Sold

Perfect Balance Of Agricultural Use, Hunting And Future Development Potential

Acreage

130 ±

County

Jackson

SOLD

Address 0 278th Rd Circleville, KS 66416

View on Google Maps

Description

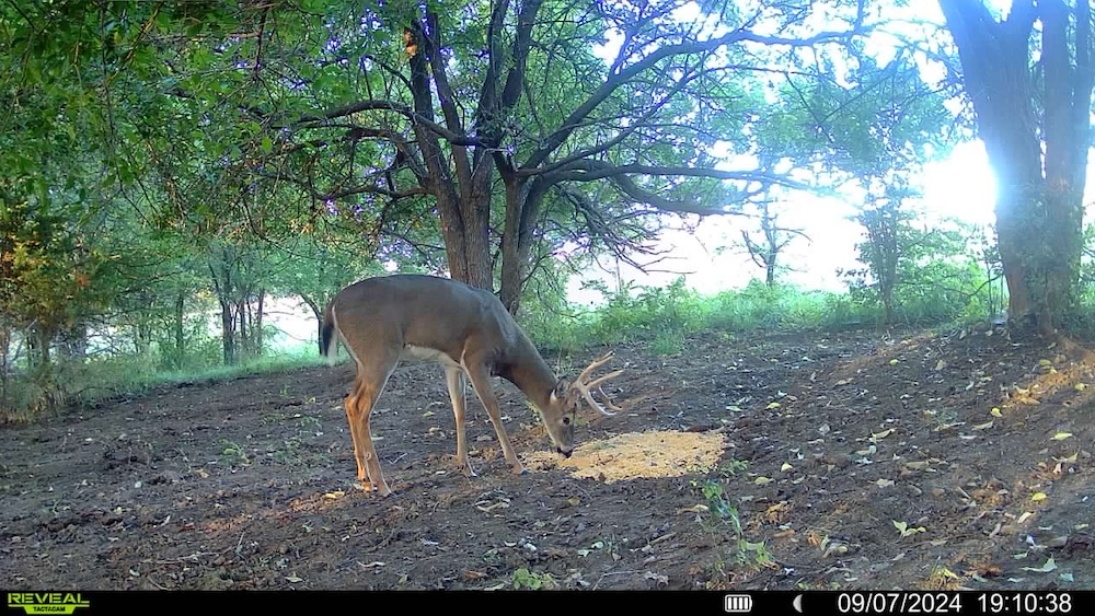
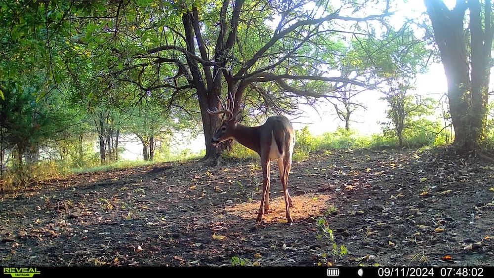
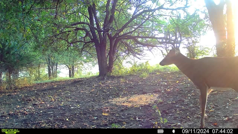
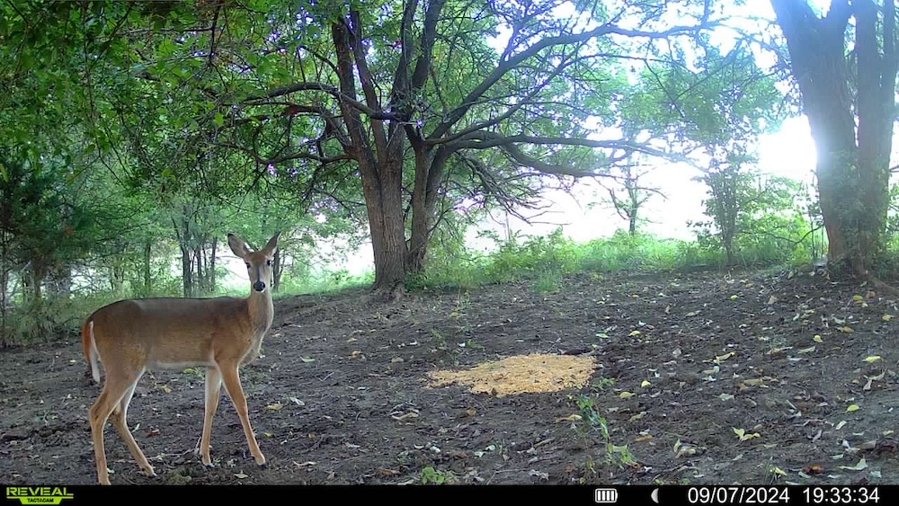
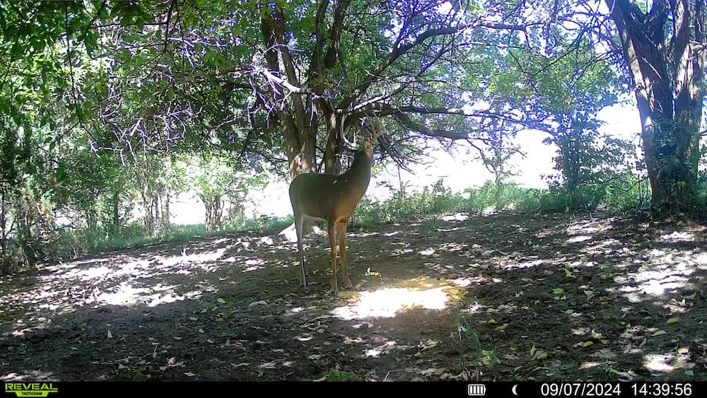
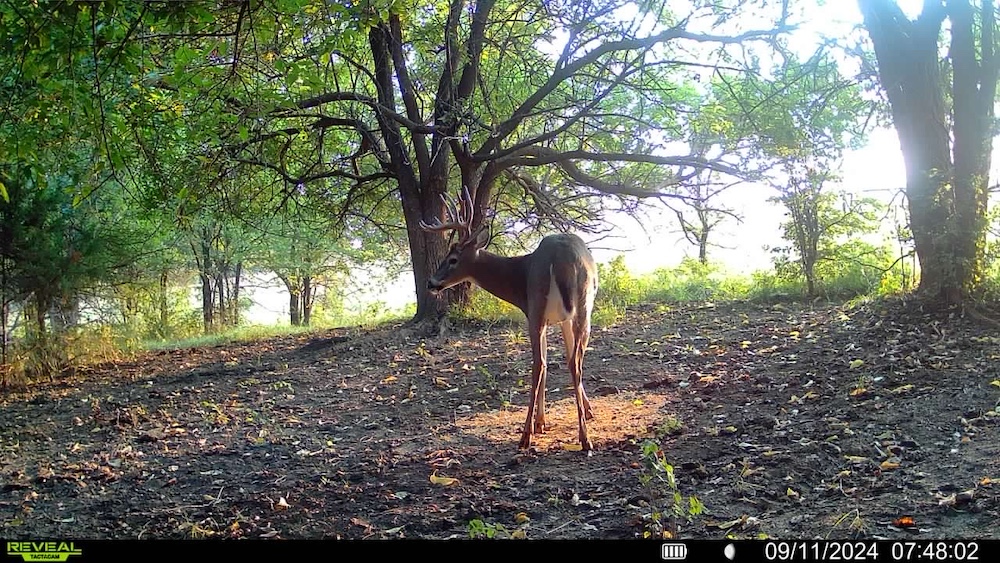
