Sold

Beautiful Farm, Rolling Fields With Greek Revival Home In Le Roy

Acreage

103.8 ±

County

Wyoming

SOLD

Address 10209 South Street Road Le Roy, NY 14482

View on Google Maps

Description

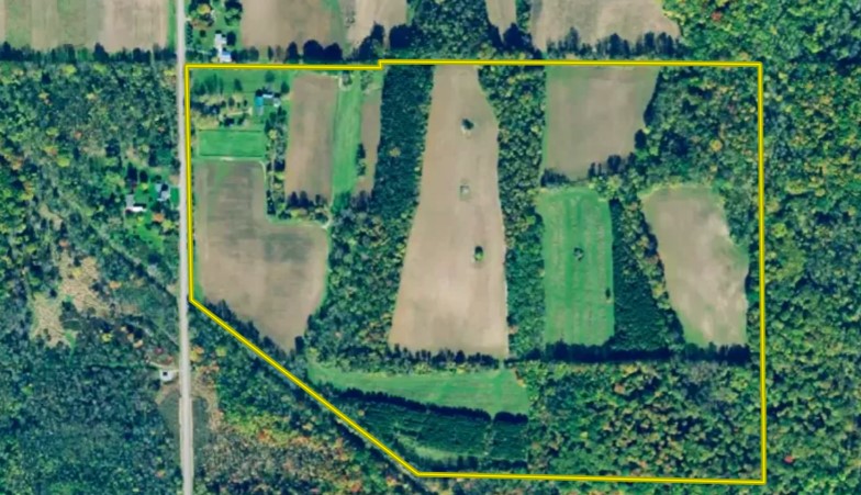
We are pleased to present a beautiful farm with rolling fields of corn, soybeans, pasture and woods. Once an operational horse farm, the farm fields are currently being rented and maintained by a local farmer. Upon approach, you are greeted by a wonderful Greek Revival home, a long sweeping driveway that leads to the horse and hay barn. On the right hand side of the drive is a wooden fenced paddock with sunset views to the south. The yard is large and tidy and is the perfect complement to the 2012 sqft home. This home has a lovely interior layout needing some polish and TLC to bring it back to its full potential of a time not long ago. As a fixer-upper, it is worthy to note there is a modern electric panel, water heater and furnace in the basement for servicing the house. Municipal water and natural gas supply the house,e and a septic system complete the services. The barn has ample space for horses, cattle and hay, and the eight fields are more than enough in combination to continue to operate as a thriving and picturesque farm. There are no wetlands on the tillable acres or gas wells anywhere on the property, The subsurface rights convey, and a trail network navigates the farm well to all corners of each field and wood lot. Sold AS IS, this scenic property is waiting for a new owner to love it once again and is priced well to sell.

Details

  • Greek revival home (Needs TLC)
  • Barn
  • Pasture
  • Tillable acres
  • 8 fields
  • Fencing
  • Horse farm
  • Deer hunting
  • Trail network
  • Electric
  • Municipal water
  • Natural gas
  • Septic
  • 1,070 ft road frontage
  • Close to LeRoy
  • Close to Pavilion
  • Close to Batavia, NY Taxes $9720 (2022)
  • Sold AS IS

Summary

Land Type

Hunting and Recreational, Timberland

Property Type

Recreational Land, Timberland, Hunting Land

Land and Farm Property Types

Land - Hunting, Land - Recreational, Timberland - Natural

Road Frontage

Township Road

Road Surface

Blacktop/Asphalt

Fencing

Low

Land Details

Pasture, Timber, Tillable, Grass, Hay

Improvements/Features

Small Game, Big Game, Upland Game, Predators, Livestock Facilities, Equine Facilities, Food Plot, Internal Road System, Seller's Mineral Rights Convey

Feeds

Zillow

Other Property Details

Utilities
  • electric: onsite
  • gas: onsite
  • sewer: onsite
  • internet: onsite
  • telephone: onsite
  • water: onsite
Coordinates

42.9196, -77.9801

Annual Taxes

$9,720

Sold Property

For more information or to see additional properties currently for sale see Paul Vaicunas's listings.

Nearby Related Properties


For Sale
$1,199,900 152.2 acres ±
Monroe County • Scottsville, NY 14546
For Sale
$1,599,900 172.2 acres ±
Monroe County • Scottsville, NY 14546
For Sale
$37,500 5.18 acres ±
Wyoming County • Warsaw, NY 14569
For Sale
$29,900 5 acres ±
Orleans County • Holley, NY 14470
For Sale
$349,900 86 acres ±
Orleans County • Holley, NY 14470
For Sale
$1,200,000 59.5 acres ±
Livingston County • Hunt, NY 14846
New
$298,000 2.1 acres ±
Allegany County • Fillmore, NY 14735
For Sale
$99,900 29.8 acres ±
Steuben • Wayland, NY 14572
Stay Connected

Be Part of a Thriving Land Community!

Get the same expert advice, property strategies, and land management tips that thousands of landowners trust. Subscribe now and stay ahead in the market.