Sold

Scenic Property With Buildable Opportunity And Deer Hunting In Wayland

Acreage

186.4 ±

County

Steuben

SOLD

Address VL Miller Rd, Lot#WP001 Wayland, NY 14572

View on Google Maps

Description

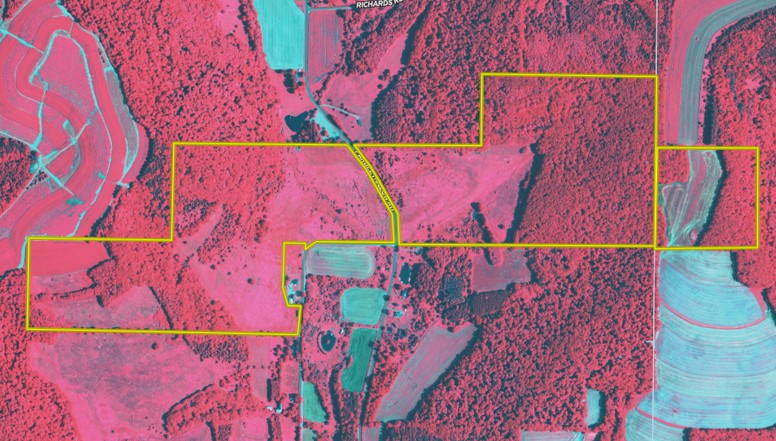
We are pleased to present a beautiful Livingston County property split by two roads, however offering multiple road frontages. Rolling in gentle topography, and picturesque in several locations, this property is an eye pleaser and imagination teaser. A complement of open fallow fields, tillable acres, and mixed hardwoods, provides a variety of uses that can be discovered here. Farming, pasturing, hunting, dream homes and recreational use are all doable here and can largely be enjoyed in combination. The west parcel on Miller Road has a sloping road front leading to woods and 5 +/- tillable acres on top. There are several fallow fields that can be repurposed into food plots bordering the timber or ag fields creating a transition of habitat. The east side on Pardee Hollow Road, has the picturesque entry and presentation of where a dream home or country living cabin could be built. The field is mostly grass and not invaded by woody brush, and is back dropped with a hardwood stand with a significant trail system providing access throughout the east side. A 7.75 +/- acre tillable field is also on the top elevation, where the property continues into Ontario Co. Noted for large deer populations and historically proven to produce mature bucks, the owner had enjoyed many seasons of successful harvests of Big Bucks as evidenced by the pictures. ADDITIONAL INFORMATION: GMO’s Convey, no gas wells on the property, Dual road frontage 2056’ Pardee Hollow Road & 1085’ Miller Road, Cleared for homes or cabins, Beautiful views on each side of the parcels, Mature trees, Deer Hunting excellent, History of mature bucks, Electric on site, Multiple entrance choices, Small tillable income on west side 10 acres of $500/year through 2027. 4.1 miles to Wayland, NY, 4.5 miles to Naples, 5.7 miles to Cohocton, 4.2 miles to I-390, 8.7 miles to Canandaigua Lake Sold AS IS.

Details

  • GMO's Convey, no gas wells on the property
  • Dual road frontage 2056' Pardee Hollow Road & 1085' Miller Road
  • Cleared for homes or cabins, beautiful views on each side of the parcels, mature trees
  • Deer hunting excellent, history of mature bucks
  • Electric on site
  • Small tillable income on west side 10 acres of $500/year through 2027
  • Sold AS IS
  • MLS #11290486

Summary

Land Type

Hunting and Recreational

Activities on Property

Hunting

Wild Game

Small Game, Big Game

Road Surface

Dirt

Roads

Road Frontage

Property Type

Recreational Land, Residential Land, Undeveloped Land, Hunting Land

Land and Farm Property Types

Land - Hunting, Land - Recreational, Land - Undeveloped

Land Details

Tillable

Improvements/Features

Small Game, Big Game

Other Property Details

Coordinates

42.58967, -77.4957

Annual Taxes

$10,187

Sold Property

For more information or to see additional properties currently for sale see Paul Vaicunas's listings.

Nearby Related Properties


For Sale
$276,900 53.5 acres ±
Steuben • Cohocton, NY 14826
For Sale
$619,900 47.2 acres ±
Livingston County • Dansville, NY 14437
For Sale
$124,900 0.2 acres ±
Steuben • Arkport, NY 14807
For Sale
$279,900 61.4 acres ±
Livingston County • Mount Morris, NY 14510
New
$269,900 20.3 acres ±
Yates County • Jerusalem, NY 14527
New
$198,900 82 acres ±
Steuben • Canisteo, NY 14823
New
$129,900 54 acres ±
Steuben • Canisteo, NY 14823
New
$199,900 2.4 acres ±
Steuben • Canisteo, NY 14823
Stay Connected

Be Part of a Thriving Land Community!

Get the same expert advice, property strategies, and land management tips that thousands of landowners trust. Subscribe now and stay ahead in the market.