Sold

Immaculate Home With Privacy And Unrivaled Views

Acreage

80 ±

County

Todd

SOLD

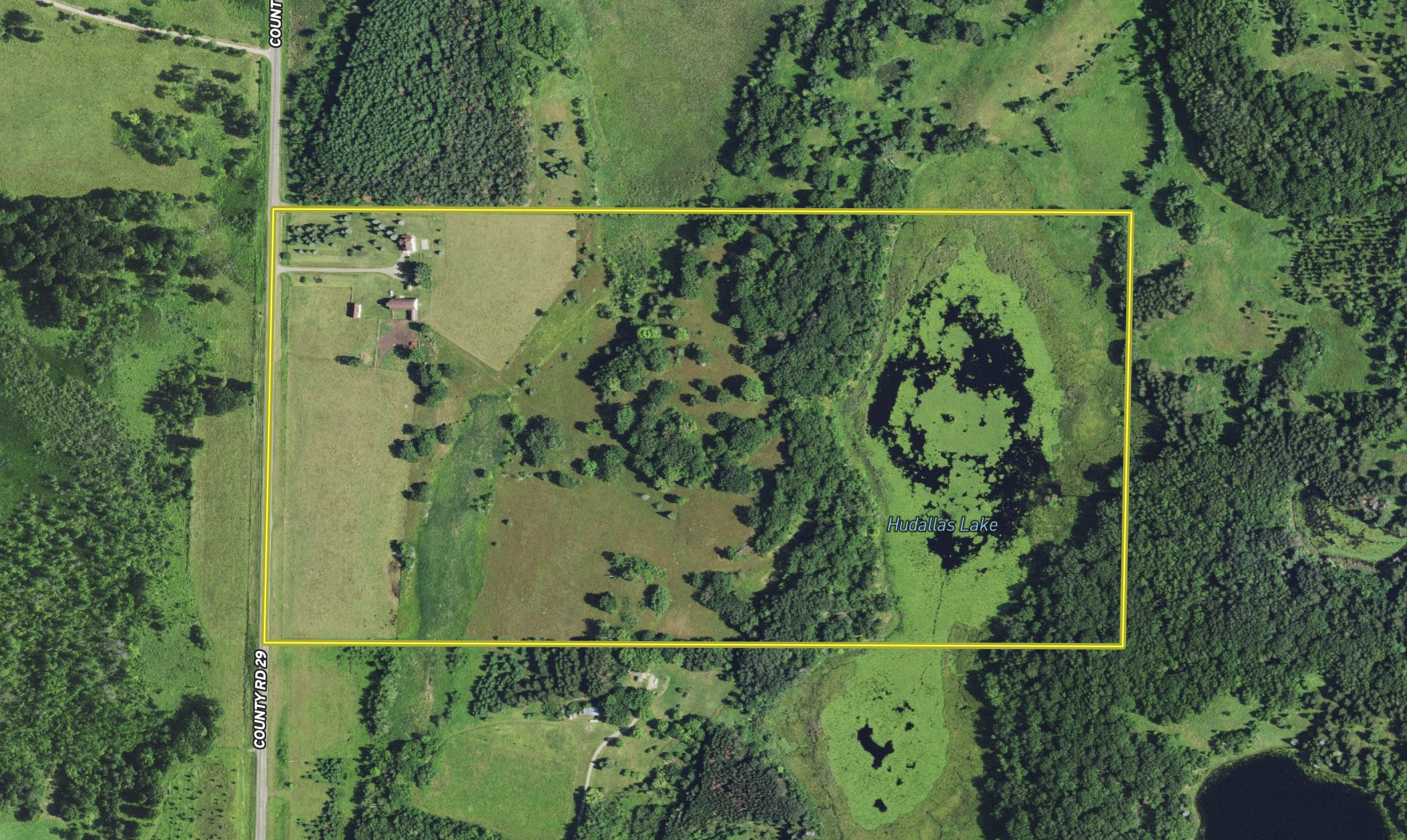
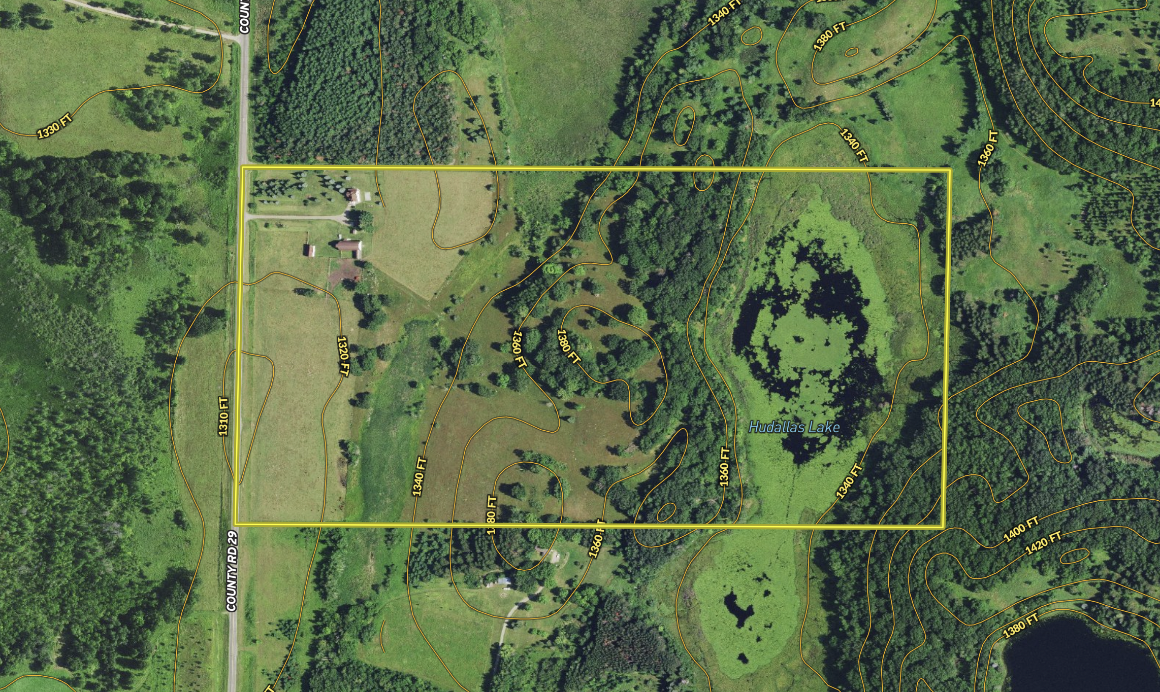
Address 27818 County 29, Lot#WP001 Long Prairie, MN 56347

