Sold

Diverse Hunting Property Bordering Acres Of Public Land

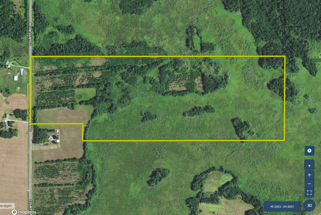
Acreage

115 ±

County

Wadena

SOLD

Address County Road 26, Lot#WP002 Sebeka, MN 56477

View on Google Maps

Description

This one is as good as it looks on paper and might even be better. The planted pine offers excellent thermal and bedding cover, the mature oak offers the perfect travel corridors, and the low ground offers the ultimate sanctuary. Add in spots for food plots, stand locations, and trails and you really have a nice well-rounded tract of land that offers everything. With a standing bean field across the road, this property had plenty of deer, turkey, and pheasant sign when I walked it. We also flushed a few grouse and there is no question that bears call this area home as well. With good access off County Highway 26, this is a great spot to build and would make for a great hunting camp. This property also has backdoor access to 1000 +/- acres of public land that is very hard for the public to access. This means more hunting opportunities! The Crow Wing River isn't all that far away either. If you are looking for a great recreational property, check it out! (More adjoining land available)

Details

  • Easy access off of paved County Highway 26
  • Planted pine for income and excellent thermal cover
  • Mature oak
  • Open areas for food plots
  • Good low ground for excellent security cover
  • Tons of edge habitat
  • Tillable across the road
  • Borders 1000 +/- acres of very hard to get to public land
  • Not far from the Crow Wing River
  • Great spot to build
  • Deer, bear, turkey, grouse, and pheasant

Summary

Land Type

Hunting and Recreational

Land Details

Timber

Road Surface

Pavement

Property Type

Recreational Land, Hunting Land

Road Frontage

State Highway

Improvements/Features

Small Game, Big Game, Upland Game, Wetlands, Slough, Food Plot, Trail Network, Internal Road System

Land and Farm Property Types

Land - Hunting, Land - Recreational

Other Property Details

Coordinates

46.5932, -94.8776

Annual Taxes

$0

Sold Property

For more information or to see additional properties currently for sale see Jason Ziegler's listings.

Nearby Related Properties


For Sale
$183,700 9.55 acres ±
Todd County • Hewitt, MN 56453
For Sale
$375,000 200 acres ±
Otter Tail County • New York Mills, MN 56567
Reduced
$69,000 3.21 acres ±
Becker County • Osage, MN 56570
For Sale
$540,000 54.96 acres ±
Otter Tail County • Perham, MN 56573
For Sale
$443,000 143 acres ±
Becker County • Rochert, MN 56578
For Sale
$86,000 3.42 acres ±
Becker County • Rochert, MN 56578
For Sale
$100,000 12.22 acres ±
Becker County • Rochert, MN 56578
For Sale
$400,000 4.12 acres ±
Becker County • Rochert, MN 56578

Be Part of a Thriving Land Community!

Get the same expert advice, property strategies, and land management tips that thousands of landowners trust. Subscribe now and stay ahead in the market.