Sold

Country Home On Acreage

Acreage

27.01 ±

County

Steuben

SOLD

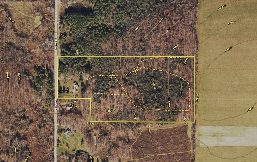
Address 4200 Foster Road Addison, NY 14801

View on Google Maps

Description

Nestled on 27 acres of woodland, this private home boasts approximately 2,080 square feet of living space with a two-bay detached garage. The first floor includes an entry room, an open-concept kitchen and living room, a bathroom and a laundry room. An addition of approximately 20x24 feet has one room finished, and the rest of the space can be used or finished to your liking. Included on the second level, among the four bedrooms, is a full bathroom, a reading room, and a door that takes you to the back deck with approximate dimensions of 8x10 feet. New appliances, a water treatment system, and a propane furnace will convey! A private driveway off an all-season town-maintained gravel road brings you to this peaceful and private home where apple trees, pine trees, and hardwoods encompass the yard. A pond is adjacent to the private backyard, where two sheds are located for additional use. A manicured trail leads you through the wooded acreage that boasts a variety of mature tree species with abundant signs of wildlife. A wooden shed once used as a sugar shack sits privately in the woods near the private spring, which supplies the water to the home. Many renovations and updates have been completed and were started in 2023, but the final touches can be up to the new owner, giving you options for how you want to finish your new home. A private septic is on site, and the owner owns all rights and will convey those rights to the buyer. We look forward to scheduling your private showing of this country home on acreage in Steuben County, New York.

Details

  • 2-bay detached garage
  • New appliances, water treatment system and propane furnace will convey
  • Apple trees, pine trees and hardwoods
  • Private backyard with two sheds
  • Private septic on site
  • All GMO's will convey
  • Private showings only, agent must be present
  • MLS #11331700

Summary

Land Type

Hunting and Recreational, Home on Acreage

Outbuildings

Garage

Activities on Property

Hunting, Family Activities

Type of Home

Country Home

Waterfront

Pond (0-3 acres), Spring

Wild Game

Small Game, Big Game

Road Frontage

Township Road

Road Surface

Gravel

Roads

Road Frontage

Property Type

Recreational Land, Residential Land, Hunting Land

Land and Farm Property Types

Land - Hunting, Land - Recreational, Land - Residential

Land Details

Pond

Improvements/Features

Small Game, Big Game, Creek/Spring, Seller's Mineral Rights Convey

Feeds

Lands of America

Other Property Details

Utilities
  • water: onsite
  • electric: onsite
Coordinates

42.19761, -77.31143

Annual Taxes

$5,000

Sold Property

For more information or to see additional properties currently for sale see Brandon Scott's listings.

Nearby Related Properties


For Sale
$120,000 69 acres ±
Steuben • Canisteo, NY 14823
For Sale
$124,900 39 acres ±
Steuben • Cameron, NY 14819
New
$49,900 0.55 acres ±
Steuben • Woodhull, NY 14898
Reduced
$233,000 0.29 acres ±
Steuben • Bath, NY 14810
New
$84,900 34.4 acres ±
Steuben • Hammondsport, NY 14840
Reduced
$164,900 46.96 acres ±
Steuben • Bradford, NY 14879
For Sale
$479,000 101.37 acres ±
Tioga County • Elkland, PA 16920
For Sale
$249,000 125 acres ±
Tioga County • Osceola, PA 16942
Stay Connected

Be Part of a Thriving Land Community!

Get the same expert advice, property strategies, and land management tips that thousands of landowners trust. Subscribe now and stay ahead in the market.