Sold

Secluded Hunting Property With Building Potential Near Orr MN

Acreage

40 ±

County

Saint Louis

SOLD

Address 0 Wroebel Rd, lot#WP001 Orr, MN 55771

View on Google Maps

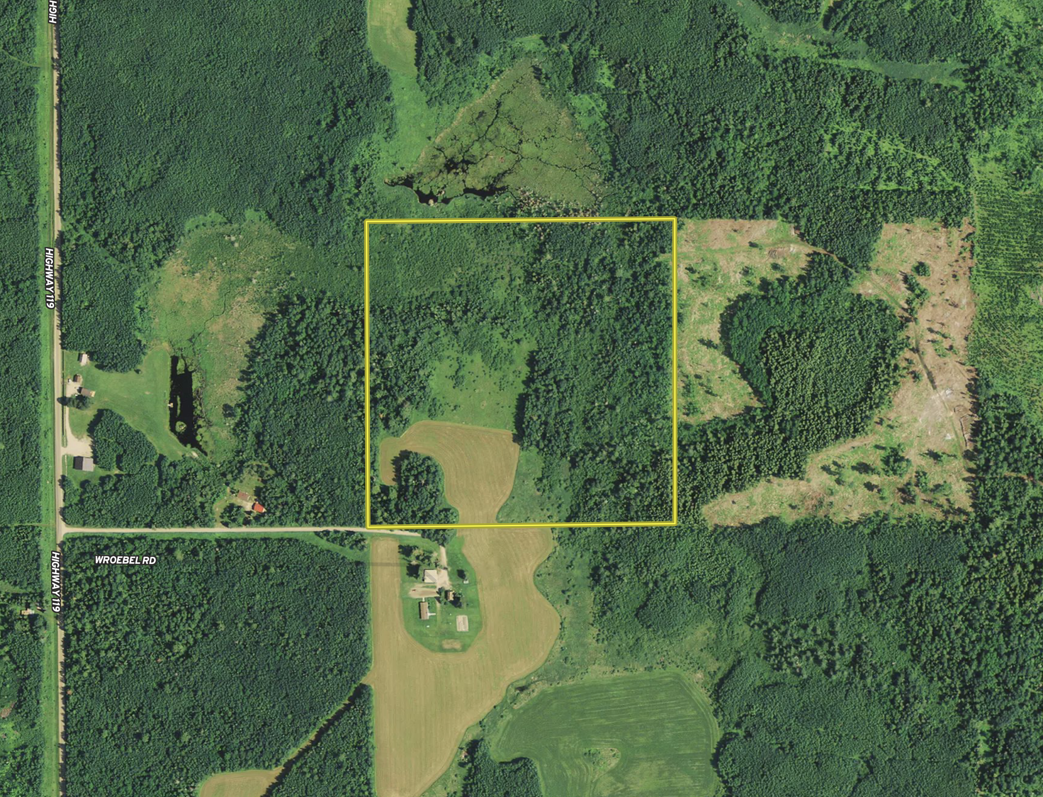
Description

This is a perfect spot at the end of a dead-end road! Super quiet and excellent hunting! The property has a beautiful field that’s a mix of alfalfa and clover! There’s a large box tower stand overlooking the field that you can pull and ATV under and hide it underneath if you have an aging hunter in the group who has a hard time walking. Also, a solid staircase going up to the stand. You could plant a couple of areas with other foods as well giving options to the deer. There are some excellent tucked in spots that would be great to plant some little turnip plots and chicory to pull deer into a smaller spot and get them nice and close! This would be an excellent property for someone who likes to bow hunt as well as the gun hunt! While walking this property I saw several spots where deer were coming out of the timber to the fields. When we got into the timber east of the field my dog got birdy and we flushed a couple of family coveys of grouse. At least 10-15 grouse came out of there I lost count being several were flushing at the same time a couple of times. Either way besides the hunting is great for deer, bear, grouse. Trapping this piece would be a blast also with all the edges! This property also has some great spots to build a home, cabin, or bring in a camper as well. The east side of this property is bordered by public land as well for more room to roam. Also nearby are lots of excellent fishing lakes the area is known for! As well as excellent snowmobile trails for winter fun. This could be that home away from home you’ve been looking for! Call for your private showing today!

Details

  • Excellent location with end of the road privacy
  • Beautiful field made up of mix of alfalfa and clover excellent for deer
  • East side borders public lands
  • Great spots to build home, cabin, or bring in your camper
  • Great hunting for deer, bear, and grouse
  • Tons of great lakes to fish in the area

Summary

Improvements/Features

Big Game, Upland Game, Wetlands, Small Game, Tree Stands/Blinds, Trail Network

Features

Wild Game, Whitetail, Upland Game, Waterfront, Improvements, Investment, Bear, Wetlands, Big Game, Small Game, Grouse, Roads, Road Frontage, County Road, Road Access, Gravel, Tillable / Production Acres, Pine Trees, Hardwood Trees, Softwood Trees, Alfalfa, Clover, Hunting Improvements, Tree Stands, Recreational Improvements, Trail Network, Area Features, Public Hunting, Boat Ramp, Public Fishing, Public Access Area, Marina, RV Park, Camping/Campground, Airport, Activities on Property, Hunting, Hiking, ATV Riding, Horseback Riding, Camping, Family Activities, Biking, Snowmobiling

Road Frontage

County Road

Road Surface

Gravel

Land Type

Hunting and Recreational

Land and Farm Property Types

Land - Hunting, Land - Recreational

Property Type

Recreational Land, Hunting Land

Other Property Details

Coordinates

47.9999, -92.9106

Annual Taxes

$280

Sold Property

For more information or to see additional properties currently for sale see Kyle Herr's listings.

Nearby Related Properties


For Sale
$480,000 186.64 acres ±
Saint Louis County • Chisholm, MN 55719
For Sale
$729,000 320 acres ±
Saint Louis County • Babbitt, MN 55706
New
$49,900 2.61 acres ±
Itasca County • Bovey, MN 55709
New
$29,900 12.85 acres ±
Saint Louis County • Cotton, MN 55724
Reduced
$2,250,000 1040 acres ±
Lake County • Two Harbors, MN 55616
For Sale
$869,000 400 acres ±
Lake of the Woods County • Baudette, MN 56623
New
$278,250 160 acres ±
Lake of the Woods County • Baudette, MN 56623
For Sale
$250,000 52.22 acres ±
Beltrami County • Bemidji, MN 56667
Stay Connected

Be Part of a Thriving Land Community!

Get the same expert advice, property strategies, and land management tips that thousands of landowners trust. Subscribe now and stay ahead in the market.