Sold

Hunting Property With Building And CRP Potential In Northwest WI

Acreage

83.5 ±

County

Dunn

SOLD

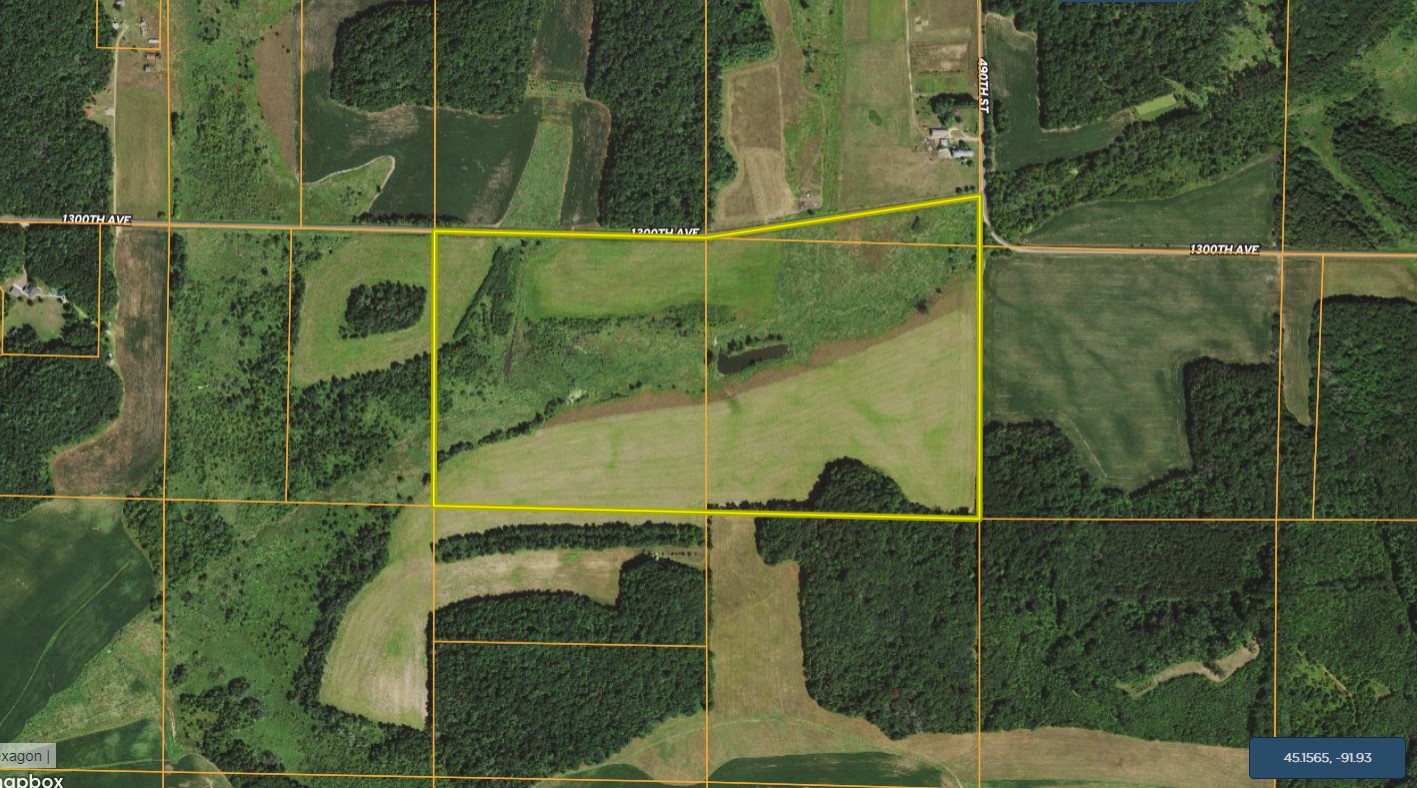
Address 1300th Ave, Lot#WP001 Wheeler, WI 54772

View on Google Maps

Description

This property is very diverse. Build a home and overlook dozens of acres of CRP wildflowers. Walk the snowmobile trail and jump some ducks on your pond or maybe catch a brook in your trout stream. CRP contract pays $100/acre and has about 10 years remaining. Eventually, this property could return to highly productive farm ground for even greater return. Part of a larger parcel has been split into two separate parcels making it much more affordable. More land is available if you wish so be sure to ask the agent. Until then, hunt, fish, maybe build a home, and enjoy! 

Details

  • Approximately 10 years remaining on the CRP program returning $100/acre
  • Snowmobile runs through the property for enhanced recreational opportunities
  • Train your upland hunting dogs as pheasants and ducts abound
  • Located an easy commute north of Menomonie, WI
  • Taxes are $275.14

Summary

Features

Wild Game, Whitetail, Waterfowl, Upland Game, Waterfront, Creek, Pond (0-3 acres), Improvements, Investment, Conservation Reserve Program (CRP), Bear, Fish, Wetlands, Big Game, Pheasant, Duck, Geese, Trout, Roads, Road Frontage, County Road, Road Access, Pavement, Recreational Improvements, Trail Network, Government Programs, Area Features, Public Hunting, Boat Ramp, Public Fishing, Public Access Area, Marina, RV Park, Camping/Campground, Golf Course, Airport, Activities on Property, Hunting, Fishing, Hiking, ATV Riding, Horseback Riding, Camping, Family Activities, Biking, Snowmobiling

Land Type

Hunting and Recreational, Waterfowl

Land Details

Pond, Enrolled in Government Program

Road Surface

Pavement

Property Type

Recreational Land, Hunting Land

Road Frontage

County Road

Improvements/Features

Big Game, Waterfowl, Upland Game, Fish, Wetlands, Trail Network

Land and Farm Property Types

Land - Hunting, Land - Recreational

Other Property Details

Coordinates

45.1523, -91.9167

Annual Taxes

$275

Sold Property

For more information or to see additional properties currently for sale see Neil Hauger's listings.

Nearby Related Properties


New
$400,000 80 acres ±
Rusk County • Weyerhaeuser, WI 54895
For Sale
$1,310,000 40 acres ±
Pierce County • Beldenville, WI 54003
New
$754,000 200 acres ±
Polk County • Luck Wi, WI 54853
Reduced
$469,900 77.99 acres ±
Eau Claire County • Eleva, WI 54738
For Sale
$145,000 26.58 acres ±
Polk County • Frederic, WI 54837
For Sale
$1,300,000 960 acres ±
Sawyer County • Exeland, WI 54835
For Sale
$900,000 78.81 acres ±
Goodhue County • Red Wing, MN 55066
Reduced
$1,309,000 374 acres ±
Sawyer County • Ojibwa, WI 54862

Be Part of a Thriving Land Community!

Get the same expert advice, property strategies, and land management tips that thousands of landowners trust. Subscribe now and stay ahead in the market.