Sold

Excellent Hunting Property With Plots And Trails

Acreage

69.29 ±

County

Steuben

SOLD

Address 7030 Pfitzenmaier Rd Hornell, NY 14843

View on Google Maps

Description

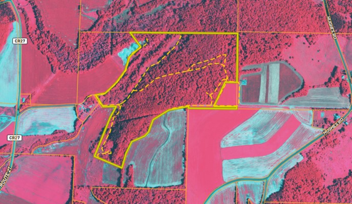
We are pleased to present a Steuben County hunting property with trails, plots, timber and topography. Deer and turkey hunters will enjoy the variety of habitat and over two miles of ATV trails providing access throughout the property. This property is accessed with ta deeded right of way named Pfitzenmaier road. The road leads to the base of a gently sloped west side that greets you with a long food plot running parallel to the hillside. Apple trees and hidden corners make this a perfect opportunity and location to attract deer and turkey. Mixed conifers and hardwoods make up the construction of the woods providing a variety of mast food and bedding cover. A small creek meanders through the bottom of the parcel, giving a water source and early succession cover to all wildlife here. There is a reported $40,000+/- of timber value on the property, and was observed as already identified and marked. The crown of the hill is planted in ag fields, which enhances the hunting opportunity and attractiveness to deer. The Lower fields are also planted in ag fields giving food choices for wild game. The far corner of the lower field would be a great pace for a hunting cabin or place to park a trailer for deer season and not disturb he property. Check this one out. Priced well to sell in a prime area of Steuben county. ADDITIONAL INFORMATION: Timber rights convey, Timber value @ $40,000+/-, Deer hunting, Turkey Hunting, ATV trails, Pond, Food plots, Cabin locations, Electric at the road. Taxes $2508 (2023), 1.29 miles to Howard, NY, 8.4 miles to Bath , NY, 7.1 miles to Hornell, NY, 6.4 miles to Canisteo, NY, Sold AS IS.

Details

  • Timber rights convey, Timber value @ $40,000+/-
  • Deer hunting, Turkey Hunting, ATV trails, Pond, Food plots, Cabin locations, Electric at the road
  • MLS #11277554

Summary

Land Type

Hunting and Recreational, Timberland

Road Surface

Dirt

Improvements/Features

Small Game, Big Game, Upland Game, Creek/Spring, Food Plot, Trail Network

Activities on Property

Hunting, ATV Riding, Camping

Roads

Road Access

Wild Game

Upland Game, Small Game, Big Game

Recent Property Improvements

Food plot, Trail network

Land and Farm Property Types

Land - Hunting, Land - Recreational, Timberland - Natural

Land Details

Timber

Property Type

Recreational Land, Timberland, Undeveloped Land, Hunting Land

Waterfront

Creek

Other Property Details

Coordinates

42.34259, -77.51069

Annual Taxes

$2,508

Sold Property

For more information or to see additional properties currently for sale see Paul Vaicunas's listings.

Nearby Related Properties


For Sale
$34,900 4.8 acres ±
Steuben • Hornell, NY 14843
For Sale
$2,250,000 225 acres ±
Steuben • Hornell, NY 14843
For Sale
$124,900 39 acres ±
Steuben • Cameron, NY 14819
For Sale
$120,000 69 acres ±
Steuben • Canisteo, NY 14823
Reduced
$233,000 0.29 acres ±
Steuben • Bath, NY 14810
New
$39,900 5.7 acres ±
Allegany County • Arkport, NY 14807
For Sale
$29,900 1.79 acres ±
Steuben • Cohocton, NY 14826
New
$84,900 34.4 acres ±
Steuben • Hammondsport, NY 14840
Stay Connected

Be Part of a Thriving Land Community!

Get the same expert advice, property strategies, and land management tips that thousands of landowners trust. Subscribe now and stay ahead in the market.