Sold

Awesome Farm With Great Deer Hunting History, Cabin And Pond In MI

Acreage

80 ±

County

Mecosta

SOLD

Address 401 Hoover Rd Barryton, MI 49305

View on Google Maps

Description

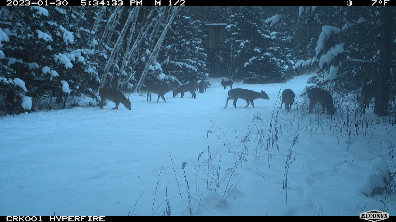
******NEW PICTURES OF THE CURRENT MASSIVE CROP DAMAGE BY THE LARGE DEER HERD ON THIS PROPERTY

Approximately 4 acres of currently standing corn has been decimated by this resident deer herd.

This property has been in the current owner's possession since 1990. They have a long history of killing great bucks, as the property is a deer hunter's dream. Directly behind and below the cabin sits 12+/- acres of corn or beans, basically the grocery store for the deer herd. You can glass most of the field from one of the big picture windows in the camp. I am told it is not uncommon to see 30+ deer in the crop field every evening. The crop field draws deer from the large surrounding parcels as well as feeds the deer that live on this farm. Directly behind the corn/bean field is a large block of standing timber and pines with a small creek running through it that provides a freshwater source for the deer, as does the pond in the southeast corner. Just beyond that stand of timber and pines, there are several great shooting lanes cut into overgrown pine woods; some shoots could be as far as 300 yds. These lanes could also become food plots very easily by simply tilling and planting them. There have been food plots on the elevated box blind ends of the lanes, and they have been destroyed by the deer, eaten down to nothing. There are 2 elevated box blinds in key travel and feeding locations on the property, and all are in good shape. The owners have permitted some of the young hunters to shoot a younger buck for their first deer ever but have practiced excellent management over the years, especially the last 10-12 years, allowing them to kill bigger older bucks of great quality. Bedding cover is abundant, and it is clear to see by the trails, rubs and old scrapes where the deer live every day. I also saw several big mature long beards in the cut corn when I arrived on the property. I assume they roost on both sides of the central timber block and in the creek bed area. The cabin on the property has been extremely well maintained and has a brand new furnace and hot water tank and does have central air conditioning as well. It was also used as their summer getaway and can easily sleep 8-10 comfortably and has two full bathrooms and a laundry room with an industrial washer and dryer. Everything is in great working condition, and it really needs nothing done. There is also a large pole barn with a loft for all the stands, buddy heaters, blind chairs, etc. and room for the toys, tractors and implements. All the equipment you see in the photos is available but is not included in the selling price. This property is a hunter's dream, bring your weapon of choice, and it is ready to hunt. It also has the ability to be even better with those shooting lanes turned into large food plots. This one will not last long in this market. Call me today for a private tour. I will bring my Polaris Ranger, and we can tour the entire farm. You will like what you see.

Summary

Land Type

Hunting and Recreational, Timberland

Property Type

Recreational Land, Timberland, Hunting Land

Land and Farm Property Types

Land - Hunting, Land - Recreational, Timberland - Natural

Road Frontage

Township Road

Road Surface

Gravel

Outbuildings

Metal, Garage

Land Details

Timber, Tillable, Pond

Improvements/Features

Small Game, Big Game, Upland Game, Predators, Waterfowl, Creek/Spring, Tree Stands/Blinds, Trail Network

Other Property Details

Utilities
  • electric: onsite
  • propane: onsite
  • water: onsite
Coordinates

43.7735, -85.096

Annual Taxes

$2,100

Sold Property

For more information or to see additional properties currently for sale see Chuck Keefer's listings.

Nearby Related Properties


For Sale
$134,900 0.19 acres ±
Clare County • Harrison, MI 48625
For Sale
$270,000 69.2 acres ±
Clare County • Harrison, MI 48625
For Sale
$415,000 83.32 acres ±
Clare County • Harrison, MI 48625
For Sale
$182,500 40 acres ±
Midland County • Coleman, MI 48618
Reduced
$395,000 80 acres ±
Osceola County • Tustin, MI 49688
New
$1,350,000 120 acres ±
Osceola County • Tustin, MI 49688
For Sale
$699,000 47.62 acres ±
Gladwin County • Gladwin, MI 48624
For Sale
$499,000 170 acres ±
Roscommon County • Houghton Lake, MI 48629
Stay Connected

Be Part of a Thriving Land Community!

Get the same expert advice, property strategies, and land management tips that thousands of landowners trust. Subscribe now and stay ahead in the market.