Sold

Excellent Deer Habitat With Building Potential in Crawford Co

Acreage

40 ±

County

Crawford

SOLD

Address 00 Grove Road, LOT#WP001 Guys Mills, PA 16327

View on Google Maps

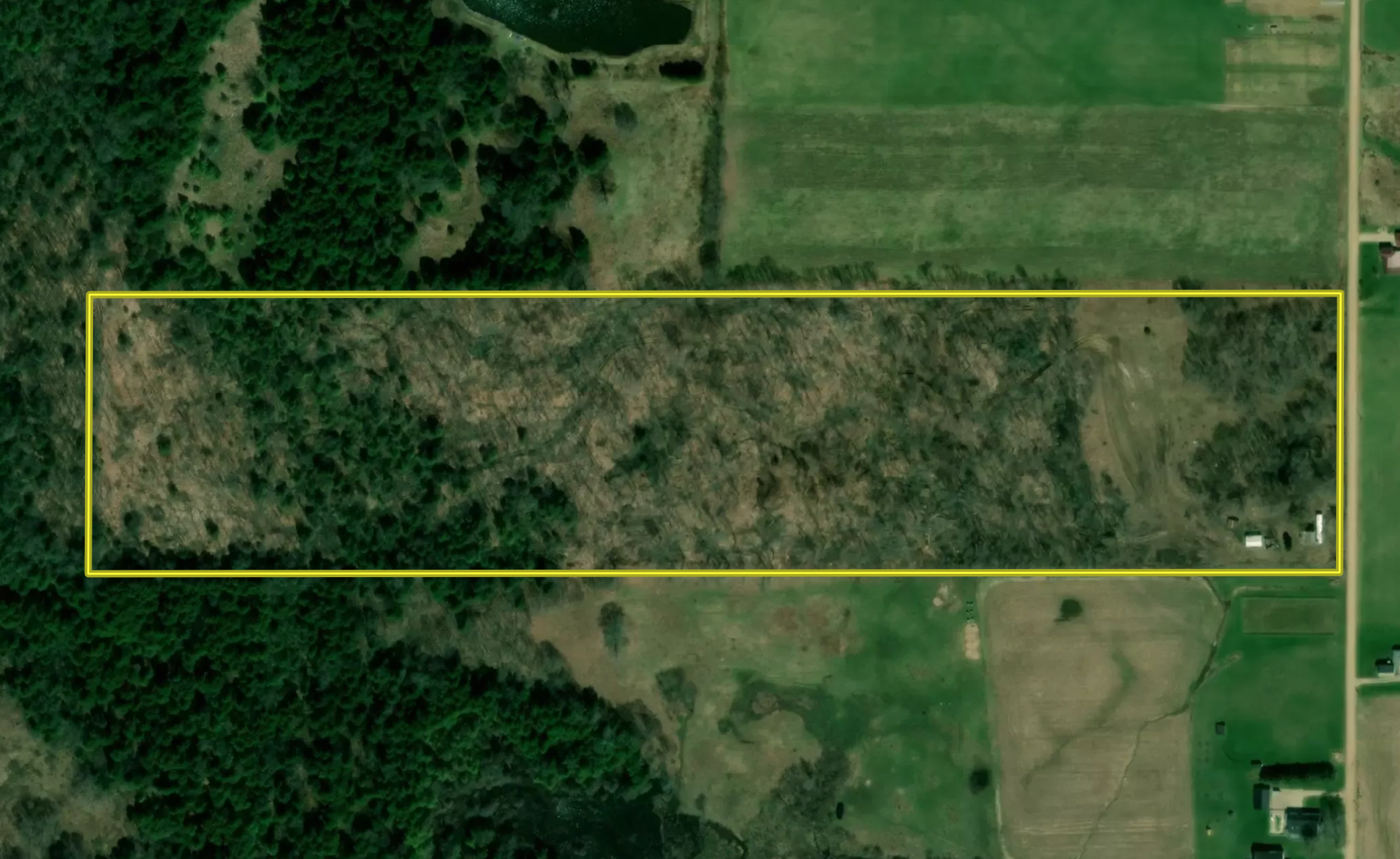
Description

This property features excellent wildlife habitat, secluded food plot locations and potential building sites. The property is conveniently located just off Route 27 between Meadville and Titusville, PA. The woods consist of regenerating hardwoods, thick brush and a nice Hemlock flat in the rear. The thick Hemlock area provides great thermal cover and browse for the deer. The terrain is mostly rolling hills and easy to navigate with a series of small ridges. There is also a nice little stream towards the back that weaves across the property as well as a nice logging trail that provides access to the depth of the property. Neighboring crop fields and pastures also provide local food sources for the wildlife. The woods were loaded with deer trails and buck sign. Just a short distance to the North you will find State Game Lands 69 which offers additional recreational opportunities.  The sellers oil, gas and mineral rights do convey to the buyer. There are several old sheds, an abandoned home and a dilapidated mobile home on the property. Well and septic are buyers responsibility. If you are looking for a small hunting property to call your own, this could be it. Please reach out to the listing agent for your personal tour! 

Details

  • Great wildlife populations including deer, bear and turkey
  • Excellent deer habitat
  • Loaded with deer trails and buck sign
  • Nice rolling terrain
  • Thick Hemlocks providing thermal cover
  • Potential secluded food plot location
  • Several dilapidated buildings including a mobile home
  • Well & septic are buyer responsibility
  • Minutes from Mount Hope Golf Course
  • Approx. 5 minutes to Sugar Lake
  • Short distance to Erie National Wildlife Refuge
  • Close proximity to State Game Lands 69 & 96
  • Approx. 20 minutes from Titusville, PA
