For sale $1,250,000 | 250± Acres

Off-Grid Lodge With Mature Hardwoods And Homochitto River Frontage

3715 Coleman Ln NW, Lot#WP001 Union Church, MS 39668 – Lincoln | View on Google Maps

Timberland Hunting Land

Description

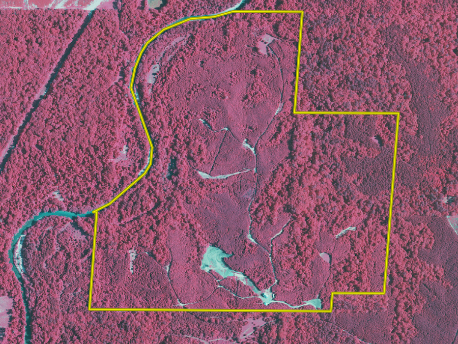
MILLION DOLLAR VIEW is one of the first things you will notice here at Timberlay!! Timberlay is being offered for sale for the first time since being established in 2012. This is a nature lover's paradise and a very unique place!! The sellers have spent years developing this place so you could move in and start hunting. Timberlay consists of a beautiful lodge with four bedrooms and three full baths that will sleep up to 12 comfortably. The lodge also has a garage with roll-up doors, a huge double-decker back porch, a burning fireplace with gas starter, granite countertops, cypress cabinets, exposed beams, a nice kitchen with a bar and stools, as well as a gas stove and dryer. Outside, you will find a very nice enclosed skinning shed with a tool room, walk-in cooler as well as a covered place for a couple of ATVs. There is also a covered area for tractors and implements. Timberlay is an OFF-GRID setup with a 22KW generator and lots of solar panels to keep you running when everyone else is without power. The land consists of some of the most beautiful hardwoods you will find along with pine plantations that could use a thinning to enhance the habitat. There are several food plots scattered throughout, with a good interior road system to get you to each of them. To top it all off and make this a very special place, there is approximately 4,000 feet of Homochitto River making up the western boundary and a 200-acre block of Homochitto National Forest that is bounded on the east side, offering additional hunting opportunities with no public road access. If this sounds like a place that you and your family could enjoy, give us a call. Located N of Hwy 550, 8.5 miles East of Union Church and 18 miles West of I-55. For more information call Larry Stewart @ 985-320-9112 or Trey Keith @ 318-452-1608

Summary

Property SummaryProperty

Outbuildings

Shop, Garage

Property Type

Timberland, Hunting Land

Road Frontage

County Road

Road Surface

Gravel

Details

  • 4 Bed 3 bath solar powered lodge
  • 22kw Generac gas generator
  • Attached garage with roll up doors
  • Enclosed skinning shed with walk-in cooler
  • Mature hardwood timber
  • Over 4000 ft of frontage on the Homochitto River
  • Extensive interior road system

Other

Coordinates

31.69316, -90.70498

Annual Taxes

$3,717

Listing Agent

Nearby Related Properties


For Sale
$1,050,000 123 acres ±
Franklin County • Roxie, MS 39661
Reduced
$260,000 38 acres ±
Jefferson County • Fayette, MS 39069
For Sale
$2,200,000 359 acres ±
Lawrence County • Sontag, MS 39665
For Sale
$900,000 8000 acres ±
Tensas Parish • Saint Joseph, LA 71366
For Sale
$611,800 161 acres ±
Lawrence County • Ruth, MS 39662
For Sale
$71,000 13.96 acres ±
Amite County • Liberty, MS 39645
For Sale
$130,000 1.5 acres ±
Tensas Parish • Newellton, LA 71357
For Sale
$69,999 5 acres ±
Amite County • Summit, MS 39666
Stay Connected

Be Part of a Thriving Land Community!

Get the same expert advice, property strategies, and land management tips that thousands of landowners trust. Subscribe now and stay ahead in the market.