Sold

Great Hunting With Established Basecamp, Food Plots, And Box Stands

Acreage

80 ±

County

Pine

SOLD

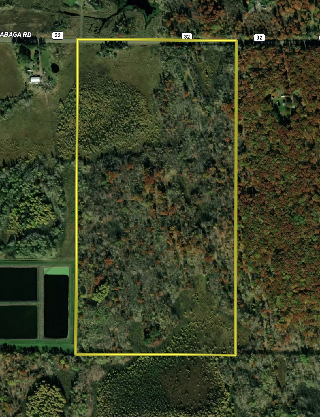
Address 40384 Rutabaga Road, Lot#WP001 Askov, MN 55704

View on Google Maps

Description

Check out this great hunting property with an established basecamp, trails, and 2 Banks Stump 2 box stands. Paved road access just outside Askov, the property has an approach in place, and electricity has already been brought into the property. The basecamp clearing is tucked about 100’ into the parcel, with lots of mature timber surrounding it for excellent privacy. The trail system takes you out of camp and runs to the back end of the property. Two established clover plots must be mowed, as two banks box stands and several ladder stands. Plenty of deer signs were on the property, with many trails and an old rub line. The property has excellent habitat diversity with some thick Tamaracks, ideal for a deer sanctuary, and much of the center/back of the parcel is beautiful mature hardwoods. Many Oak trees will provide an additional food source—excellent hunting for all types of wildlife. Perfect location being just 2 hours from the Twin Cities and about 20 minutes to the Grand Casino in Hinckley with Grand National Golf Course.

Details

  • Approach in place with locked cable entrance
  • Established basecamp clearing
  • Couple miles of trails
  • 2 Banks Stump 2 elevated stands
  • Several ladder stands
  • Electricity already brought onto the property
  • Within 2 hours of the Twin Cities
  • Close to ATV/snowmobile trails
  • Mature hardwood timber
  • Excellent deer, bear, turkey and upland game hunting

Summary

Land Type

Hunting and Recreational, Timberland

Property Type

Recreational Land, Timberland, Undeveloped Land, Hunting Land

Land and Farm Property Types

Land - Hunting, Land - Recreational, Timberland - Natural

Road Frontage

County Road

Road Surface

Pavement

Land Details

Timber

Improvements/Features

Small Game, Big Game, Upland Game, Food Plot, Tree Stands/Blinds, Trail Network

Activities on Property

Hunting, Hiking, ATV Riding, Camping, Biking, Horseback Riding, Family Activities, Snowmobiling

Roads

Road Frontage

Nearby Features

Public Hunting, Public Fishing, Camping/Campground, Public Access Area, RV Park, Golf Course

Tillable/Production Areas

Pine Trees, Hardwood Trees

Wild Game

Upland Game, Small Game, Big Game

Recent Property Improvements

Food plot, Trail network, Tree stand/Blinds, Gated entrance

Other Property Details

Coordinates

46.1861, -92.7262

Annual Taxes

$1,116

Sold Property

For more information or to see additional properties currently for sale see Eddie Odendahl's listings.

Nearby Related Properties


Reduced
$410,000 43.62 acres ±
Pine County • Sandstone, MN 55072
For Sale
$82,500 19.25 acres ±
Pine County • Sandstone, MN 55072
New
$130,000 20 acres ±
Carlton County • Sturgeon Lake, MN 55783
Reduced
$224,900 39.2 acres ±
Burnett County • Danbury, WI 54830
For Sale
$275,000 120 acres ±
Kanabec County • Sandstone, MN 55072
Reduced
$215,000 39 acres ±
Pine County • Sandstone, MN 55072
Reduced
$559,000 63.14 acres ±
Mille Lacs County • Isle, MN 56342
Reduced
$319,000 0.09 acres ±
Mille Lacs County • Isle, MN 56342
Stay Connected

Be Part of a Thriving Land Community!

Get the same expert advice, property strategies, and land management tips that thousands of landowners trust. Subscribe now and stay ahead in the market.