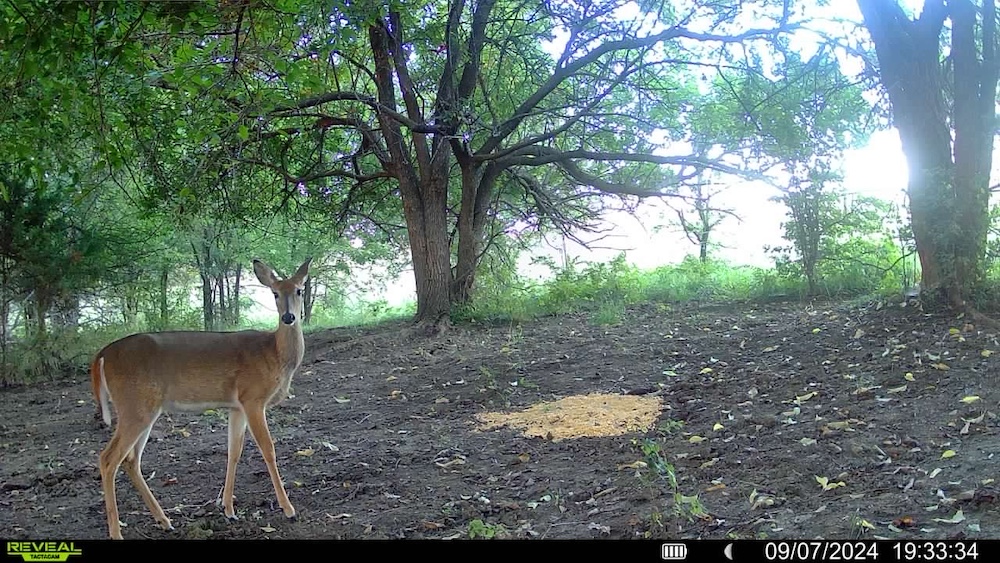
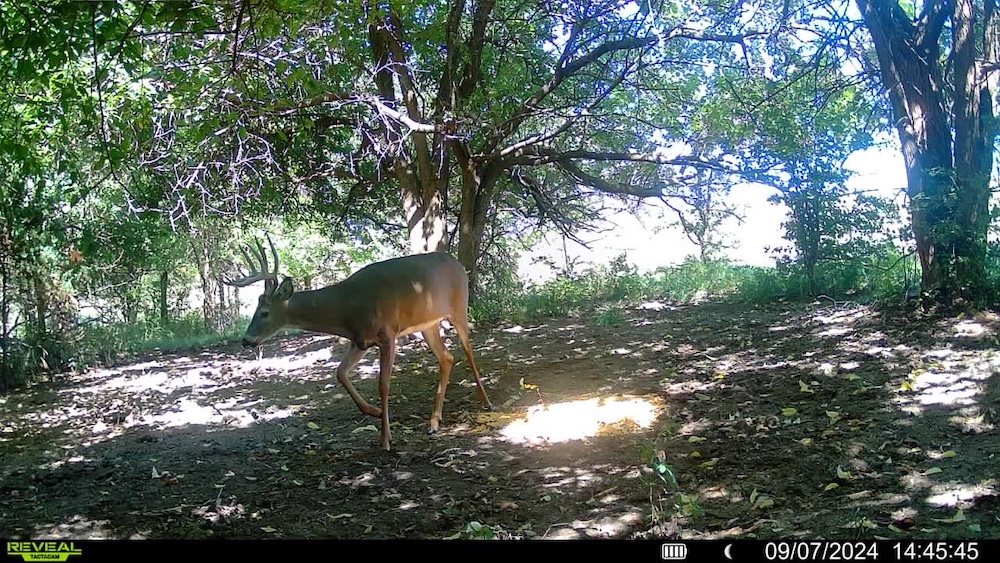
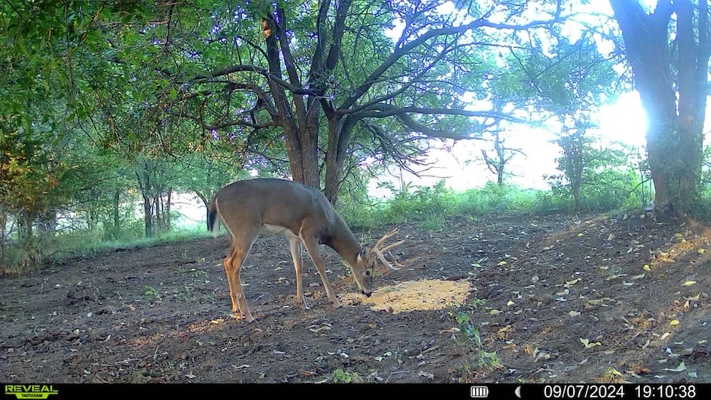
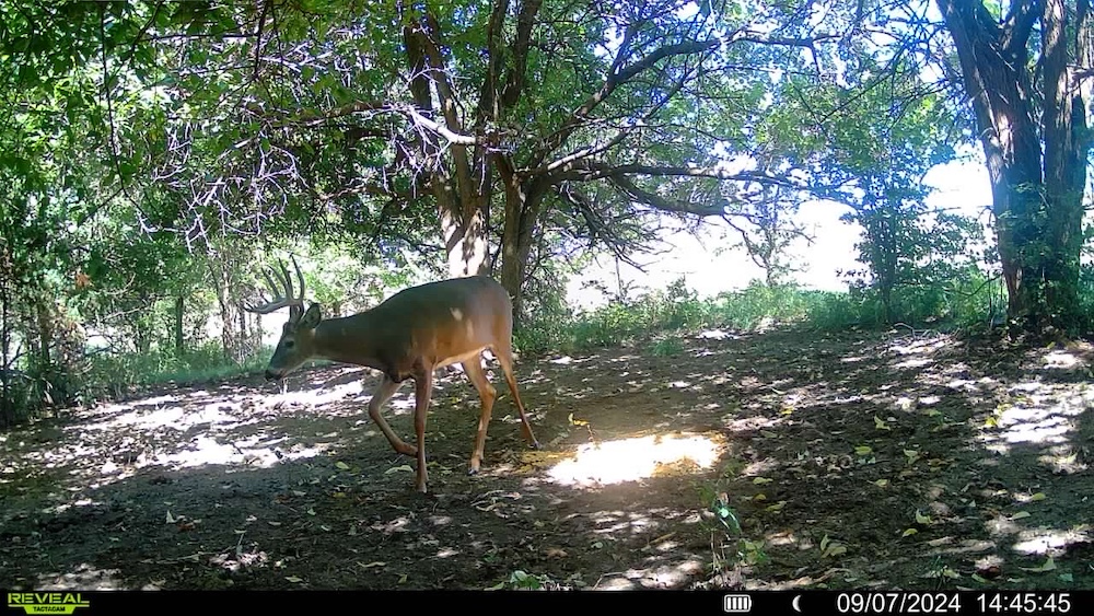
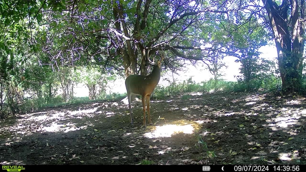
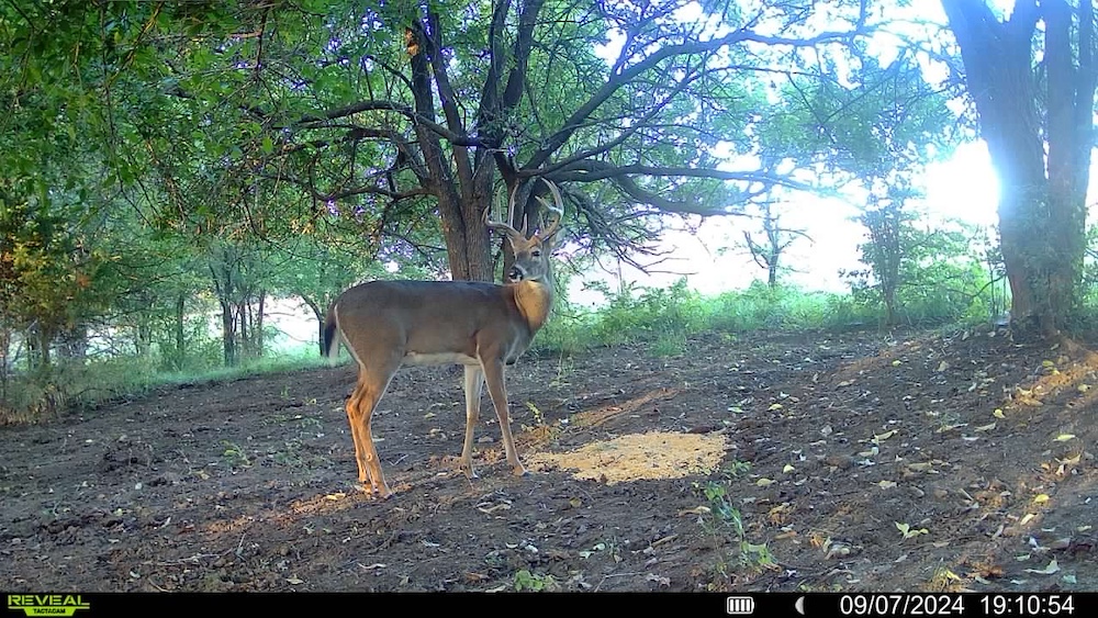
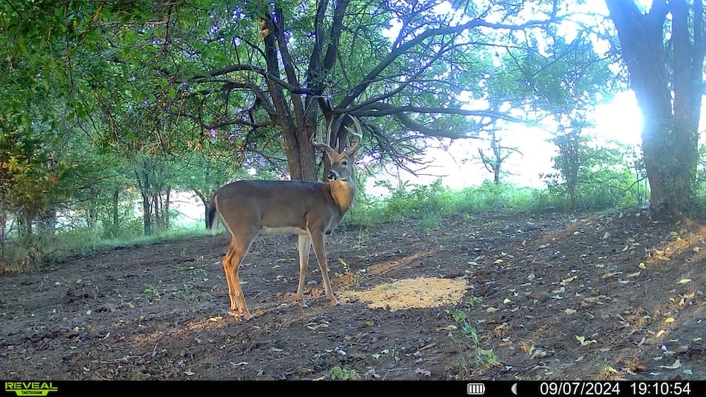
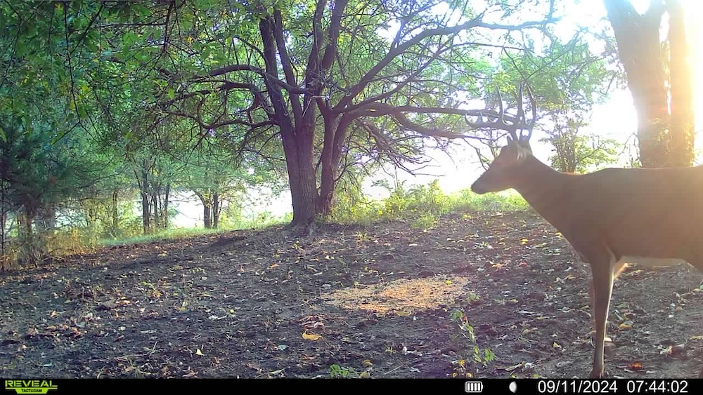
Discover the perfect balance of agricultural use, hunting, and future development potential with this expansive +/- 130-acre property in Circleville, Kansas. This pasture is currently used for cattle grazing, boasting multiple cedar thickets and two well-maintained ponds that provide ample water sources and natural cover for livestock and wildlife. For the avid hunter, this land has a proven history of producing impressive bucks and a steady presence of wild turkeys, making it a prime spot for both deer and turkey hunting enthusiasts. This property also offers excellent building potential, with road frontage on two sides, providing easy access and multiple options for your dream home or hunting cabin. Whether you’re looking for a productive pasture, a hunting retreat, or a beautiful place to build, this property is packed with potential. Don't miss this opportunity to own a piece of prime Kansas land that offers versatility, privacy, and an abundance of wildlife. Contact the listing agent today to schedule a showing!

