Sold

Field And Mature Timber With Excellent Hunting

Acreage

60 ±

County

Pine

SOLD

Address Maple Rd, Lot#WP001 Willow River, MN 55795

View on Google Maps

Description

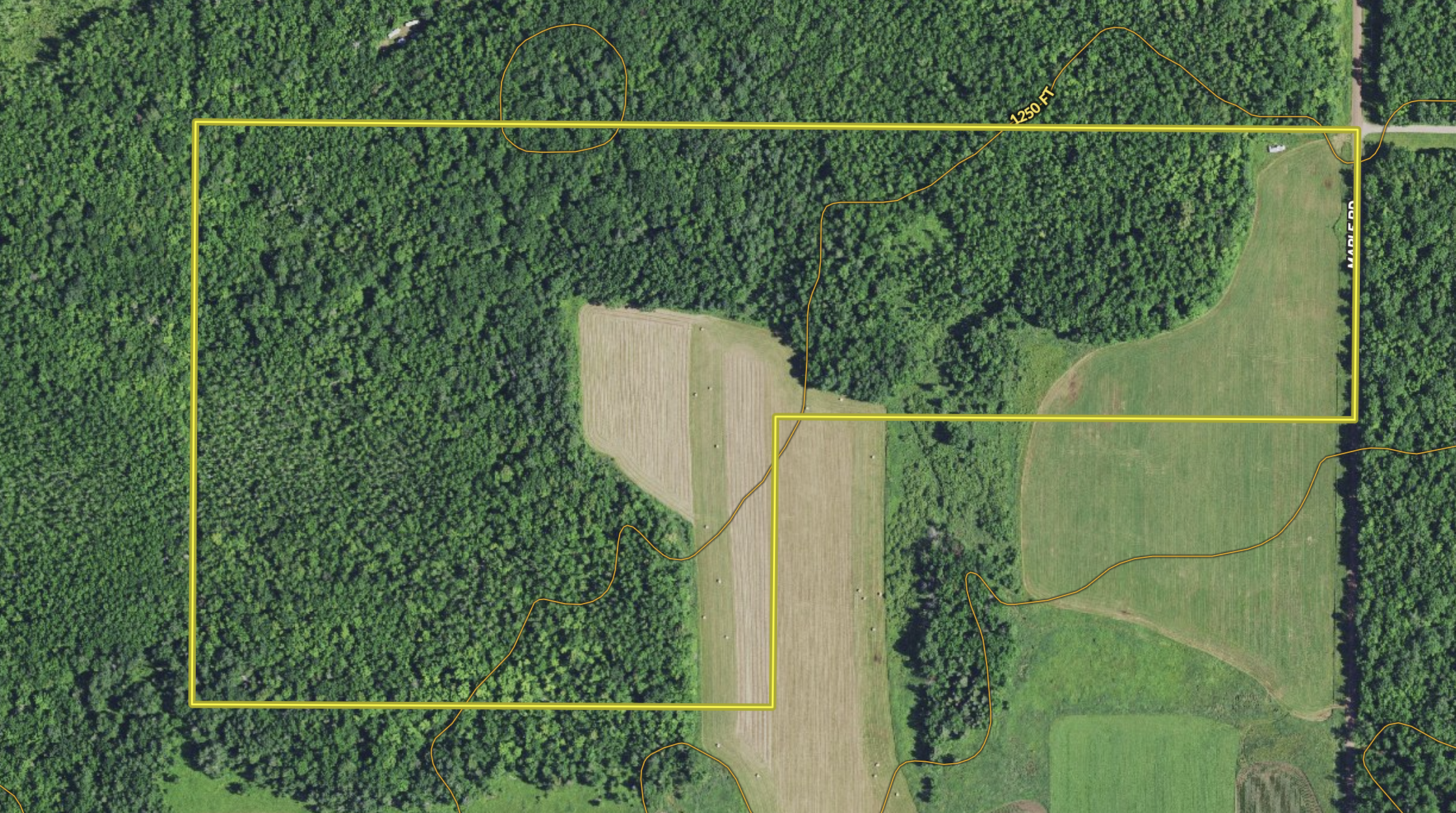
This property has the perfect mixture of mature timber, thick cover, and open fields. There is an approach off the road leading into a nice hayfield with plenty of clover in it. Electric has been brought into the property, and there is also an old camper that was used during hunting season. Just behind the field is mature hardwood timber. A thin section of brushy low ground cover weaves in along the timber. Then another nice field opening, followed yet again by mature timber in the back of the parcel. There is a large adjacent agricultural field that is sure to draw in tons of wildlife. The 10 +/- acres of a field on the parcel could also be turned into food plots to create a wildlife mecca. The property offers excellent hunting for deer, bear, turkey as well as upland game. The property is within 2 hours of the Twin Cities, perfect for those quick weekend get-aways.

Details

  • About 10 +/- acres of field
  • Surveyed
  • Mature timber
  • Quality hunting for deer, bear, turkey, and upland game
  • Within 2 hours of the Twin Cities
  • Close to ATV/snowmobile trails
  • Electric on site

Summary

Features

Wild Game, Whitetail, Turkey, Upland Game, Waterfront, Bear, Wetlands, Big Game, Pheasant, Grouse, Other Game, Roads, Road Frontage, County Road, Road Access, Gravel, Tillable / Production Acres, Hardwood Trees, Clover, Hay, Utilities, Electric, Area Features, Public Hunting, Public Fishing, Camping/Campground, Golf Course, Activities on Property, Hunting, ATV Riding, Snowmobiling

Road Frontage

County Road

Road Surface

Gravel

Land Details

Hay

Improvements/Features

Big Game, Upland Game, Wetlands

Land Type

Hunting and Recreational

Land and Farm Property Types

Land - Hunting, Land - Recreational

Property Type

Recreational Land, Hunting Land

Other Property Details

Coordinates

46.2885, -93.0332

Annual Taxes

$682

Sold Property

For more information or to see additional properties currently for sale see Eddie Odendahl's listings.

Nearby Related Properties


For Sale
$275,000 120 acres ±
Kanabec County • Sandstone, MN 55072
For Sale
$82,500 19.25 acres ±
Pine County • Sandstone, MN 55072
Reduced
$410,000 43.62 acres ±
Pine County • Sandstone, MN 55072
New
$130,000 20 acres ±
Carlton County • Sturgeon Lake, MN 55783
Reduced
$559,000 63.14 acres ±
Mille Lacs County • Isle, MN 56342
Reduced
$319,000 0.09 acres ±
Mille Lacs County • Isle, MN 56342
Reduced
$579,000 0.67 acres ±
Mille Lacs County • Onamia, MN 56359
Reduced
$224,900 39.2 acres ±
Burnett County • Danbury, WI 54830
Stay Connected

Be Part of a Thriving Land Community!

Get the same expert advice, property strategies, and land management tips that thousands of landowners trust. Subscribe now and stay ahead in the market.