Sold

Hunting Tract With Hunt Camp Location And Excellent Habitat

Acreage

77.69 ±

County

Dallas

SOLD

Address 345 Handley Rd Long Lane, MO 65648

View on Google Maps

Description

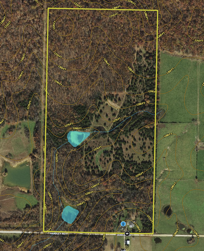
Introducing a great hunting tract in an area renowned for mature whitetail deer with good access. The land has a diverse topography with gently rolling draws, expansive ridges, and a peak in the northwest corner, creating the ideal terrain for a successful hunt. Approximately 10 acres are open in the center of the property, featuring a 1-acre pond, native grasses providing ample bedding opportunities, and scattered cedars offering optimal wildlife cover. Leaving the open area, you are greeted with 50 acres of hardwoods and 15 acres of evergreen stands, creating a sanctuary where wildlife thrives, and a natural transition to your deer stand. Additionally, there is an old pond bed with good soil tucked in the woods that would make an excellent food plot. The soils on the open acreage are mostly class 3, offering great dirt for cultivating food for wildlife.

Conveniently accessible with a gated entrance off a county road, the property offers a cleared area at the front with access to electric service and a dormant water well, perfect for establishing a deer camp or building your next home. Located within 10 miles of I-44, major shopping destinations and entertainment options are easily within reach, ensuring a perfect balance between secluded recreation and modern convenience. Don't miss out on this opportunity to own your hunting paradise in an area teeming with trophy-worthy game. Call the Utecht Land Team today to own this Dallas County hunting property.

Details

  • Property located in an area renowned for mature whitetail deer
  • Approximately 10 acres are open in the center of the property with native grasses and dotted cedars
  • Nice one-acre pond
  • Old pond bed used for food plot
  • The land has a diverse topography with gently rolling draws, expansive ridges, and a peak in the northwest corner
  • 50 acres of hardwoods and 15 acres of evergreen stands
  • Trails through property for good access
  • Soils on the open acreage are mostly class 3 offering great dirt for cultivating food for wildlife
  • Soils on remainder are mostly class 4 - see soil aerial under maps tab next to photos
  • Accessible with a gated entrance off a county road
  • Cleared area at the front with access to electric service and a dormant water well
  • Located within 10 miles of I-44, major shopping destinations, and entertainment options are easily within reach
  • Secluded setting
  • Conway School District

Summary

Land Type

Hunting and Recreational, Ranch and Farm, Timberland

Property Type

Farms, Recreational Land, Timberland, Hunting Land, Horse Property

Land and Farm Property Types

Land - Hunting, Land - Recreational, Timberland - Natural

Road Frontage

County Road

Road Surface

Gravel

Fencing

Low Fence, Partial, Low

Land Details

Timber, Grass, Open, Pond

Improvements/Features

Small Game, Big Game, Predators, Food Plot, Tree Stands/Blinds, Trail Network, Gated Entrance, Seller's Mineral Rights Convey

Activities on Property

Hunting, Hiking, ATV Riding, Camping, Biking, Fishing, Horseback Riding, Family Activities

Roads

Road Frontage, Road Access

Tillable/Production Areas

Softwood Trees, Hardwood Trees

Waterfront

Creek, Pond (0-3 acres)

Wild Game

Upland Game, Small Game, Big Game, Other Game

Recent Property Improvements

Food plot, Trail network, Tree stand/Blinds, Gated entrance

Other Property Details

Utilities
  • electric: onsite
  • water: onsite
  • internet: nearby
  • telephone: nearby
  • cable: nearby
Coordinates

37.5288, -92.9126

Annual Taxes

$76

Sold Property

For more information or to see additional properties currently for sale see Brian W. Utecht's listings.

Nearby Related Properties


For Sale
$769,000 178 acres ±
Dallas County • Long Lane, MO 65590
New
$1,620,000 194.18 acres ±
Dallas County • Conway, MO 65632
Reduced
$948,800 150 acres ±
Dallas County • Elkland, MO 65644
Reduced
$436,500 120 acres ±
Dallas County • Long Lane, MO 65590
For Sale
$1,850,000 313.02 acres ±
Dallas County • Long Lane, MO 65590
For Sale
$999,000 39.83 acres ±
Webster County • Marshfield, MO 65706
For Sale
$1,495,000 352.3 acres ±
Dallas County • Windyville, MO 65783
Reduced
$1,495,000 157 acres ±
Dallas County • Lebanon, MO 65536
Stay Connected

Be Part of a Thriving Land Community!

Get the same expert advice, property strategies, and land management tips that thousands of landowners trust. Subscribe now and stay ahead in the market.