Details

  • Multiple ponds
  • History of good deer and turkeys
  • Buildable

Area Links

Summary

Land Type

Hunting and Recreational, Ranch and Farm

Road Frontage

County Road

Road Surface

Gravel

Fencing

Partial

Improvements/Features

Small Game, Big Game, Predators, Fish, Gated Entrance

Activities on Property

Hunting, Hiking, ATV Riding, Camping, Biking, Fishing, Horseback Riding, Family Activities, Snowmobiling

Roads

Road Frontage

Nearby Features

Public Hunting, Public Fishing, Camping/Campground, Public Access Area, RV Park, Golf Course

Tillable/Production Areas

Pasture

Recent Property Improvements

Gated entrance

Property Type

Farms, Recreational Land, Hunting Land, Residential Land

Land and Farm Property Types

Agriculture - Pasture/Ranch, Land - Hunting, Timberland - Natural

Land Details

Pasture, Grass, Open, Pond, Timber

Waterfront

Pond (0-3 acres)

Wild Game

Small Game, Big Game, Other Game

Other Property Details

Coordinates

39.5506, -95.84445

Annual Taxes

$615

Sold Property

For more information or to see additional properties currently for sale see David "DJ" Dietrich's listings.

Nearby Related Properties


For Sale
$500,940 83.49 acres ±
Jackson County • Holton, KS 66436
New
$825,000 144.21 acres ±
Pottawatomie County • Onaga, KS 66521
Reduced
$384,900 64.33 acres ±
Buchanan County • Rushville, MO 64484
For Sale
$500,000 29.59 acres ±
Leavenworth County • Leavenworth, KS 66048
For Sale
$1,500,000 155 acres ±
Platte County • Weston, MO 64098
New
$750,000 5 acres ±
Leavenworth County • Leavenworth, KS 66048
Reduced
$132,500 5 acres ±
Leavenworth County • Leavenworth, KS 66048
New
$5,000,000 431.4 acres ±
Pawnee County • Burchard, NE 68323
Stay Connected

Be Part of a Thriving Land Community!

Get the same expert advice, property strategies, and land management tips that thousands of landowners trust. Subscribe now and stay ahead in the market.