Sold

Once In A Lifetime Estate With Outdoor Recreation

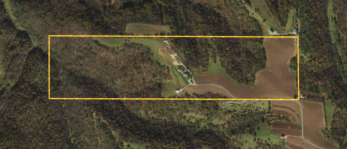
Acreage

158.26 ±

County

Crawford

SOLD

Address 29917 Lenzendorf Ln, Lot#WP001 Prairie Du Chien, WI 53821

View on Google Maps

Description

Located at the end of a secluded dead-end lane, you will find one of the most magnificent estates the entire Midwest has to offer. This custom 14,000+ square foot home is the perfect place for a corporate retreat or a primary residence. With 6 bedrooms and 8.5 bathrooms, you will struggle to find another place that can accommodate more guests. If additional space is required, there are 4 RV hookups with 30 amp electrical service around the home which can be used by guests for their own private space.

Upon entering the home, you will see cathedral ceilings and an impressive two-story stone fireplace. The open concept main floor flows from the living room into the dining room and spacious kitchen. The master bedroom is on the main level which includes a California walk-in closet and a large master bathroom including dual sinks, a steam shower, and a jetted tub. A second bedroom, which could be used as an office space, features a full bathroom. The kitchen is truly a chef’s dream. A centered island topped with granite provides a surplus of space for preparing and serving food. The kitchen features two wolf LP ranges, a wall oven and microwave, dual Subzero refrigerators, and a spacious walk-in pantry closet.

Moving past the kitchen, a long hallway leads to the indoor 24’x56’ saltwater swimming pool with a 10-person hot tub. The pool room features a changing room, a full bathroom, a kitchenette, and radiant in-floor heat. The walls separating the pool room and the rest of the home are fully soundproof allowing guests to enjoy themselves in the pool without disrupting anyone in the home.

The second story of the home has access from two staircases and features four bedrooms. Two of the bedrooms have their own full bathrooms. There is an additional full bathroom upstairs with a jetted tub to support the other two bedrooms.

The basement is mainly used as an entertainment, gaming, and exercise space. The large living room is full of gaming tables and exercise equipment. If you’d like to relax at the end of the night and watch a movie, there is a multi-level home theater that can easily accommodate 10+ people. A bonus room can be used as an additional sleeping space. There is also a full bathroom and a second washer and dryer hookup. Radiant in-floor heating runs throughout the basement helping keep the basement at a comfortable temperature during colder months.

In addition to the in-floor heating in the basement and pool room, the house has two Geothermal systems to heat and cool the home. Three LP furnaces are hooked up and ready to be used as backups if needed. The 90% high-efficiency wood-burning fireplace on the main level also helps keep the annual heating bill down. 60 solar panels on the roof produce $200-$300 of electricity per month to keep the electric bill to a minimum. Outside the house, there is a 48’ x 50’ pole barn with concrete flooring and insulation to house your ATVs, Snowmobiles, tractors, and other toys used on the property. One portion of the building has been split off to be utilized as a workshop. I think this would be the perfect place to put a walk-in cooler for all of the deer you harvest on the property. The deer and turkey population on the property and in the area is nothing less than spectacular. I have no doubt that someone could harvest top-end deer year in and year out. There has been minimal hunting pressure on the property for nearly 20 years creating a wildlife sanctuary. Mature timber, not enrolled in any government programs, thick vegetation, a small stream, and approximately 36 acres of row crop fields provide the habitat to hold and produce big deer.

The 36 tillable acres +/- are currently being cash rented for $200 per acre. An additional 13 acres +/- of open fields could be converted into income-producing fields or planted in various food plots to aid in attracting and nourishing wildlife. These fields would also make excellent pasture for horses you might have on the property. A well-maintained trail system runs throughout the property which is perfect for riding ATVs, snowmobiles, horses, and hiking. They also provide you with quiet access to and from your tree stands. If 158.26 acres +/- isn’t enough for you, and you would like more, there is an additional 320.5 acres +/- that is available for sale adding up to just shy of 479 total acres +/-. Being only 20 minutes away from Prairie du Chien, you are very close to an airport, Cabela’s, grocery stores, restaurants, hotels, and other amenities. The Wisconsin River flows into the Mississippi nearby creating unbelievable fishing and waterfowl hunting opportunities for you as well. Several spring-fed trout streams are only minutes away, so make sure you bring your fly rods! The opportunities with this property and in the surrounding area are truly limitless. If you are interested in taking a look at this once-in-a-lifetime property, give me a call to set up your private showing!

Summary

Improvements/Features

Big Game, Upland Game, Creek/Spring, Small Game, Trail Network, Internal Road System

Features

Wild Game, Whitetail, Turkey, Upland Game, Waterfront, Home, Improvements, Spring, Big Game, Small Game, Grouse, Other Game, Roads, Road Frontage, County Road, Road Access, Gravel, Fence, Partial Fence, Fence Material, Wire, Tillable / Production Acres, Hardwood Trees, Corn, Soybeans, Hay, Housing, Recreational Improvements, Trail Network, Infrastructure Improvements, Internal Road System, Wells/Pumps, Building Improvements, Shop, Utilities, Electric, Propane, Water, Septic, Internet, Cable, Telephone, Area Features, Public Hunting, Boat Ramp, Public Fishing, Public Access Area, Marina, RV Park, Camping/Campground, Golf Course, Airport, Activities on Property, Hunting, Fishing, Hiking, ATV Riding, Horseback Riding, Camping, Family Activities, Biking, Snowmobiling, Solar, Creek

Road Frontage

County Road

Road Surface

Gravel

Fencing

Partial

Outbuildings

Shop

Land Details

Hay

Land Type

Hunting and Recreational, Home on Acreage

Land and Farm Property Types

Land - Hunting, Land - Recreational, Land - Residential

Property Type

Recreational Land, Residential Land, Hunting Land

Other Property Details

Coordinates

43.1345, -91.0761

Annual Taxes

$15,000

Sold Property

For more information or to see additional properties currently for sale see Kyle Schultz's listings.

Nearby Related Properties


For Sale
$353,355 38.63 acres ±
Allamakee County • Waterville, IA 52170
For Sale
$75,000 5 acres ±
Allamakee County • Postville, IA 52162
For Sale
$417,357 52.83 acres ±
Allamakee County • Lansing, IA 52151
For Sale
$218,750 25 acres ±
Allamakee County • Postville, IA 52162
For Sale
$1,550,000 206.95 acres ±
Richland County • Blue River, WI 53518
For Sale
$3,068,500 323 acres ±
Allamakee County • New Albin, IA 52160
New
$949,000 76.62 acres ±
Vernon County • Viroqua, WI 54665
New
$336,720 28.06 acres ±
Clayton County • Strawberry Point, IA 52076
Stay Connected

Be Part of a Thriving Land Community!

Get the same expert advice, property strategies, and land management tips that thousands of landowners trust. Subscribe now and stay ahead in the market.