Sold

Small Rec Tract Near Robards With Build Sites And Great Hunting

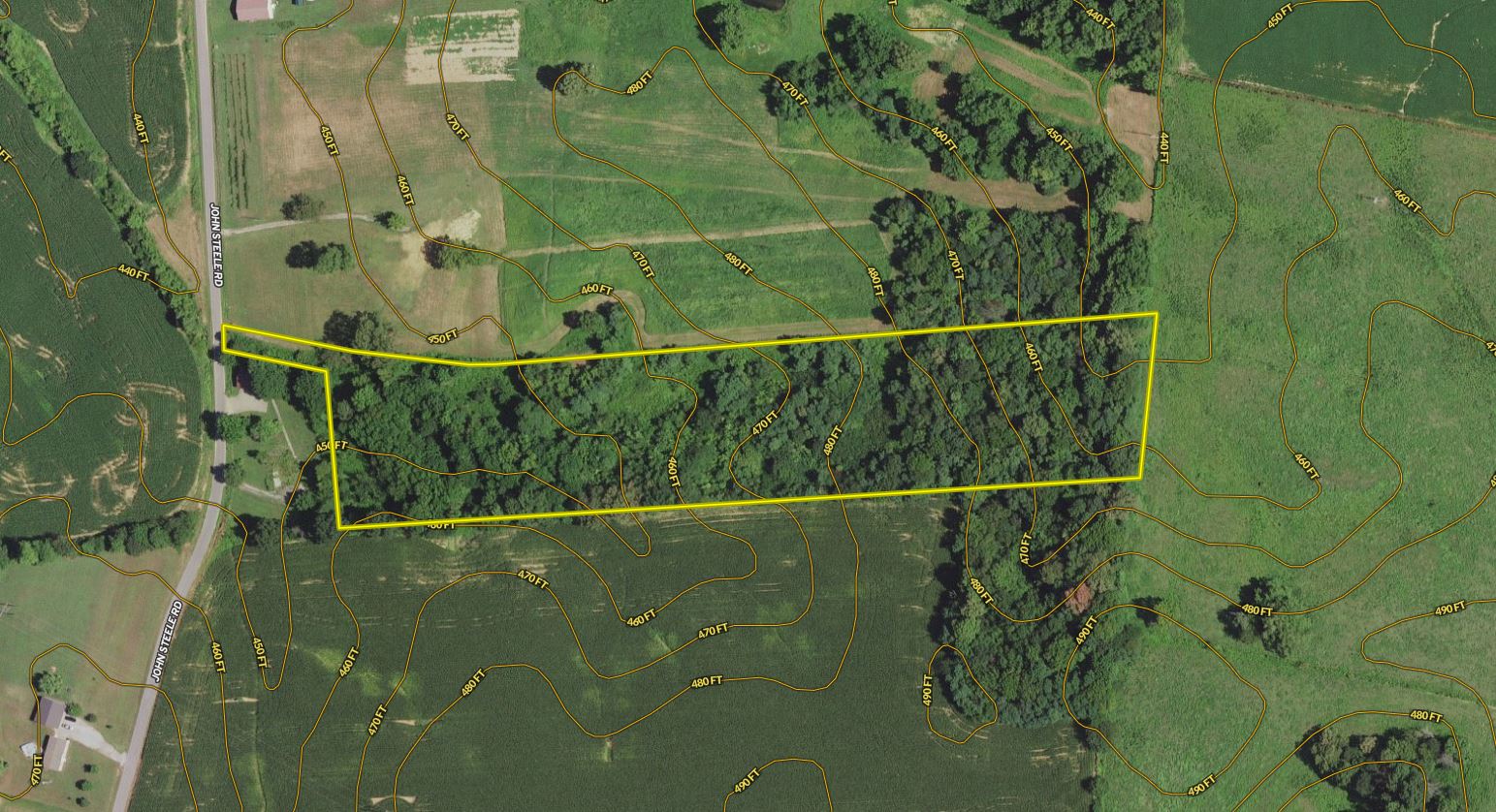
Acreage

7.5 ±

County

Henderson

SOLD

Address 8262 John Steele Road Robards, KY 42349

View on Google Maps

Description

We have all heard it; it isn’t the amount of acreage that matters, so much as the right acreage in the right spot. This property brings just that to the market; affordable land in a desirable location! Though small in size, this property boasts tremendous possibilities! This dynamite property exploits all of the needed components for wildlife, both large and small game alike, to thrive! With ample cover that provides an abundance of natural browse and the ability to easily incorporate food plots, this acreage is well suited for anyone looking for a great hunting tract. What’s better than the hunting possibilities on this tract are the build sites that this property brings to the market. With easy access from a county road and openings that are already established, this property brings the perfect landscape for a country home! Nestled in the woods, your home or cabin can offer picturesque views from every window in a beautiful, secluded location. This is one of those properties that, though small in size, can check a lot of boxes for buyers in today’s market. Call Land Specialist Matt Young today to schedule your private showing; come see for yourself this small acreage with big possibilities!

Details

  • Road frontage
  • Ideal build sites in a beautiful location
  • Peaceful and secluded
  • Utilities at the property line
  • Diverse habitat in place
  • One trail serves as a vein through the property
  • Open acreage at the property’s center, great for food plot incorporation
  • Highly desirable in size and location
  • No restrictions
  • Any and all rights transfer

Summary

Fencing

Partial, Low

Land Type

Hunting and Recreational, Timberland

Land Details

Timber, Grass, Open

Road Surface

Blacktop/Asphalt

Property Type

Recreational Land, Timberland, Hunting Land

Road Frontage

County Road

Improvements/Features

Small Game, Big Game, Predators, Food Plot, Tree Stands/Blinds, Trail Network, Internal Road System, Seller's Mineral Rights Convey

Land and Farm Property Types

Land - Hunting, Land - Recreational, Timberland - Natural

Other Property Details

Utilities
  • electric: nearby
  • water: nearby
Coordinates

37.6656, -87.605

Annual Taxes

$0

Sold Property

For more information or to see additional properties currently for sale see Matt Young's listings.

Nearby Related Properties


For Sale
$625,500 83.4 acres ±
Henderson County • Waverly, KY 42462
For Sale
$2,725,000 565 acres ±
Crittenden County • Sturgis, KY 42459
For Sale
$7,516,155 1965 acres ±
Crittenden County • Sturgis, KY 42459
For Sale
$4,850,000 806.5 acres ±
Union County • Sturgis, KY 42459
For Sale
$1,470,000 19.46 acres ±
McLean County • Calhoun, KY 42327
Reduced
$15,000,000 3336.5 acres ±
Crittenden County • Sturgis, KY 42459
For Sale
$1,750,000 2.66 acres ±
Crittenden County • Sturgis, KY 42459
For Sale
$335,000 16.41 acres ±
Crittenden County • Marion, KY 42064

Be Part of a Thriving Land Community!

Get the same expert advice, property strategies, and land management tips that thousands of landowners trust. Subscribe now and stay ahead in the market.