface

Pavement

Land Details

Hay

Improvements/Features

Big Game, Waterfowl, Upland Game, Small Game, Seller's Mineral Rights Convey

Land Type

Hunting and Recreational, Home on Acreage, Waterfowl

Land and Farm Property Types

Land - Hunting, Land - Recreational, Land - Residential

Property Type

Recreational Land, Residential Land, Hunting Land

Other Property Details

Coordinates

39.2446, -87.3099

Annual Taxes

$0

Sold Property

For more information or to see additional properties currently for sale see Bill Minor's listings.

Nearby Related Properties


Fall out
$70,000 5.57 acres ±
Sullivan County • Sullivan, IN 47882
For Sale
$1,093,435 312.41 acres ±
Clark County • West Union, IL 62477
Reduced
$158,000 0.58 acres ±
Sullivan County • sullivan, IN 47882
For Sale
$1,400,000 198.64 acres ±
Sullivan County • Sullivan, IN 47882
New
$504,900 6.4 acres ±
Sullivan County • Sullivan, IN 47882
Reduced
$720,032 137.15 acres ±
Owen County • Coal City, IN 47427
Reduced
$244,900 40.54 acres ±
Owen County • Coal City, IN 47427
Reduced
$10,000 0.73 acres ±
Clark County • Dennison, IL 62423
Stay Connected

Be Part of a Thriving Land Community!

Get the same expert advice, property strategies, and land management tips that thousands of landowners trust. Subscribe now and stay ahead in the market.