Sold

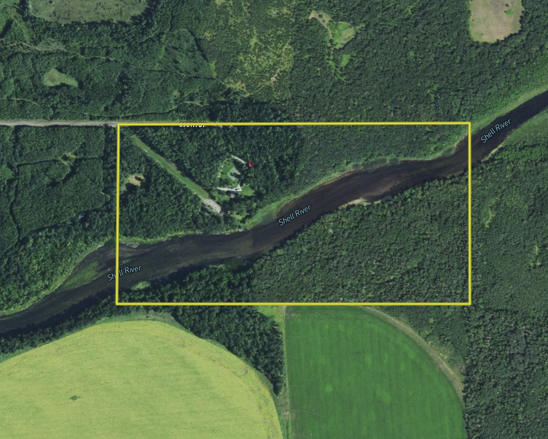
Serene Shell River Property

Acreage

38.34 ±

County

Wadena

SOLD

Address 390th Street, Lot#WP001 Menahga, MN 56464

View on Google Maps

Description

Nestled in the heart of west central Minnesota lies this enchanting property with endless possibilities. This property boasts a prime location with the majestic Shell River running through it, creating a tranquil environment for just about anyone. The property has mature oak woods, mixed pines, and aspen that provide cover for the abundant wildlife that calls this place home.

Details

  • Beautiful land with a variety of features and amenities
  • Mature oak woods on the property offer natural beauty
  • Excellent hunting opportunities on the property with a variety of game including deer, turkey, grouse, bear, and waterfowl

Summary

Land Type

Hunting and Recreational

Property Type

Recreational Land, Undeveloped Land, Hunting Land

Land and Farm Property Types

Land - Hunting, Timberland - Natural, Land - Recreational

Road Frontage

County Road

Road Surface

Gravel

Land Details

Timber

Improvements/Features

Small Game, Big Game, Upland Game, Waterfowl, Fish, Food Plot, Tree Stands/Blinds, Trail Network

Other Property Details

Coordinates

46.789, -94.9918

Annual Taxes

$0

Sold Property

For more information or to see additional properties currently for sale see Jason Ziegler's listings.

Nearby Related Properties


New
$749,000 341.68 acres ±
Wadena County • Sebeka, MN 56477
For Sale
$98,000 0.92 acres ±
Hubbard County • Park Rapids, MN 56470
For Sale
$185,000 37.28 acres ±
Wadena County • Sebeka, MN 56477
Reduced
$299,000 120 acres ±
Cass County • Sebeka, MN 56477
For Sale
$47,000 7.33 acres ±
Otter Tail County • Sebeka, MN 56477
For Sale
$799,000 20.05 acres ±
Hubbard County • Akeley, MN 56433
For Sale
$395,000 120 acres ±
Hubbard County • Park Rapids, MN 56470
For Sale
$300,000 80 acres ±
Wadena County • Verndale, MN 56481
Stay Connected

Be Part of a Thriving Land Community!

Get the same expert advice, property strategies, and land management tips that thousands of landowners trust. Subscribe now and stay ahead in the market.