Sold

Great Starter Farm Or Country Place To Build

Acreage

40 ±

County

Okfuskee

SOLD

Address E1080 Road Paden, OK 74860

View on Google Maps

Description

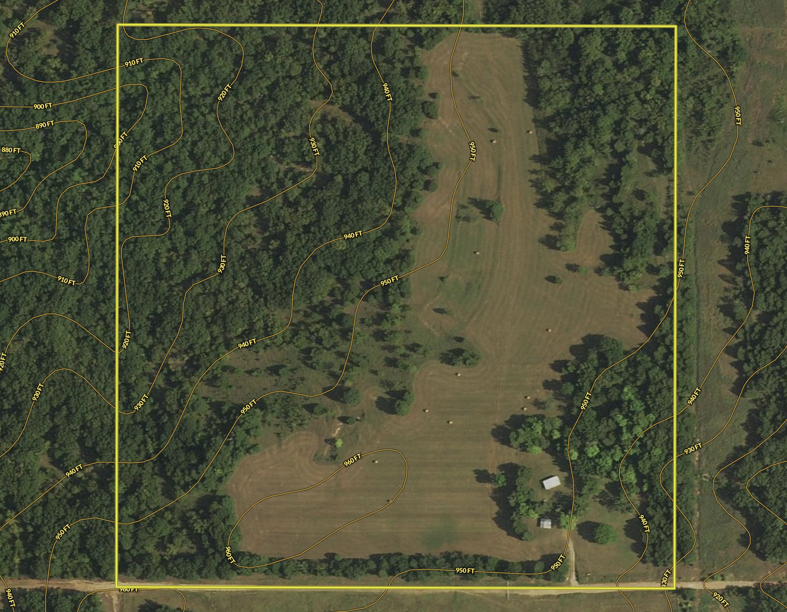
Looking for a great starter farm or simply a place to build out in the country? This great property offers everything you could possibly need in a smaller package. Driving in the entry you are immediately welcomed by a barn and a 600+ square foot metal building that already has electric, water, and gas hooked up. Simply finish out to your preference or build your new dream home in the country. Going deeper into the property you will see a great mix of an open field with thick native grasses, and quality timber providing plenty of cover and habitat for the local deer and turkey that call this area home. Need a water source, build a new pond and you could even try to take advantage of some of the waterfowl hunting available in the area. Smaller acreage tracts like this don’t come along often, but they are always in high demand. If you are looking to get started, call Sean O’Grady and schedule your private showing today!

Details

  • Great smaller acreage property offering incredible hunting opportunities and build sites with electric and well already on-site
  • Unfinished metal building could easily be finished out for a great hunting cabin, electric, water and propane already in place
  • Great mix of timber and open pasture with thick native grasses
  • Only ½ mile to the North Canadian River and large neighbors to the west
  • Located at the end of a gravel county road, and only 3 miles to Highway 62
  • Surface only

Summary

Land Type

Hunting and Recreational, Timberland

Property Type

Recreational Land, Timberland, Hunting Land

Land and Farm Property Types

Land - Hunting, Land - Recreational, Timberland - Natural

Road Frontage

County Road

Road Surface

Gravel

Fencing

Partial

Outbuildings

Metal, Barn

Land Details

Pasture, Timber, Grass, Hay

Improvements/Features

Small Game, Big Game, Predators, Tree Stands/Blinds, Surface Only

Feeds

Trulia, Zillow

Other Property Details

Utilities
  • electric: onsite
  • propane: onsite
  • water: onsite
Coordinates

35.4516, -96.5186

Annual Taxes

$0

Sold Property

For more information or to see additional properties currently for sale see Sean O'Grady's listings.

Nearby Related Properties


Reduced
$579,900 6.86 acres ±
Pottawatomie County • Earlsboro, OK 74840
For Sale
$339,000 55 acres ±
Okmulgee County • Okmulgee, OK 74447
For Sale
$150,000 40 acres ±
Hughes County • Dustin, OK 74839
For Sale
$350,000 70 acres ±
Lincoln County • Stroud, OK 74079
Reduced
$285,000 47.8 acres ±
Creek County • Shamrock, OK 74068
For Sale
$1,266,600 63.33 acres ±
Okmulgee County • Beggs, OK 74421
For Sale
$199,000 35 acres ±
Lincoln County • Tryon, OK 74875
Reduced
$300,000 79.38 acres ±
Creek County • Drumright, OK 74030
Stay Connected

Be Part of a Thriving Land Community!

Get the same expert advice, property strategies, and land management tips that thousands of landowners trust. Subscribe now and stay ahead in the market.