Sold

Small Rustic Cabin On Wooded Hunting Land

Acreage

80 ±

County

Burnett

SOLD

Address 5805 County Road B Siren, WI 54872

View on Google Maps

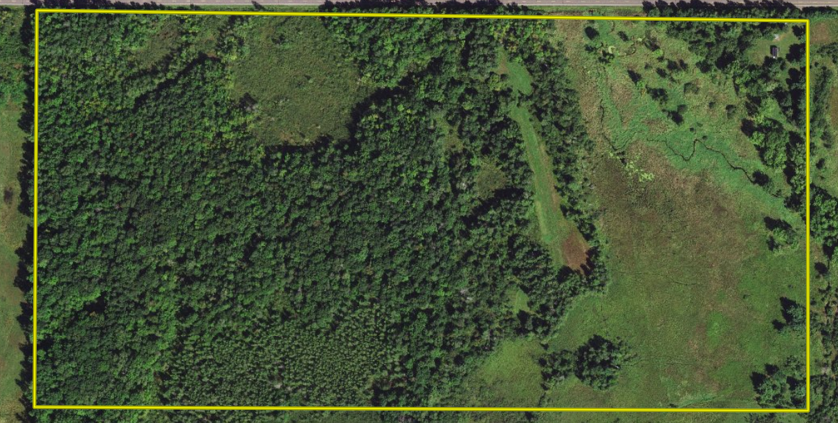
Description

This property is a great spot in the Northwoods. Not too far from town and less than 2 hours from the Twin Cities. This is a beautiful property with a small cabin and outbuildings and the yard is large enough to have some weekend campers. There’s a small creek that runs through the property. There are several established stands that have harvested some nice whitetails. There are some big oaks and mature forests on the western side of the property. Two food plots are in place to enhance the nutrition of the resident wildlife. The rustic cabin is cozy with a couple of bedrooms, an open kitchen and a living room area. There’s a small garden shed and outhouse. You can also get on the ATV trail right out of the driveway to enjoy the countryside. This is a great property that you won’t want to miss. Call today and schedule your private tour.

Details

  • Small rustic cabin
  • Gated driveway
  • Oak, pine and birch trees
  • Small creek
  • Trail system and food plots
  • 8 +/- minutes to Siren
  • 1.75 +/- hours to St. Paul

Summary

Features

Big Game, Small Game, Wetlands, Recreational Improvements, Trail Network, Metal Buildings, Gated Entrance, County Road, Pavement, Hunting, Wild Game, Whitetail, Bear, Other Game, Turkey, Waterfront, Creek, Improvements, Hunting Improvements, Food Plot, Tree Stands, Building Improvements, Investment, Roads, Road Frontage, Road Access, Tillable / Production Acres, Pine Trees, Hardwood Trees, Softwood Trees, Housing, Cabin, Utilities, Electric, Propane, Area Features, Public Hunting, Public Fishing, Public Access Area, Golf Course, Airport, Activities on Property, Hiking, ATV Riding, Horseback Riding, Camping, Family Activities, Biking, Snowmobiling, Camping/Campground

Land Type

Hunting and Recreational

Property Type

Recreational Land, Hunting Land

Land and Farm Property Types

Land - Hunting, Land - Recreational

Road Frontage

County Road

Road Surface

Pavement

Outbuildings

Metal

Land Details

Timber

Improvements/Features

Small Game, Big Game, Wetlands, Trail Network, Gated Entrance

Other Property Details

Coordinates

45.7548, -92.284

Annual Taxes

$1,662

Sold Property

For more information or to see additional properties currently for sale see Chris Polfus's listings.

Nearby Related Properties


For Sale
$400,000 39.88 acres ±
Burnett County • Webster, WI 54893
For Sale
$395,000 39.15 acres ±
Burnett County • Danbury, WI 54830
New
$221,292 20.49 acres ±
Polk County • Luck, WI 54853
For Sale
$1,200,000 139.3 acres ±
Pine County • Hinckley, MN 55037
New
$90,000 10 acres ±
Washburn County • Trego, WI 54888
New
$1,150,000 202.71 acres ±
Pine County • Hinckley, MN 55037
Reduced
$180,000 35.07 acres ±
Pine County • Brook Park, MN 55007
New
$110,000 20 acres ±
Pine County • Brook Park, MN 55007
Stay Connected

Be Part of a Thriving Land Community!

Get the same expert advice, property strategies, and land management tips that thousands of landowners trust. Subscribe now and stay ahead in the market.