Sold

Immaculate Home With Large Pole Barn On A Beautiful Secluded Parcel Of Mature Forest

Acreage

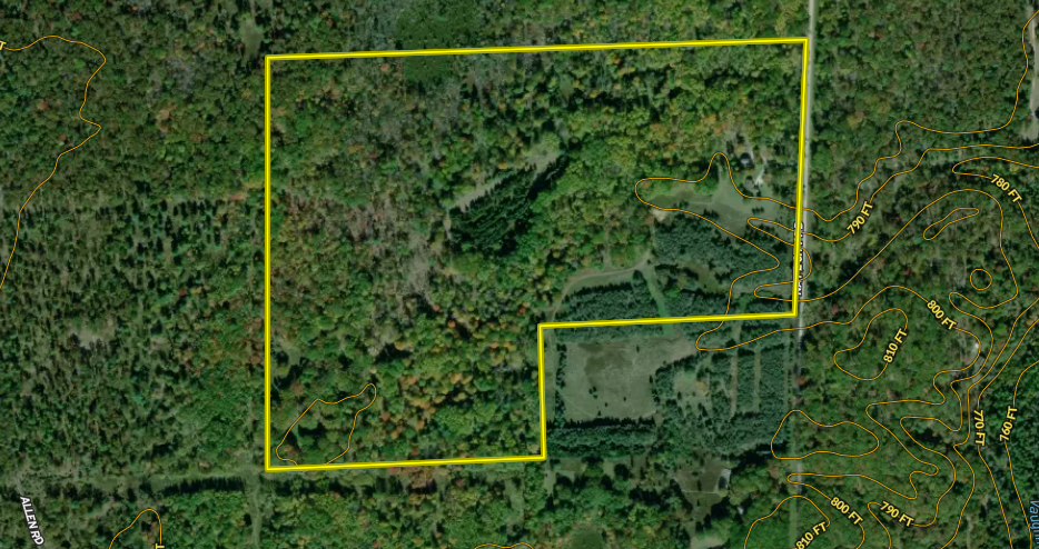
100 ±

County

Iosco

SOLD

Address 2391 National City Road Hale, MI 48739

View on Google Maps

Description

This property is not only beautiful, but it is also actually located on the road designated as a “Natural Beauty Road!” A well-built, custom home with gorgeous views sits comfortably under the huge mature canopy of trees above. Also included is a large pole barn, complete with its own “man cave” and finished apartment above. Established trail systems lead you to all corners of the property, the 3 different food plots, and many existing enclosed hunting blinds. This tract has many trees, including pine, maple, poplar, oak, and beech. As an added bonus, this piece has the potential of an immediate return on investment regarding the current timber stand value. The same owner has owned this property for approximately 40 years and has an impressive record of producing quality hunting. A great deer, turkey, bear, and small game population call this rare property home. In addition, the location is only a short drive from the famous Ausable River and all of the recreational activities this region of our state has to offer. This home and acreage would be very well suited for raising a family in an outdoor lifestyle or a couple looking to retire in peace.

Please don’t hesitate to call for your tour today!

Details

  • Gorgeous custom built home
  • Large pole barn with man cave and finished apartment
  • Established trail system throughout the property
  • Established food plots and hunting blinds (Ground blinds and Tower blinds)
  • Diverse timber stand
  • Potential timber value
  • Located on a “Natural Beauty Road”
  • Close proximity to the Ausable River
  • Short drive to Hale and Tawas
  • 5 block dry crawl space
  • 6 inch exterior walls well insulated
  • Anderson windows and French door
  • Central air
  • 2 water heaters (keeps garage warm)
  • TV antenna and Dish hookup with several channels
  • Exceptional masonry work
  • Generac home generator
  • New furnace 2022
  • Excellent well and water
  • Underground power

Summary

Land Type

Hunting and Recreational, Home on Acreage, Timberland

Property Type

Residential Land, Timberland, Hunting Land

Land and Farm Property Types

Land - Hunting, Land - Residential, Timberland - Natural

Road Surface

Gravel

Outbuildings

Metal

Land Details

Timber

Improvements/Features

Small Game, Big Game, Food Plot, Tree Stands/Blinds, Trail Network

Other Property Details

Utilities
  • electric: onsite
  • propane: onsite
  • sewer: onsite
  • telephone: onsite
  • generator: onsite
  • water: onsite
Coordinates

44.34628, -83.7254

Annual Taxes

$0

Sold Property

For more information or to see additional properties currently for sale see Shad Woodruff's listings.

Nearby Related Properties


For Sale
$785,000 244 acres ±
Iosco County • Tawas City, MI 48763
Reduced
$329,000 75 acres ±
Ogemaw County • Lupton, MI 48635
For Sale
$96,000 16 acres ±
Iosco County • South Branch, MI 48761
For Sale
$346,500 99 acres ±
Iosco County • South Branch, MI 48761
Reduced
$499,999 100 acres ±
Ogemaw County • Lupton, MI 48635
For Sale
$179,000 1264 acres ±
Ogemaw County • Prescott, MI 48756
Reduced
$74,500 1 acres ±
Iosco County • Oscoda, MI 48750
New
$749,000 38.56 acres ±
Arenac County • Sterling, MI 48659
Stay Connected

Be Part of a Thriving Land Community!

Get the same expert advice, property strategies, and land management tips that thousands of landowners trust. Subscribe now and stay ahead in the market.