Sold

Hilltop Parcel With Hardwoods And Hunting In Prattsburg, NY

Acreage

15.59 ±

County

Steuben

SOLD

Address VL Mattoon Rd, Lot#WP001 Prattsburgh, NY 14873

View on Google Maps

Description

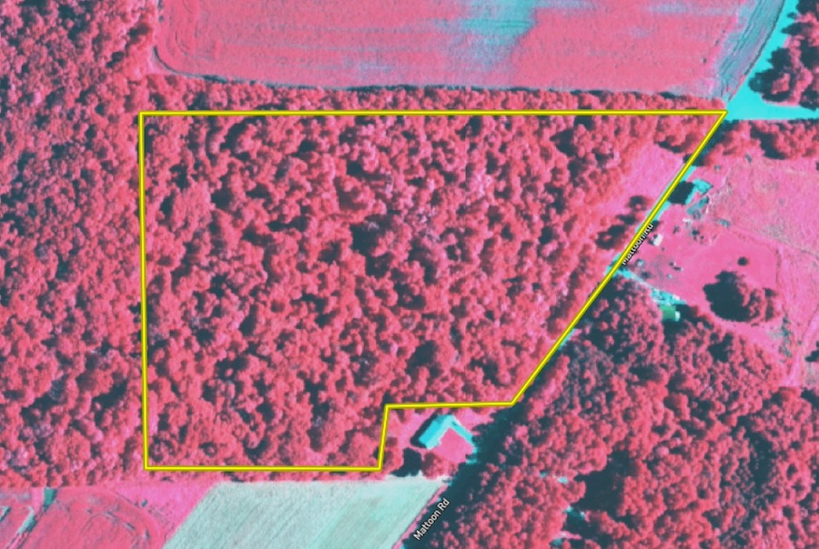
We are pleased to present this hilltop country location in Prattsburg, NY. This is a beautiful hilltop property just 1.97 miles south of Prattsburg, NY, on Mattoon Road. Bordered by two large ag fields on the north and south property line, this stand of hardwoods is a pretty stand of timber, gentle in topography and easily navigated. The entrance to the property on the northeast corner is approximately a half acre of grass meadow and is a perfect place for a dream home, a cabin or a camping trailer for deer season. Upon approach, the entrance is easily identified. It continues through the property as an ATV trail providing access to the interior of the hardwoods for convenient hunting and strategic stand locations. The western border of the property is the edge of a valley that spans hundreds of acres and is an additional haven for deer and turkey. The property itself is a natural funnel for deer movement east and west from the valley. If you are looking for a hunting, recreational or a building location with a Sherwood-type forest at your back door, this one is it. Priced well to sell, call us today! ADDITIONAL INFORMATION: 757' Road Frontage, Hardwoods, Grass Meadow for Building Location or a Food Plot, Trails, Deer Hunting, Turkey Hunting, Close to Town, GMOs convey, Taxes $706 (2024), 1.97 miles to Prattsburg, NY, 5.6 miles to Wheeler, NY, 12 miles to Naples NY, Sold AS IS. Disclaimer: Map illustrations are for reference purposes only and not the representations of the Listing Agent or brokerage Whitetail Properties Real Estate LLC. Illustrations are provided by Land ID. Parties should be advised to confirm Illustrations with licensed professional service providers.

Details

  • 757' road frontage
  • Hardwoods
  • Grass meadow for building location or a food plot
  • Trails
  • Deer hunting, turkey hunting
  • GMOs convey
  • SOLD AS IS
  • MLS #11358523

Summary

Land Type

Hunting and Recreational

Improvements/Features

Small Game, Big Game, Upland Game, Seller's Mineral Rights Convey

Activities on Property

Hunting, Hiking, ATV Riding, Camping

Wild Game

Small Game, Big Game, Other Game

Road Surface

Pavement

Roads

Road Frontage

Property Type

Recreational Land, Undeveloped Land, Hunting Land

Land and Farm Property Types

Land - Hunting, Land - Recreational, Land - Undeveloped

Land Details

Timber

Other Property Details

Coordinates

42.50657, -77.32526

Annual Taxes

$706

Sold Property

For more information or to see additional properties currently for sale see Paul Vaicunas's listings.

Nearby Related Properties


For Sale
$29,900 1.79 acres ±
Steuben • Cohocton, NY 14826
New
$84,900 34.4 acres ±
Steuben • Hammondsport, NY 14840
Reduced
$233,000 0.29 acres ±
Steuben • Bath, NY 14810
New
$219,900 46.7 acres ±
Yates County • Middlesex, NY 14507
Reduced
$164,900 46.96 acres ±
Steuben • Bradford, NY 14879
For Sale
$269,900 20.3 acres ±
Yates County • Penn Yan, NY 14527
For Sale
$99,900 29.8 acres ±
Steuben • Wayland, NY 14572
For Sale
$34,900 4.8 acres ±
Steuben • Hornell, NY 14843
Stay Connected

Be Part of a Thriving Land Community!

Get the same expert advice, property strategies, and land management tips that thousands of landowners trust. Subscribe now and stay ahead in the market.