New $749,000 · 341.68± Acres

Wadena County

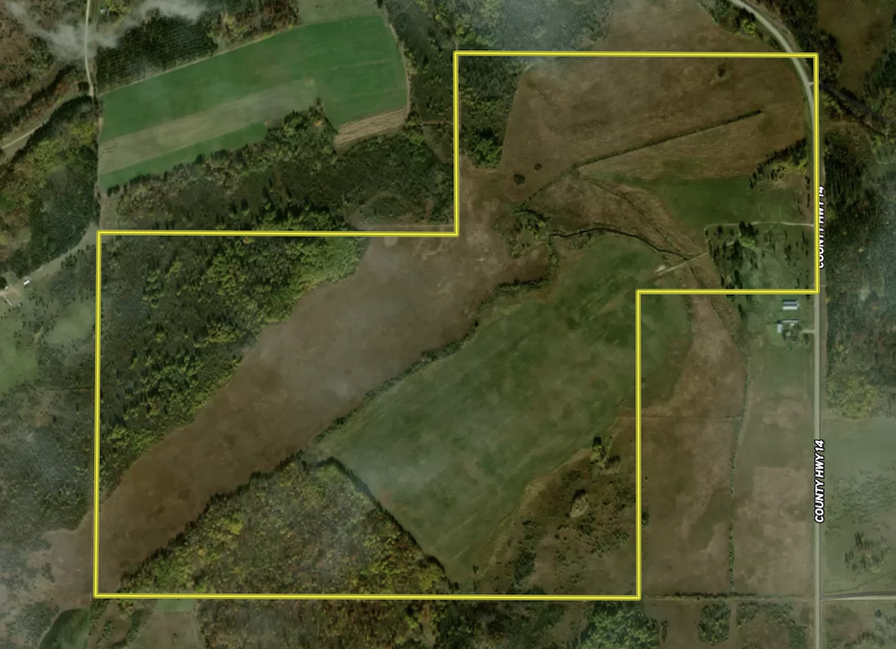
Large Wadena County Tract With Massive Upside

TBD County Road 14 Sebeka, MN 56477

Description

“If you build it, people will come.” That’s the first thought that came to mind after walking this property. What I mean is that this land has the foundation to become something truly special — a legacy hunting property that could produce outstanding deer for years to come. Right now, it already has all the ingredients whitetail deer love, especially big mature bucks. Even more important, this is a large, continuous tract of land, something that rarely becomes available in this area. The property includes nearly 75± acres of tillable ground, combined with low swampy bedding areas and diverse timber consisting of poplar, oak, tamarack, ash, red willow, and tall reed canary grass. The habitat diversity here is exceptional, creating an environment that allows deer to feed, travel, and bed safely. Located just north of Nimrod and west of the Crow Wing River corridor, this area is already well known for producing quality wildlife. With some thoughtful habitat work — food plots, screening cover, and travel corridors — this property could easily be transformed into a true whitetail hotspot. And while the deer hunting is excellent, that’s not the only attraction. This region is known for world-class bear hunting, along with strong turkey and grouse populations, making this a well-rounded recreational property. Whether you’re looking to expand your farming operation with productive tillable acres, pasture, or create a premier hunting destination, this property offers the opportunity to do both. Priced to move, this is a rare opportunity in a highly sought-after area. You’ll want to come take a look before it’s gone. *Seller financing available with favorable terms!*


Summary

Address

TBD County Road 14

Sebeka, MN 56477

Wadena County

Get Directions

Property

Property Type
Recreational Land, Hunting Land
Road Frontage
County Road
Road Surface
Pavement
Fencing
Low Fence

Land Details

Pasture

Timber

Tillable

Improvements/Features

Small Game, Big Game, Upland Game, Wetlands, Slough, Internal Road System, Grain Storage


Details

  • Large continuous hunting tract near Nimrod
  • Approximately 75± acres of productive tillable ground
  • Exceptional deer habitat with food, cover, and water nearby
  • Timber mix of oak, poplar, tamarack, ash, and willow
  • Natural bedding cover including swamp and tall reed canary grass
  • Located near the Crow Wing River wildlife corridor
  • Proven area for big whitetails
  • World-class bear hunting in the region
  • Strong turkey and grouse hunting opportunities
  • Ideal for habitat development and food plots
  • Opportunity to expand farming operation, pasture or create a hunting legacy property
  • Seller financing available with favorable terms

Other

Coordinates

46.6776, -94.9007

Annual Taxes

$7,006
Listing Agent

Nearby Related Properties


For Sale
$185,000 37.28 acres ±
Wadena County • Sebeka, MN 56477
Reduced
$299,000 120 acres ±
Cass County • Sebeka, MN 56477
New
$135,000 40 acres ±
Otter Tail County • Sebeka, MN 56477
New
$499,000 160 acres ±
Otter Tail County • Sebeka, MN 56477
New
$399,000 120 acres ±
Otter Tail County • Sebeka, MN 56477
For Sale
$300,000 80 acres ±
Wadena County • Verndale, MN 56481
For Sale
$98,000 0.92 acres ±
Hubbard County • Park Rapids, MN 56470
For Sale
$47,000 7.33 acres ±
Otter Tail County • Sebeka, MN 56477
Stay Connected

Be Part of a Thriving Land Community!

Get the same expert advice, property strategies, and land management tips that thousands of landowners trust. Subscribe now and stay ahead in the market.