View on Google Maps

Description

Imagine waking up in the morning and seeing the most gorgeous views from your window. Now imagine waking up and being able to hunt that same property! Whether you're a whitetail, bear, turkey, or waterfowl hunter or love being surrounded by nature, this property has it all! This immaculate home features 3,300 +/- square feet of living space, including 5+ bedrooms, three bathrooms, and a new 1,000 square foot addition that blends seamlessly with the rest of the home. The screened-in porch is perfect for watching the sunrises or curling up with a blanket and book on those cool MN evenings. Other great features include main floor laundry, paved driveway, newer Anderson windows and carpet on the main level, and ample storage throughout the home, all with a new oversized 2+ attached garage. You'll find several outbuildings as you explore the grounds, including the most pristine tin-roofed barn with its own pickleball court! Imagine the gatherings you could host in such a unique space! There are also several other outbuildings to meet your storage & gardening needs. Traveling across the pasture and open meadows, you will meet the rolling hills with plenty of mature oaks, cedars, maple trees, ponds, and wetlands. It’s hard to find a perfect habitat for the multiple species of game animals that call this property home. This fenced property would be perfect for horses or cattle, and Mill Lake, known for excellent fishing, is right around the corner. You must see all this one-of-a-kind turnkey property has to offer!

Details

  • 3,300 +/- square feet, 5+ bedrooms, 3 bathrooms
  • Rolling hills with mature oaks, cedar, and maples
  • Loaded with whitetail, turkey, ducks and pheasant
  • Several outbuildings including updated barn
  • Ponds, wetlands, open meadows, and pasture
  • Fenced property
  • Screened-in-porch
  • Walking distance to Mill Lake
  • Paved driveway
  • Local attractions: Golf, tubing, canoing & drive-in theater

Summary

Roads

Road Frontage

Fencing

Low Fence, Electric

Land Type

Hunting and Recreational, Home on Acreage, Ranch and Farm

Waterfowl

Duck, Geese

Wild Game

Upland Game, Small Game, Big Game

Waterfront

Pond (0-3 acres), Wetlands, Lake (3+ acres)

Land Details

Pasture, Timber, Pond, Lake

Outbuildings

Shop, Barn

Road Surface

Pavement

Type of Home

Residential, Country Home

Property Type

Farms, Residential Land, Hunting Land, Recreational Land

Road Frontage

County Road

Nearby Features

Public Hunting, Public Fishing, Camping/Campground, Airport, Boat Ramp, Public Access Area, RV Park, Golf Course

Improvements/Features

Small Game, Big Game, Upland Game, Waterfowl, Fish, Wetlands, Livestock Facilities, Tree Stands/Blinds, Trail Network, Internal Road System

Activities on Property

Hunting, Hiking, ATV Riding, Camping, Biking, Fishing, Boating, Horseback Riding, Family Activities, Snowmobiling

Tillable/Production Areas

Pine Trees, Softwood Trees, Vegetables, Pasture

Land and Farm Property Types

Agriculture - Farm, Land - Hunting, Land - Residential

Recent Property Improvements

Trail network, Tree stand/Blinds, Internal Road Network

Other Property Details

Utilities
  • electric: onsite
  • propane: onsite
  • sewer: onsite
  • internet: onsite
  • cable: onsite
  • generator: onsite
  • telephone: onsite
  • water: onsite
Coordinates

46.0257, -94.7471

Annual Taxes

$2,416

Sold Property

For more information or to see additional properties currently for sale see Jason Ziegler's listings.

Nearby Related Properties


For Sale
$183,700 9.55 acres ±
Todd County • Hewitt, MN 56453
For Sale
$375,000 200 acres ±
Otter Tail County • New York Mills, MN 56567
For Sale
$79,000 5.02 acres ±
Crow Wing County • Brainerd, MN 56401
For Sale
$79,000 5 acres ±
Crow Wing County • Brainerd, MN 56401
For Sale
$287,000 69.3 acres ±
Mille Lacs County • Onamia, MN 56353
For Sale
$540,000 54.96 acres ±
Otter Tail County • Perham, MN 56573
For Sale
$585,000 124.92 acres ±
Otter Tail County • Fergus Falls, MN 56537
For Sale
$285,000 62.97 acres ±
Otter Tail County • Fergus Falls, MN 56537

Be Part of a Thriving Land Community!

Get the same expert advice, property strategies, and land management tips that thousands of landowners trust. Subscribe now and stay ahead in the market.