Sold

Beautiful Property With Plenty Of Hunting Potential Near Cumberland

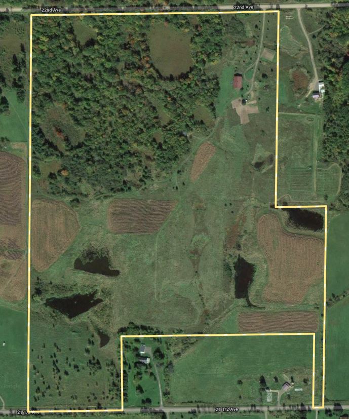
Acreage

97 ±

County

Barron

SOLD

Address 533 22nd Ave Cumberland, WI 54829

View on Google Maps

Description

This beautiful property is ready for your next hunting adventure.  Not only does it hold a great deer population but the waterfowl that enjoy the ponds is outstanding.  Several hundred pheasants have been released on the property.  The large shed has electricity and would make a great hunting lodge on one end, cold storage on the other.  There’s an existing cabin on the property that sleeps quite a few with kitchen area and living area for this upcoming season. The forest floor is thick with plants and shrubs which provide excellent cover and bedding for wildlife. In addition to that, the forbs in the timber are an excellent food source in the spring and summer months. If you are interested in taking a look at this property, don’t wait! Give me a call to schedule your private showing! 

Details

  • Trail system throughout
  • Snowmobile trail runs through the property
  • Enrolled in the WRP with several ponds
  • Large pole she with electricity
  • On the outside edge of Cumberland, 90 +/- miles East of the Twin Cities and 2 +/- hours South of Duluth
  • $2238.02 taxes

Summary

Features

Tillable, Wild Game, Whitetail, Waterfowl, Turkey, Upland Game, Waterfront, Pond (0-3 acres), Improvements, Metal Buildings, Blinds, Investment, Wetland Reserve Programs (WRP), Bear, Cabin, Big Game, Small Game, Pheasant, Other Game, Duck, Geese, Roads, Road Frontage, County Road, Road Access, Gravel, Tillable / Production Acres, Pine Trees, Hardwood Trees, Softwood Trees, Corn, Housing, Hunting Improvements, Tree Stands, Recreational Improvements, Trail Network, Building Improvements, Government Programs, Utilities, Electric, Propane, Area Features, Public Hunting, Boat Ramp, Public Fishing, Public Access Area, RV Park, Camping/Campground, Golf Course, Airport, Activities on Property, Hunting, Hiking, ATV Riding, Horseback Riding, Camping, Family Activities, Biking, Snowmobiling, Tillable, Wild Game, Whitetail, Waterfowl, Turkey, Upland Game, Waterfront, Pond (0-3 acres), Improvements, Metal Buildings, Blinds, Investment, Wetland Reserve Programs (WRP), Bear, Cabin, Big Game, Small Game, Pheasant, Other Game, Duck, Geese, Roads, Road Frontage, County Road, Road Access, Gravel, Tillable / Production Acres, Pine Trees, Hardwood Trees, Softwood Trees, Corn, Housing, Hunting Improvements, Tree Stands, Recreational Improvements, Trail Network, Building Improvements, Government Programs, Utilities, Electric, Propane, Area Features, Public Hunting, Boat Ramp, Public Fishing, Public Access Area, RV Park, Camping/Campground, Golf Course, Airport, Activities on Property, Hunting, Hiking, ATV Riding, Horseback Riding, Camping, Family Activities, Biking, Snowmobiling

Road Frontage

County Road

Road Surface

Gravel

Land Details

Tillable, Pond, Enrolled in Government Program

Improvements/Features

Big Game, Waterfowl, Upland Game, Tree Stands/Blinds, Small Game, Trail Network

Land Type

Hunting and Recreational, Timberland, Waterfowl

Land and Farm Property Types

Land - Hunting, Land - Recreational, Timberland - Natural

Property Type

Recreational Land, Timberland, Hunting Land

Other Property Details

Utilities
  • electric: onsite
  • propane: onsite
Coordinates

45.52, -92.0366

Annual Taxes

$2,238

Sold Property

For more information or to see additional properties currently for sale see Chris Polfus's listings.

Nearby Related Properties


New
$221,292 20.49 acres ±
Polk County • Luck, WI 54853
For Sale
$70,000 6.1 acres ±
Barron County • Chetek, WI 54728
For Sale
$400,000 39.88 acres ±
Burnett County • Webster, WI 54893
New
$90,000 10 acres ±
Washburn County • Trego, WI 54888
For Sale
$395,000 39.15 acres ±
Burnett County • Danbury, WI 54830
Reduced
$995,000 960 acres ±
Sawyer County • Exeland, WI 54835
For Sale
$1,200,000 139.3 acres ±
Pine County • Hinckley, MN 55037
New
$219,000 16.25 acres ±
Rusk County • Ladysmith, WI 54848
Stay Connected

Be Part of a Thriving Land Community!

Get the same expert advice, property strategies, and land management tips that thousands of landowners trust. Subscribe now and stay ahead in the market.