Sold

Solid Hunting Property With Food Plots, Stands, And Trail System

Acreage

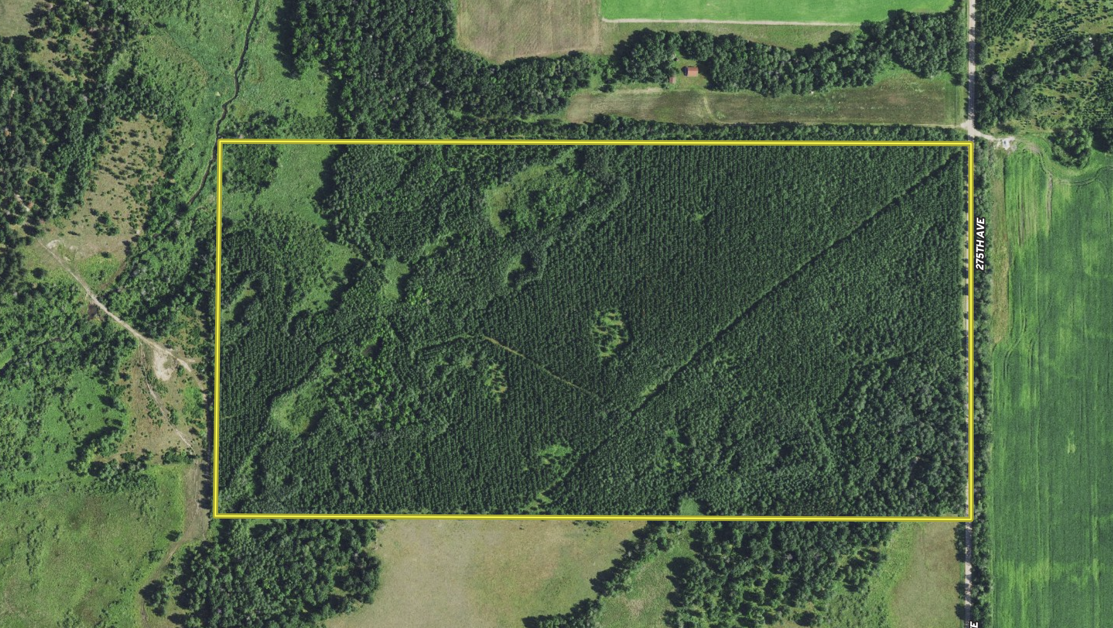
80 ±

County

Wadena

SOLD

Address TBD 275th Avenue, Lot#WP001 Sebeka, MN 56477

View on Google Maps

Description

Just in time for the fall hunting season, this excellent hunting tract is located just east of Nimrod and not far from the Crow Wing River. This property boasts an extensive trail system, established food plots with room for expansion, mature timber, apple trees, and four permanent box blinds. It is quite literally a turnkey property that is ready to be hunted. Deer, bear, turkey, and grouse all call this property home. Beaver Creek is just off the property border, providing ample water and a nice travel corridor. The deer munch on the established food plots on this property before venturing out to the larger ag fields that are east and north. The aspen and pine have good timber value, and the mature oak provides plenty of acorns for all the animals in the fall. Build your hunting cabin or home on this property and enjoy years of successful hunts!

Details

  • Turnkey property
  • 4 permanent box stands included
  • Food plots
  • Trail system
  • Pine, Oak, Aspen
  • Borders Beaver Creek
  • Deer, bear, turkey, and grouse
  • Not far from the Crow Wing River and Nimrod
  • Good building site for your home or hunting cabin
  • Mostly all high ground with a few pockets of lower bedding near Beaver Creek
  • Planted apple trees
  • Good timber value

Summary

Feeds

Lands of America

Roads

Road Frontage, Road Access

Minerals

Gravel/Rock/Stone

Land Type

Hunting and Recreational

Wild Game

Upland Game, Small Game, Big Game, Other Game

Land Details

Timber

Road Surface

Gravel

Property Type

Recreational Land, Hunting Land

Road Frontage

County Road

Nearby Features

Public Hunting, Public Fishing, Marina, Camping/Campground, Airport, Boat Ramp, Public Access Area, RV Park, Golf Course

Improvements/Features

Small Game, Big Game, Upland Game, Predators, Trail Network, Internal Road System, Gated Entrance

Activities on Property

Hunting, Hiking, ATV Riding, Camping, Biking, Horseback Riding, Family Activities, Snowmobiling

Tillable/Production Areas

Pine Trees, Softwood Trees, Hardwood Trees

Land and Farm Property Types

Land - Hunting, Land - Recreational

Recent Property Improvements

Food plot, Trail network, Tree stand/Blinds, Internal Road Network, Gated entrance

Other Property Details

Coordinates

46.6355, -94.8017

Annual Taxes

$1,184

Sold Property

For more information or to see additional properties currently for sale see Jason Ziegler's listings.

Nearby Related Properties


For Sale
$183,700 9.55 acres ±
Todd County • Hewitt, MN 56453
For Sale
$375,000 200 acres ±
Otter Tail County • New York Mills, MN 56567
Reduced
$69,000 3.21 acres ±
Becker County • Osage, MN 56570
For Sale
$540,000 54.96 acres ±
Otter Tail County • Perham, MN 56573
For Sale
$79,000 5 acres ±
Crow Wing County • Brainerd, MN 56401
For Sale
$79,000 5.02 acres ±
Crow Wing County • Brainerd, MN 56401
For Sale
$443,000 143 acres ±
Becker County • Rochert, MN 56578
For Sale
$86,000 3.42 acres ±
Becker County • Rochert, MN 56578

Be Part of a Thriving Land Community!

Get the same expert advice, property strategies, and land management tips that thousands of landowners trust. Subscribe now and stay ahead in the market.