Sold

Turn Key Hunting Farm With Cabin For Sale In North Central MO

Acreage

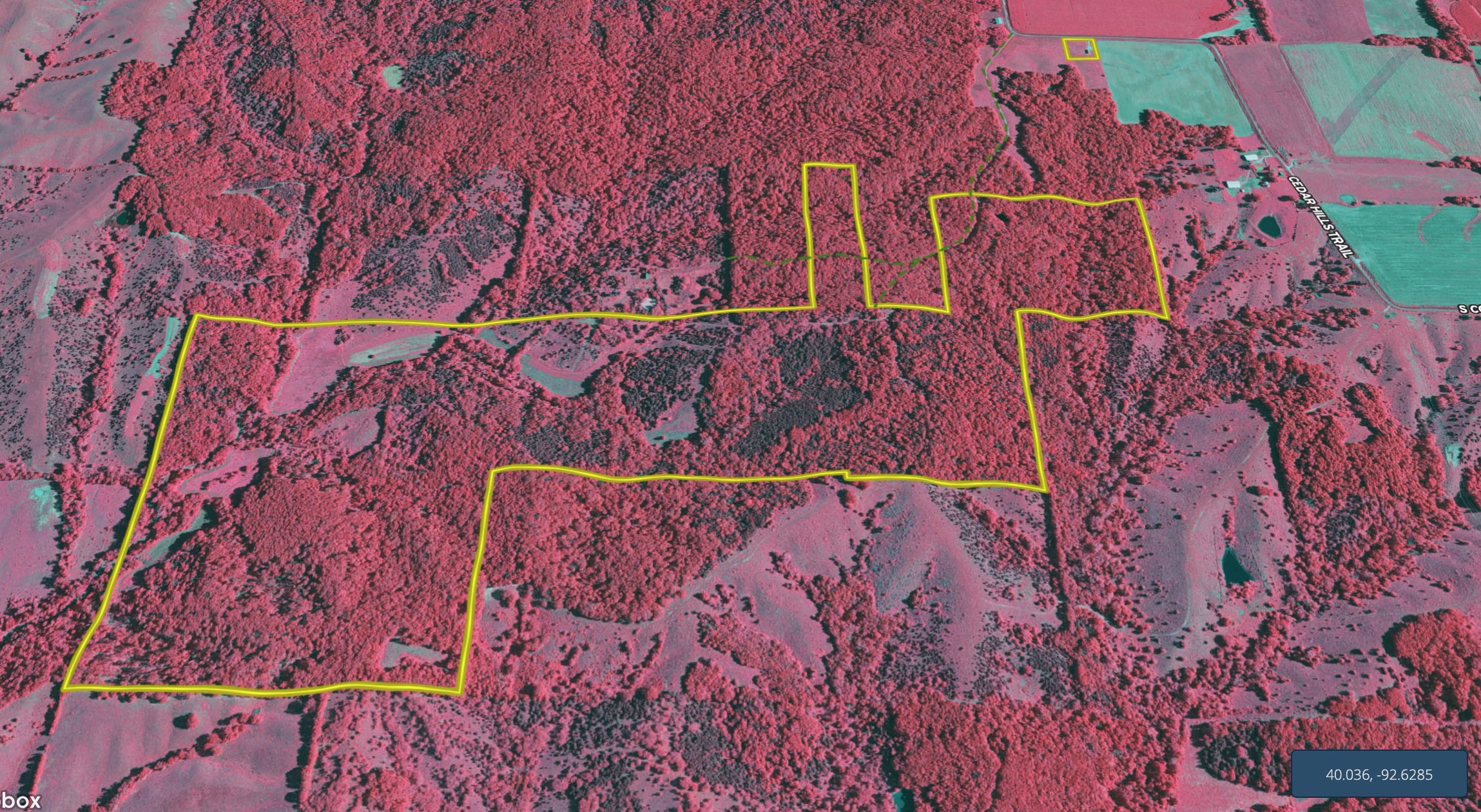
238.83 ±

County

Macon

SOLD

Address Cedar Hills Trail, Lot #WP001 Kirksville, MO 63501

View on Google Maps

Description

An amazing hunting property with acres and acres of timber, food plots, a sweet little hunting cabin, along with a great trail system and access from both the north and south ends of the farm. If you like to hunt deer and turkeys and are looking for a farm that you can manage to grow big bucks, you will love this farm. The neighboring landowner shares your passion and has the sheds to prove that letting bucks mature and grow pays off. The cabin is a portable building with electric and public water strategically located just a short ATV ride from the north end of the property with plenty of room to park your trucks, trailers, equipment and other toys. The cabin’s location allows you to entertain guests and have deer camp without disturbing your hunting property. If you would like to schedule a tour of this amazing hunting property, give Land Specialist Clay Lockard a call.

Details

  • Creek
  • Food plots
  • Elevated stands
  • Cabin
  • Electric and water
  • Gated entrance
  • Internal road system
  • Trail network
  • Multiple access points

Summary

Land Type

Hunting and Recreational, Timberland

Property Type

Recreational Land, Timberland, Hunting Land

Land and Farm Property Types

Land - Hunting, Land - Recreational, Timberland - Natural

Road Frontage

County Road

Road Surface

Gravel

Fencing

Low

Land Details

Timber, Tillable

Improvements/Features

Small Game, Big Game, Predators, Creek/Spring, Food Plot, Tree Stands/Blinds, Trail Network, Internal Road System, Gated Entrance

Other Property Details

Additional Addresses

  • Cedar Hills Trail, Lot #WP001, Kirksville, MO, 63501
  • Cedar Hills Trail, Lot #WP001, Kirksville, MO, 63501
Utilities
  • electric: onsite
  • sewer: onsite
  • water: onsite
Coordinates

40.041, -92.6188

Annual Taxes

$598

Sold Property

For more information or to see additional properties currently for sale see Clay Lockard's listings.

Nearby Related Properties


New
$240,000 40 acres ±
Adair County • Green Castle, MO 63544
Reduced
$633,600 128 acres ±
Putnam County • Green Castle, MO 63544
New
$485,000 81.3 acres ±
Putnam County • Unionville, MO 63565
Fall out
$380,000 15.47 acres ±
Macon County • Bevier, MO 63532
For Sale
$995,000 160 acres ±
Linn County • Browning, MO 64630
For Sale
$199,000 24.56 acres ±
Shelby County • Shelbina, MO 63468
Reduced
$145,900 15 acres ±
Davis County • Bloomfield, IA 52537
For Sale
$682,650 151.7 acres ±
Putnam County • Newtown, MO 64667
Stay Connected

Be Part of a Thriving Land Community!

Get the same expert advice, property strategies, and land management tips that thousands of landowners trust. Subscribe now and stay ahead in the market.