Sold

Outstanding Pocket Tract with Timber, Tillable And Wetlands

Acreage

10 ±

County

Lapeer

SOLD

Address Montgomery, Lot#WP001 Marlette, MI 48453

View on Google Maps

Description

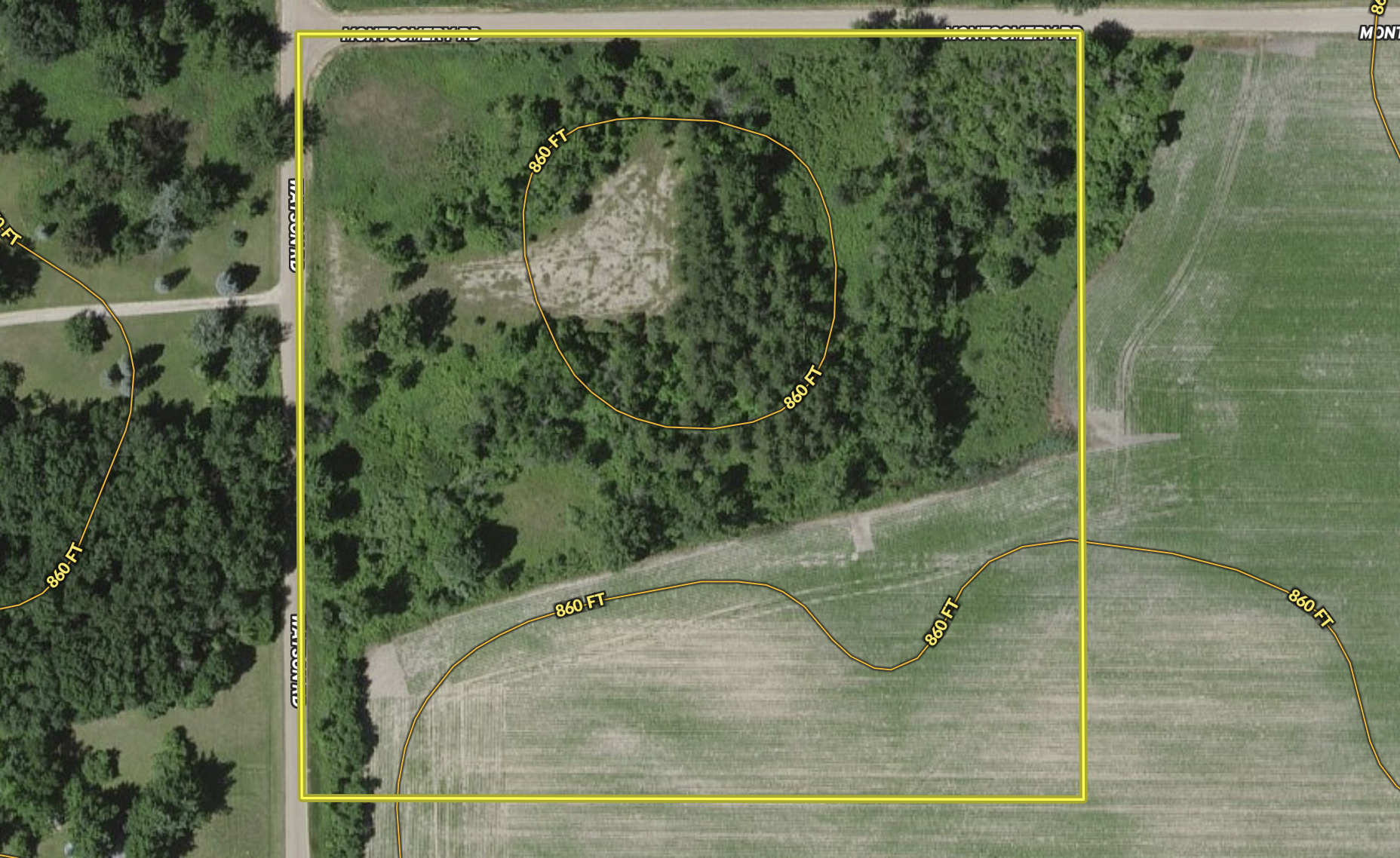
If you're looking for a moderate-sized piece of land that is economical and allows you multiple uses, this is it! This property has quite a lot to offer for its size. It is in a great location just south of Marlette and extremely easy to get to, being 1 mile off of M-53. There are hardwood and evergreen trees on this property, along with a few scattered fruit trees. There are a good amount of game trails intersecting all throughout this property. This piece is bordering a large farm field on 2 sides that are currently planted in corn. The south 3 acres of this property is prime tillable that is currently not planted but could be put back into production or possibly a nice build spot. There is a nice open area in the center of the timbered brushy area that would immediately work well for a secluded campsite or food plots.  Don’t miss out on this economical tract and call us today for a showing or more information.

Details

  • 1 mile east of M-53
  • 3 miles south of Marlette Michigan
  • 1 hour north of Sterling Heights Michigan
  • 1 hour south of Caseville, Michigan and world class fishing at Lake Huron
  • 30 minutes east of Lexington and world class fishing at Lake Huron
  • - 15-30 minutes from Flynn, Sandusky and Lapeer State Game areas
  • Corner Lot
  • Borders big agricultural and big wetland areas
  • ½ acre secluded opening for RV/primitive campsite or food plot area
  • 3 acres of prime tillable fields for farming, foodplot or possible build area
  • Hardwood, Pine and fruit trees on property

Summary

Features

Wild Game, Whitetail, Turkey, Investment, Minerals, Big Game, Small Game, Other Game, Roads, Road Access, Gravel, Tillable / Production Acres, Corn, Wheat, Soybeans, Alfalfa, Clover, Hay, Area Features, Public Hunting, Public Fishing, Camping/Campground, Golf Course, Activities on Property, Hunting, Hiking, ATV Riding, Camping, Family Activities, Seller's Mineral Rights Convey

Road Surface

Gravel

Land Details

Hay

Improvements/Features

Big Game, Small Game, Seller's Mineral Rights Convey

Land Type

Hunting and Recreational, Timberland

Land and Farm Property Types

Land - Hunting, Land - Recreational

Property Type

Recreational Land, Timberland, Hunting Land

Other Property Details

Coordinates

43.2837, -83.0986

Annual Taxes

$0

Sold Property

For more information or to see additional properties currently for sale see Shawn Kelley's listings.

Nearby Related Properties


For Sale
$159,000 10 acres ±
Lapeer • Mayville, MI 48744
New
$550,000 20 acres ±
Sanilac County • Snover, MI 48472
For Sale
$331,000 22 acres ±
Sanilac County • Croswell, MI 48422
For Sale
$775,000 20 acres ±
Sanilac County • Minden City, MI 48456
For Sale
$67,800 5.32 acres ±
Saint Clair County • Goodells, MI 48027
For Sale
$70,500 5.32 acres ±
Saint Clair County • Goodells, MI 48027
For Sale
$74,900 5.31 acres ±
Saint Clair County • Goodells, MI 48027
For Sale
$172,800 15.98 acres ±
Saint Clair County • Goodells, MI 48027
Stay Connected

Be Part of a Thriving Land Community!

Get the same expert advice, property strategies, and land management tips that thousands of landowners trust. Subscribe now and stay ahead in the market.