Sold

Secluded Property With Mature Hardwoods And Great Habitat Diversity

Acreage

40 ±

County

Pine

SOLD

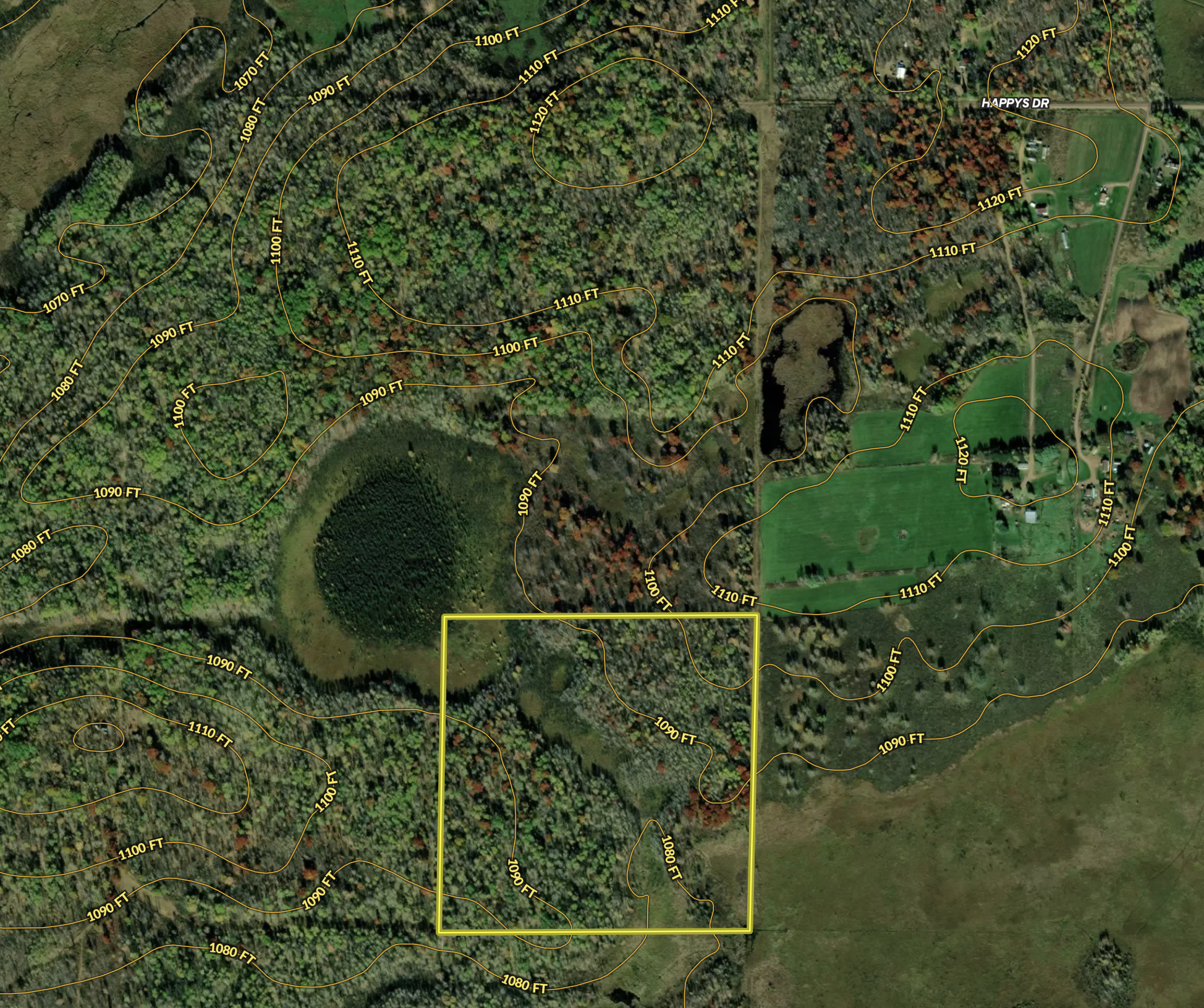
Address Happys Drive, Lot#WP001 Hinckley, MN 55037

View on Google Maps

Description

This beautiful property is located just a few miles outside Hinckley, down a secluded easement. The property has tons of nice mature hardwoods with just the right amount of thick brush and grassy cover to hold high numbers of wildlife. There is plenty of mature oak, maple birch, and aspen trees. With a little bit of work, some trails and a couple of food plots could be added, allowing this property to bring in a lot of deer from surrounding parcels. The area is known for quality hunting for deer, bear, turkey, and upland game. I found plenty of deer and turkey sign on the property, and I also flushed a few grouse while walking the parcel. The property is close to ATV/snowmobile trails for hours of enjoyment. It’s also within 10 minutes of the Grand Casino in Hinckley, with the Grand National golf course. The property is located within 90 minutes of the Twin Cities, perfect for those quick weekend get-a-ways.

Details

  • Excellent habitat diversity
  • Mature hardwoods
  • Quality hunting for deer, bear, turkey, and upland game
  • Close to ATV/snowmobile trails
  • Just 10 minutes to Grand National Golf Course in Hinckley
  • Within 90 minutes of the Twin Cities

Summary

Land Type

Hunting and Recreational

Property Type

Recreational Land, Hunting Land

Land and Farm Property Types

Land - Hunting, Land - Recreational

Road Frontage

County Road

Road Surface

Dirt

Land Details

Timber, Pond

Improvements/Features

Small Game, Big Game, Upland Game

Other Property Details

Coordinates

46.065, -92.9513

Annual Taxes

$0

Sold Property

For more information or to see additional properties currently for sale see Eddie Odendahl's listings.

Nearby Related Properties


For Sale
$82,500 19.25 acres ±
Pine County • Sandstone, MN 55072
For Sale
$275,000 120 acres ±
Kanabec County • Sandstone, MN 55072
Reduced
$410,000 43.62 acres ±
Pine County • Sandstone, MN 55072
Reduced
$224,900 39.2 acres ±
Burnett County • Danbury, WI 54830
Reduced
$319,000 0.09 acres ±
Mille Lacs County • Isle, MN 56342
Reduced
$559,000 63.14 acres ±
Mille Lacs County • Isle, MN 56342
New
$130,000 20 acres ±
Carlton County • Sturgeon Lake, MN 55783
Reduced
$215,000 39 acres ±
Pine County • Sandstone, MN 55072
Stay Connected

Be Part of a Thriving Land Community!

Get the same expert advice, property strategies, and land management tips that thousands of landowners trust. Subscribe now and stay ahead in the market.