New

Neosho County Triple Threat

Acreage

83.46 ±

County

Neosho

Price

$542,406

Description

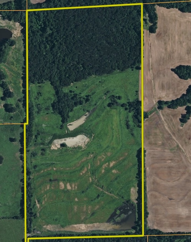
This Neosho County 83.46-acre property presents a unique opportunity for outdoor recreation, with a diverse range of game, including whitetail deer, waterfowl, and wild turkey. The northern area features a mature timbered ridge top, while the southern portion consists of robust stands of warm-season grasses. This combination offers superior cover and forage, creating a high-quality habitat that supports mature whitetails year-round. And the trail cameras prove how great it supports mature whitetails. There is a blind set up for rifle hunting and observation, while another blind allows for exciting bow hunts in the timber. The timbered ridge also serves as an excellent environment for turkey roosting, providing consistent opportunities for hunters.

Its immediate proximity to the Neosho River and just under four acres of impounded water in three different pools, the site is ideally suited for memorable waterfowl hunting experiences. A secluded entrance enhances privacy and shields the property from road traffic, making it a desirable retreat for dedicated outdoor enthusiasts. Please reach out today to get a private showing of this property to make many future memories on.



Summary

Property SummaryProperty

Property Type

Recreational Land, Hunting Land

Address 20Th Rd Parson, KS 67357

View on Google Maps

Details

  • Secluded entrance
  • 2 deer blinds and feeders
  • Waterfowl hunting
  • Warm season grass
  • Location to Neosho River
  • Great deer history
  • Thriving turkey population
  • Seller is a licensed real estate agent

Other

Coordinates

37.40305, -95.16995

Annual Taxes

$0

Listing Agents

Nearby Related Properties


New
$2,837,507 263 acres ±
Labette County • Parsons, KS 67356
New
$1,069,000 282 acres ±
Neosho County • Stark, KS 66775
New
$1,460,875 325 acres ±
Neosho County • Stark, KS 66775
New
$929,000 119 acres ±
Allen County • Savonburg, KS 66772
For Sale
$949,382 159.56 acres ±
Bourbon County • Uniontown, KS 66779
For Sale
$389,895 45.87 acres ±
Jasper County • Asbury, MO 64832
For Sale
$0 0.49 acres ±
Bourbon County • Fort Scott, KS 66701
New
$1,849,999 389.1 acres ±
Montgomery County • Coffeyville, KS 67337

Be Part of a Thriving Land Community!

Get the same expert advice, property strategies, and land management tips that thousands of landowners trust. Subscribe now and stay ahead in the market.