New

Private Outdoor Playground and Doorway to 1,000+ Acres of Daniel Boone National Forest

Acreage

33.7 ±

County

Owsley

Price

$99,000

Description

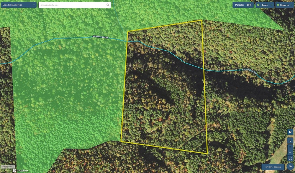
Tucked deep into the mountains of Eastern Kentucky and bordering the breathtaking Daniel Boone National Forest, this 33.7± acre forested tract offers a rare opportunity to own a private mountain property with direct access to thousands of acres of protected public land. With over 2,100 feet of shared boundary along the north and west sides, this property serves not only as a beautiful standalone retreat, but also as a gateway to more than 1,000 contiguous acres of Daniel Boone National Forest immediately to the north—effectively expanding your backyard to an outdoor paradise. The land showcases a diverse mix of terrain and habitat, highlighted by a mature oak and hickory forest, blended with softwoods including maple, beech, and poplar along the slopes. In the northern portion of the property, you’ll find over 900 feet of scenic blue-line stream, bordered by impressive rock cliffs and natural outcroppings that add character and visual appeal. The topography is moderate and usable across much of the tract, with steeper, north-facing slopes near the stream that feature striking rock formations and rugged mountain scenery. A functional network of trails winds throughout the property, providing excellent access and opening the door to multiple off-grid cabin or homesite options, all with true end-of-the-road privacy. For the avid outdoorsman, this land is a dream come true. The combination of diverse habitats, water, and immediate National Forest access creates an exceptional environment for deer and turkey hunting. Beyond hunting, the property is ideally suited for hiking, camping, ATV or horseback riding, exploring, and unplugging from everyday life. Whether you’re looking for a secluded mountain getaway, a hunting haven, or a long-term off-grid retreat, this tract is truly a diamond in the rough—an outdoor playground waiting to be discovered. If this kind of adventure is what you’ve been missing, give me a call and let’s see if this incredible property is the right fit for you.

Summary

Property SummaryProperty

Road Surface

Dirt

Property Type

Recreational Land, Timberland

Address Sturgeon Road Lot# Wp001 Tyner, KY 40486

View on Google Maps

Details

  • 13 miles to Booneville, KY... 30 miles to London, KY... 32 miles to Red River Gorge
  • Quiet off the grid building or recreational tract with no restrictions
  • 2100 feet of shared National Forest Boundary and 900 feet of blue line stream running through the property

Other

Coordinates

37.4548, -83.8327

Annual Taxes

$0

Listing Agents

Nearby Related Properties


Reduced
$37,900 8.35 acres ±
Owsley County • Tyner, KY 40486
Reduced
$34,900 6.22 acres ±
Owsley County • Tyner, KY 40486
Reduced
$21,900 4.67 acres ±
Owsley County • Tyner, KY 40486
Reduced
$78,500 33.2 acres ±
Owsley County • Tyner, KY 40486
Reduced
$57,900 10.4 acres ±
Owsley County • Tyner, KY 40486
Reduced
$44,500 6.62 acres ±
Owsley County • Tyner, KY 40486
Reduced
$43,000 12.2 acres ±
Owsley County • Booneville, KY 41314
For Sale
$149,000 19 acres ±
Owsley County • Sextons Creek, KY 40983

Be Part of a Thriving Land Community!

Get the same expert advice, property strategies, and land management tips that thousands of landowners trust. Subscribe now and stay ahead in the market.