Sold

Quiet Country Cabin Or Home With Acreage In Bliss, NY

Acreage

155 ±

County

Allegany

SOLD

Address 11765 Cadwell Road Bliss, NY 14024

View on Google Maps

Description

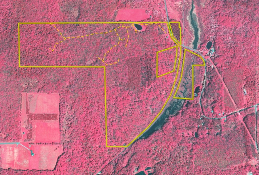
We are pleased to present a quiet country property right on the border of Cattaraugus and Allegany Counties in Bliss, NY. This raised mobile home has a full brick foundation and has a cedar-wrapped wooden siding for a rustic appearance. Currently enjoyed for many years as a hunting and recreational cabin, this home has all the amenities to make it a full-time residence. Well, septic and electricity are all on site with a metal roof for worry and trouble-free living. A large picture window is the center point of the living room, providing a pretty view over the yard. This three-bedroom, one-bath home has plenty of room for deer camp guests or a family looking for a country living experience. With 155 acres out your door, this property presents a deer and turkey hunting opportunity for pursuits outside with well over a mile of ATV trail. A pond is located behind the cabin on the hill as well. As you course through the property, hardwood stands traverse through transition cover for wildlife and are complementary to dark conifer stands of hemlock and some pines for thermal cover and bedding areas. Just a short drive from Buffalo and the south towns, this could be a great retreat property for someone looking for a weekend getaway. Add a wrap-around deck and transform this cabin with extra outdoor living space. Call us today for a tour. ADDITIONAL INFORMATION: GMOs convey, 1,520 ft Road Frontage, Taxes $6,970 (2023), Pond, Deer Hunting, ATV Trails, 3 Bedroom 1 Bathroom Cabin, Electric Heat, Wood Stove, Septic, Well, Metal Roof, Two-Door Garage attached, 5.6 miles to Arcade NY, 18 miles to Springville, NY, 23 miles to East Aurora, NY, Close to Buffalo, NY, Agents must be present for showings. Sold AS IS.

Details

  • GMOs convey
  • 1,520 ft road frontage
  • Pond
  • Deer hunting
  • ATV trails
  • 3 bedroom 1 bathroom cabin
  • Electric heat, wood stove, septic, well, metal roof
  • Two-door garage attached
  • SOLD AS IS
  • Agent must be present for showings
  • MLS #11337917

Summary

Feeds

Lands of America

Roads

Road Frontage

Land Type

Hunting and Recreational, Home on Acreage

Wild Game

Small Game, Big Game, Upland Game

Waterfront

Pond (0-3 acres)

Land Details

Pond

Outbuildings

Garage

Type of Home

Residential, Cabin

Property Type

Recreational Land, Residential Land, Hunting Land

Improvements/Features

Small Game, Big Game, Seller's Mineral Rights Convey, Trail Network

Activities on Property

Hunting, ATV Riding

Land and Farm Property Types

Land - Hunting, Land - Recreational, Land - Residential

Recent Property Improvements

Trail network

Other Property Details

Utilities
  • electric: onsite
  • water: onsite
Coordinates

42.50594, -78.29791

Annual Taxes

$6,970

Sold Property

For more information or to see additional properties currently for sale see Paul Vaicunas's listings.

Nearby Related Properties


Reduced
$69,900 11.26 acres ±
Allegany County • Farmersville Station, NY 14060
Reduced
$39,900 6.6 acres ±
Allegany County • Farmersville Station, NY 14060
Reduced
$139,900 23.5 acres ±
Allegany County • Farmersville Station, NY 14060
For Sale
$949,900 42.7 acres ±
Wyoming County • Gainesville, NY 14066
Reduced
$19,900 1.02 acres ±
Wyoming County • Arcade, NY 14009
For Sale
$179,900 15 acres ±
Allegany County • Fillmore, NY 14735
For Sale
$1,200,000 59.5 acres ±
Livingston County • Hunt, NY 14846
For Sale
$120,000 0.17 acres ±
Cattaraugus County • Franklinville, NY 14737

Be Part of a Thriving Land Community!

Get the same expert advice, property strategies, and land management tips that thousands of landowners trust. Subscribe now and stay ahead in the market.