  • Approx. 20 minutes from Meadville, PA
  • Approx. 1 hour from Erie, PA
  • Approx. 1 hour 45 minutes from Pittsburgh, PA
  • Approx. 2 hours from Cleveland, OH

Summary

Features

Wild Game, Whitetail, Turkey, Upland Game, Improvements, Investment, Bear, Minerals, Big Game, Small Game, Dove, Grouse, Other Game, Roads, Road Frontage, County Road, Road Access, Dirt, Tillable / Production Acres, Pine Trees, Hardwood Trees, Softwood Trees, Recreational Improvements, Trail Network, Utilities, Electric, Area Features, Public Hunting, Public Fishing, Public Access Area, Camping/Campground, Airport, Activities on Property, Hunting, Hiking, ATV Riding, Horseback Riding, Camping, Family Activities, Biking, Snowmobiling, Seller's Mineral Rights Convey

Land Type

Hunting and Recreational, Timberland

Road Surface

Dirt

Property Type

Recreational Land, Timberland, Hunting Land

Road Frontage

County Road

Improvements/Features

Big Game, Upland Game, Small Game, Trail Network, Seller's Mineral Rights Convey

Land and Farm Property Types

Land - Hunting, Land - Residential, Timberland - Natural

Other Property Details

Coordinates

41.6042, -79.9005

Annual Taxes

$701

Sold Property

For more information or to see additional properties currently for sale see Josh Ongley's listings.

Nearby Related Properties


Reduced
$250,000 4.13 acres ±
Crawford County • Centerville, PA 16404
For Sale
$34,900 5.8 acres ±
Crawford County • Saegertown, PA 16433
For Sale
$899,000 108.04 acres ±
Crawford County • Titusville, PA 16354
New
$275,000 13 acres ±
Crawford County • Spartansburg, PA 16434
New
$130,000 28 acres ±
Venango County • Pleasantville, PA 16341
Reduced
$55,000 15.28 acres ±
Crawford County • Meadville, PA 16335
New
$239,800 64.6 acres ±
Warren County • Spartansburg, PA 16434
Reduced
$1,250,000 52.92 acres ±
Warren County • Grand Valley, PA 16420

Be Part of a Thriving Land Community!

Get the same expert advice, property strategies, and land management tips that thousands of landowners trust. Subscribe now and stay ahead in the market.