Sold

Build, Hunt And Farm On This Nice Tract Of Land Just South Of Underwood

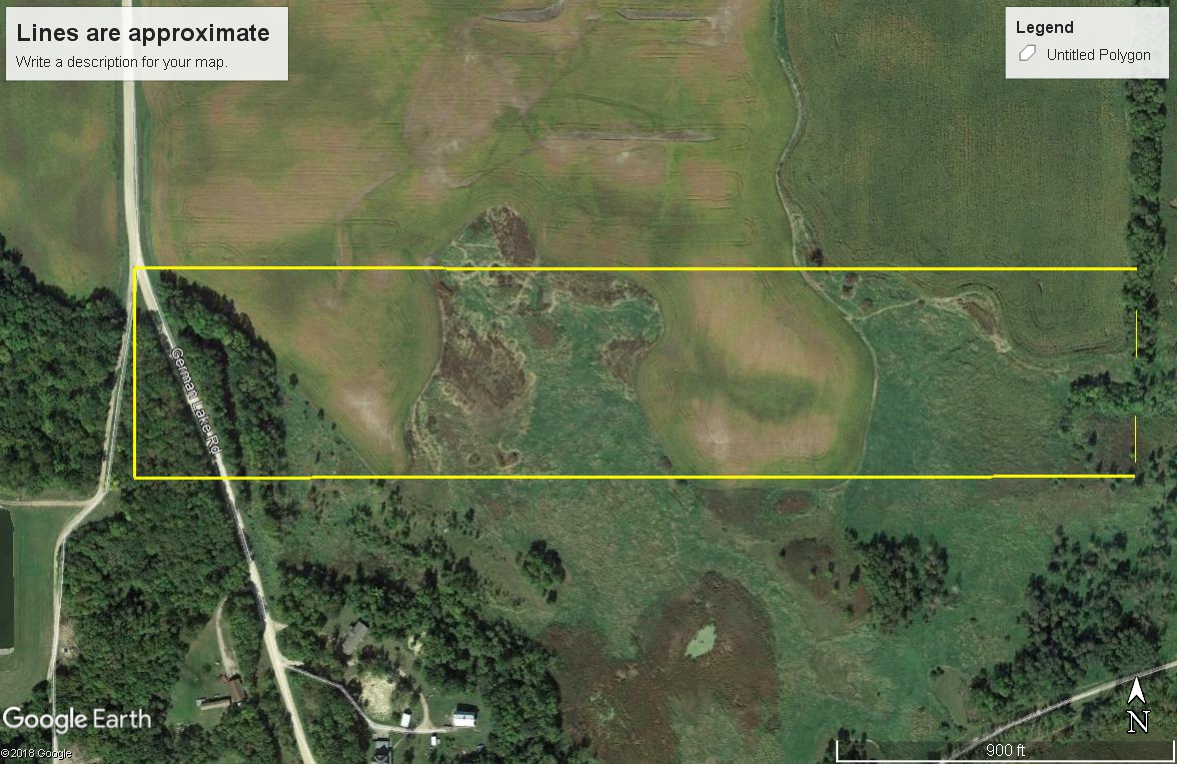
Acreage

30 ±

County

Otter Tail

SOLD

Address German Lake Road Underwood, MN 56586

View on Google Maps

Description

Located just south of the city of Underwood this property is perfect for you to build on while giving you room to hunt out your back door. Whether you are a bird or deer hunter this property sets up nice for both. Hunt the meadows for pheasants and deer and hunt the fields for waterfowl. The woods provide roost trees for the turkeys and the tillable land provides income and food for the critters. Fence in the meadow for pasture if you'd like and start a hobby farm. Conveniently located with easy access to Highway 210 this is a great spot to start your new adventure.    

Details

  • Buildable sites
  • Tillable for income
  • Meadow for deer, turkeys and pheasants
  • Pasture
  • Some woods
  • Nice spot to start a home or get away for the weekend
  • Convenient location

Summary

Features

Tillable, Wild Game, Whitetail, Waterfowl, Turkey, Upland Game, Waterfront, Investment, Pasture, Minerals, Gravel/Rock/Stone, Wetlands, Big Game, Small Game, Pheasant, Dove, Grouse, Other Game, Duck, Geese, Slough, Roads, Road Frontage, County Road, Road Access, Gravel, Tillable / Production Acres, Pine Trees, Hardwood Trees, Softwood Trees, Corn, Oats, Wheat, Barley, Soybeans, Alfalfa, Clover, Hay, Sunflowers, Area Features, Public Hunting, Boat Ramp, Public Fishing, Public Access Area, Marina, RV Park, Camping/Campground, Golf Course, Airport, Activities on Property, Hunting, Hiking, ATV Riding, Horseback Riding, Camping, Family Activities, Biking, Snowmobiling, Tillable, Wild Game, Whitetail, Waterfowl, Turkey, Upland Game, Waterfront, Investment, Pasture, Minerals, Gravel/Rock/Stone, Wetlands, Big Game, Small Game, Pheasant, Dove, Grouse, Other Game, Duck, Geese, Slough, Roads, Road Frontage, County Road, Road Access, Gravel, Tillable / Production Acres, Pine Trees, Hardwood Trees, Softwood Trees, Corn, Oats, Wheat, Barley, Soybeans, Alfalfa, Clover, Hay, Sunflowers, Area Features, Public Hunting, Boat Ramp, Public Fishing, Public Access Area, Marina, RV Park, Camping/Campground, Golf Course, Airport, Activities on Property, Hunting, Hiking, ATV Riding, Horseback Riding, Camping, Family Activities, Biking, Snowmobiling

Land Type

Hunting and Recreational, Waterfowl

Land Details

Tillable, Pasture, Hay

Road Surface

Gravel

Property Type

Recreational Land, Hunting Land

Road Frontage

County Road

Improvements/Features

Big Game, Waterfowl, Upland Game, Wetlands, Small Game, Slough

Land and Farm Property Types

Land - Hunting, Land - Recreational

Other Property Details

Coordinates

46.2723, -95.8625

Annual Taxes

$0

Sold Property

For more information or to see additional properties currently for sale see Jason Ziegler's listings.

Nearby Related Properties


For Sale
$585,000 124.92 acres ±
Otter Tail County • Fergus Falls, MN 56537
For Sale
$285,000 62.97 acres ±
Otter Tail County • Fergus Falls, MN 56537
For Sale
$356,000 80 acres ±
Otter Tail County • Fergus Falls, MN 56537
For Sale
$140,000 20 acres ±
Otter Tail County • Pelican Rapids, MN 56572
For Sale
$126,000 15 acres ±
Otter Tail County • Pelican Rapids, MN 56572
For Sale
$76,000 8 acres ±
Otter Tail County • Pelican Rapids, MN 56572
For Sale
$335,000 100 acres ±
Otter Tail County • Pelican Rapids, MN 56572
For Sale
$540,000 54.96 acres ±
Otter Tail County • Perham, MN 56573

Be Part of a Thriving Land Community!

Get the same expert advice, property strategies, and land management tips that thousands of landowners trust. Subscribe now and stay ahead in the market.