New

Ready To Go Cattle Farm With Building Lots, Water, Electric, Multiple Pastures

Acreage

49.34 ±

County

Switzerland

Price

$750,000

Description

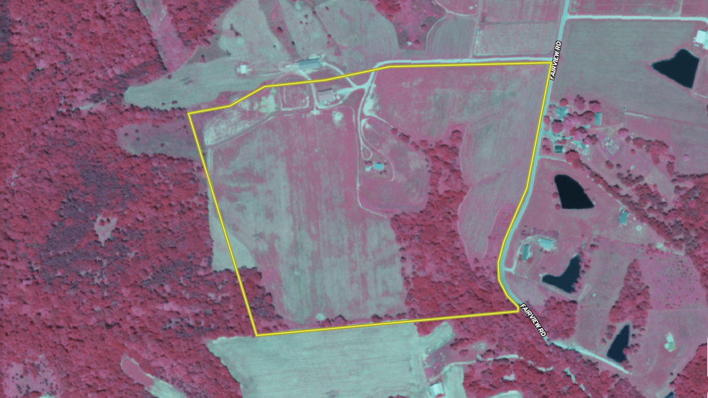
This former cattle farm in Switzerland County, Indiana, is being offered as a whole, approximately 49.34 acres, or divided into four separate tracts. The property features a diverse mix of pasture, hay fields, wooded acreage, and existing agricultural improvements, providing multiple land-use options.

Approximately 25 acres consist of open pasture and reclaimed hay fields that were previously used for livestock production. These fields have been cleaned up and are currently maintained for hay, while electric and water remain in place along the back field for future agricultural use. Several thousand feet of existing wood fencing and remaining corrals are still present and could immediately support livestock with minimal effort.

Roughly 8 acres of wooded ground add additional diversity and recreational value. These wooded areas can provide wildlife habitat, potential hunting opportunities, or natural separation between uses. The balance of the acreage includes open ground and improved areas surrounding the farmstead and outbuildings.

Multiple agricultural buildings are located on the property, all with electric service. The structures are usable in their current condition and offer flexibility for equipment storage, livestock use, workshops, or general farm operations. While functional as-is, they could also be modified to meet a new owner’s specific needs.

The property offers approximately 1,300 feet of road frontage, providing convenient access and potential for multiple drive lanes or future division, if desired. With no known restrictions, the land may be suited for continued agricultural use, a hobby farm, homestead, storage, or a combination of residential, farming, and recreational purposes, including hunting.

The property is conveniently located just a short drive from Vevay, Indiana, and Florence, Kentucky, providing access to dining, shopping, and entertainment. Belterra Casino and Golf Course is nearby, and the bridge into Kentucky offers easy access for travel between states.

Summary

Property SummaryProperty

Fencing

Low Fence, Partial

Outbuildings

Barn

Road Surface

Blacktop/Asphalt

Property Type

Farms, Recreational Land, Residential Land, Undeveloped Land, Horse Property

Road Frontage

County Road

Property Summary Approximate Distances

8 mi Vevay
17 mi Rising Sun
28 mi Madison
51 mi Cincinnati, OH
90 mi Lexington, KY
77 mi Louisville, KY

Land DetailsUtilities

electric: onsite

water: onsite

Address 10849 Fairview Road Bennington, IN 47011

View on Google Maps

Details

  • 49.34± acres offered whole or divided into 4 tracts
  • Approximately 25 acres of pasture and reclaimed hay fields
  • Approximately 8 acres of wooded ground
  • Over 1,300 feet of road frontage
  • Multiple barns and agricultural buildings with electric
  • Water available along the back field
  • Existing wood fencing and livestock corrals
  • Suitable for farming, homesteading, storage, or recreation
  • No known restrictions

Other

Coordinates

38.8401, -85.0827

Annual Taxes

$3,845

Listing Agent

Nearby Related Properties


New
$400,000 18 acres ±
Switzerland County • Bennington, IN 47011
New
$110,500 8.5 acres ±
Switzerland County • Bennington, IN 47011
New
$110,500 8.5 acres ±
Switzerland County • Bennington, IN 47011
New
$141,750 13.5 acres ±
Switzerland County • Bennington, IN 47011
Reduced
$164,900 2.64 acres ±
Switzerland County • Dillsboro, IN 47018
For Sale
$159,000 16.56 acres ±
Switzerland County • Vevay, IN 47043
Reduced
$274,000 61.06 acres ±
Switzerland County • Vevay, IN 47043
For Sale
$1,250,000 86.04 acres ±
Switzerland County • Vevay, IN 47043

Be Part of a Thriving Land Community!

Get the same expert advice, property strategies, and land management tips that thousands of landowners trust. Subscribe now and stay ahead in the market.