Sold

Small Lot In A Private Recreational Community In NC PA

Acreage

0.1 ±

County

Tioga

SOLD

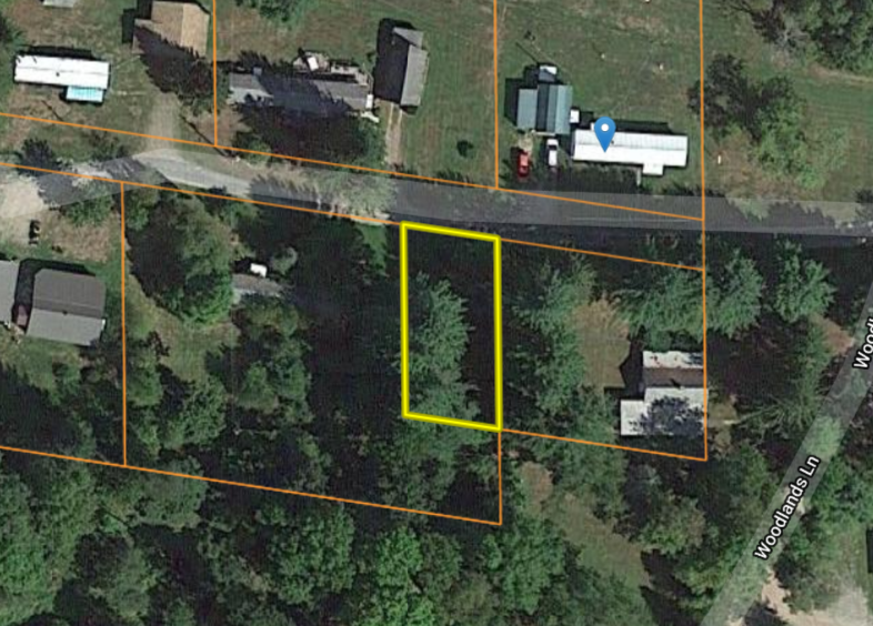
Address Woodlands Lane, Lot#WP001 Galeton, PA 16922

View on Google Maps

Description

Conveniently located just off route 6 in a private recreational community is the perfect lot for your camper or small cabin to enjoy the Pine Creek area.  Fish or kayak in one the most picturesque streams in north-central PA while having access to thousands of acres of public land just minutes away. Dining and convenience shopping are walking distance away. Call me today to set up your private showing.        

Details

  • Located on Woodland Lane, a private recreational community
  • Easy access to route 6
  • Electric on lot
  • Pine Creek within walking distance
  • Minutes from 1000’s of acres of state land
  • Local shopping and dining
  • Level lot

Summary

Features

Roads, Road Access, Pavement, Gravel, Utilities, Electric, Area Features, Public Hunting, Boat Ramp, Public Fishing, Public Access Area, Camping/Campground, Activities on Property, Hunting, Fishing, Hiking, Boating, ATV Riding, Camping, Family Activities, Biking, Snowmobiling, Roads, Road Access, Pavement, Gravel, Utilities, Electric, Area Features, Public Hunting, Boat Ramp, Public Fishing, Public Access Area, Camping/Campground, Activities on Property, Hunting, Fishing, Hiking, Boating, ATV Riding, Camping, Family Activities, Biking, Snowmobiling

Land Type

Hunting and Recreational

Road Surface

Pavement, Gravel

Property Type

Recreational Land

Land and Farm Property Types

Land - Recreational

Other Property Details

Coordinates

41.7497, -77.4974

Annual Taxes

$30

Sold Property

For more information or to see additional properties currently for sale see Craig Baronio's listings.

Nearby Related Properties


For Sale
$389,900 67 acres ±
Tioga County • Westfield, PA 16950
For Sale
$899,000 80 acres ±
Tioga County • Wellsboro, PA 16901
For Sale
$1,300,000 505 acres ±
Tioga County • Westfield, PA 16950
Reduced
$598,000 238.7 acres ±
Tioga County • Middlebury Center, PA 16935
For Sale
$250,000 51 acres ±
Tioga County • Lawrenceville, PA 16929
For Sale
$99,000 10.14 acres ±
Tioga County • Covington, PA 16917
Reduced
$19,900 3.03 acres ±
Steuben County • Lindley, NY 14858
For Sale
$79,900 38.6 acres ±
Allegany County • Wellsville, NY 14895

Be Part of a Thriving Land Community!

Get the same expert advice, property strategies, and land management tips that thousands of landowners trust. Subscribe now and stay ahead in the market.