Sold

Country Lot With Great Deer Hunting In Addison, NY

Acreage

13.97 ±

County

Steuben

SOLD

Address VL Tinkertown Road, Lot#WP001 Addison, NY 14801

View on Google Maps

Description

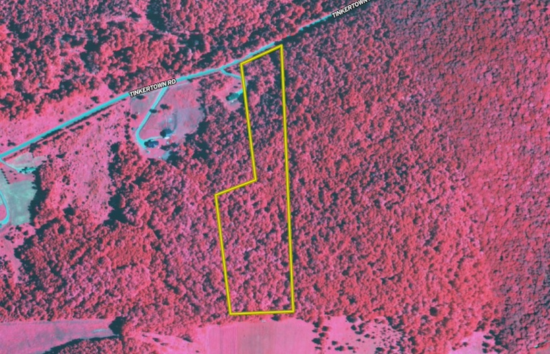
We are pleased to present a wonderful parcel just south of Addison, NY. This is a great parcel of land ideally suited for a small hunting destination or a great building lot for a cabin or home. Just minutes from town, this property is teaming with deer and neighbors to a 105-acre wooded tract that no doubt expands the deer habitat. A gentle topography and a mixed stand of timber of early succession growth, Oak, Maple, Pine, Hemlock and a few Birch trees make up the construction of the forest. You would note how established the deer runs are and how easy the property is to navigate with a nearly level crown bordering a large field to the south. Approximately halfway up the property is a large plateau or bench that is a deer travel corridor for east and west destinations between feeding and bedding and definitely a cruising elevation during the rut. If building a cabin or home is in your plans, there is electric at the road and ample room and places to build your dream. Don't miss this opportunity; contact us today to schedule a tour and experience the beauty of this exceptional land for yourself. Priced well to sell, check this one out! ADDITIONAL INFORMATION: Deer Hunting, Building opportunity, Electric at the road, 100% Timber rights convey, 50% GMOs convey, 295 feet of road frontage, Taxes $579 (2023), 3 miles from Addison, NY, 3.5 miles to I-99, 4 miles to PA line. Buyer agents must be present at all showings. Do not send clients out without accompanying them. Disclaimer: Map illustrations are for reference purposes only and not the representations of the Listing Agent or Listing Brokerage. Illustrations are provided by Land ID. Parties should be advised to confirm Illustrations with licensed professional service providers.

Details

  • 100% Timber rights convey
  • 50% GMOs convey
  • Building opportunity
  • 295 Feet of road frontage
  • Buyer agent must be present on all showings; Do not send clients out without accompanying them
  • MLS #11399609

Summary

Land Type

Hunting and Recreational, Timberland

Activities on Property

Hunting

Wild Game

Small Game, Big Game

Improvements/Features

Small Game, Big Game

Road Surface

Pavement

Roads

Road Frontage

Property Type

Recreational Land, Undeveloped Land, Hunting Land

Land and Farm Property Types

Land - Hunting, Land - Recreational, Land - Undeveloped

Land Details

Timber

Other Property Details

Coordinates

42.06146, -77.21763

Annual Taxes

$579

Sold Property

For more information or to see additional properties currently for sale see Paul Vaicunas's listings.

Nearby Related Properties


For Sale
$479,000 101.37 acres ±
Tioga County • Elkland, PA 16920
For Sale
$250,000 51 acres ±
Tioga County • Lawrenceville, PA 16929
For Sale
$249,000 125 acres ±
Tioga County • Osceola, PA 16942
New
$49,900 0.55 acres ±
Steuben • Woodhull, NY 14898
For Sale
$399,900 128 acres ±
Steuben • Corning, NY 14830
For Sale
$560,000 179 acres ±
Chemung County • Pine City, NY 14871
For Sale
$229,900 32.07 acres ±
Chemung County • Pine City, NY 14871
For Sale
$120,000 69 acres ±
Steuben • Canisteo, NY 14823
Stay Connected

Be Part of a Thriving Land Community!

Get the same expert advice, property strategies, and land management tips that thousands of landowners trust. Subscribe now and stay ahead in the market.