Sold

Great Hunting Parcel With Possible Building Location By Brandon

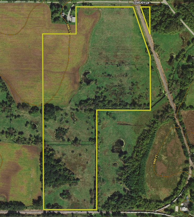
Acreage

52.72 ±

County

Fond du Lac

SOLD

Address Lovejoy Lane Brandon, WI 53919

View on Google Maps

Description

Located in a great area, this parcel is what you have been waiting for. A perfect mixture of tillable, thickets, hardwoods, and some wetlands. A possible building location in the tillable field could offer some great views of wildlife roaming the property. The amount of deer sign on this tract is amazing, beaten down trails meander all over. Being located on a dead-end road also gives you the privacy you have been looking for. Call today to schedule a showing. 

Details

  • Tillable
  • Hardwood islands
  • Thicket for prime bedding
  • Great deer sign
  • Private setting
  • Crop rental income potential
  • Possible building lot
  • Taxes $457 approximately for 2020 tax season

Summary

Features

Tillable, Wild Game, Whitetail, Waterfowl, Turkey, Upland Game, Waterfront, Pond (0-3 acres), Pasture, Wetlands, Big Game, Small Game, Pheasant, Other Game, Duck, Geese, Roads, Road Frontage, County Road, Road Access, Pavement, Tillable / Production Acres, Hardwood Trees, Softwood Trees, Corn, Soybeans, Alfalfa, Hay, Utilities, Electric, Activities on Property, Hunting, Hiking, ATV Riding, Horseback Riding, Family Activities, Biking, Recreational Improvements

Road Frontage

County Road

Road Surface

Pavement

Land Details

Tillable, Pond, Pasture, Hay

Improvements/Features

Big Game, Waterfowl, Upland Game, Wetlands, Small Game

Land Type

Hunting and Recreational, Waterfowl

Land and Farm Property Types

Land - Hunting, Land - Recreational

Feeds

Trulia, Zillow

Property Type

Recreational Land, Hunting Land

Other Property Details

Coordinates

43.746, -88.7888

Annual Taxes

$457

Sold Property

For more information or to see additional properties currently for sale see Seth Gade's listings.

Nearby Related Properties


For Sale
$924,900 80 acres ±
Fond du Lac County • Brandon, WI 53919
For Sale
$945,000 39.54 acres ±
Fond du Lac County • Fond du Lac, WI 54937
For Sale
$2,500,000 165.31 acres ±
Fond du Lac County • Saint Cloud, WI 53079
Reduced
$699,000 74 acres ±
Dane County • Marshall, WI 53559
Reduced
$460,000 80 acres ±
Jefferson County • Waterloo, WI 53594
For Sale
$369,000 20 acres ±
Sheboygan County • Waldo, WI 53093
Reduced
$284,900 25.13 acres ±
Adams County • Wisconsin Dells, WI 53965
Reduced
$1,399,900 263.17 acres ±
Adams County • Friendship, WI 53934
Stay Connected

Be Part of a Thriving Land Community!

Get the same expert advice, property strategies, and land management tips that thousands of landowners trust. Subscribe now and stay ahead in the market.