Sold

Outstanding Hunting Property With Building Site Location Near Dundee

Acreage

117 ±

County

Fond du Lac

SOLD

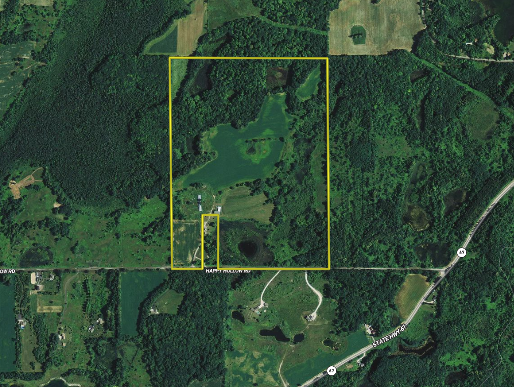
Address Happy Hollow Road, Lot#WP01 Dundee, WI 53010

View on Google Maps

Description

Whether you are looking to construct your dream home, have the hobby farm you have always wanted, or just hunt trophy class whitetail bucks, this property is calling your name. Located in the sought after Kettle Moraine, this rolling property has everything you have been wishing for and more. The outbuilding is a great asset whether if you are looking to have animals or just a safe place to store your equipment on site.  The internal trail system offers up great horseback or ATV opportunities. When it comes to hunting, this gem has all the aspects of holding and growing mature whitetails; rolling oak ridges, thicket bedding, secluded destination ag fields, and multiple ponds.  The property is large but it hunts even bigger! Call listing agent Seth Gade today to schedule your private showing to see first hand what this great property has to offer.

Details

  • Building site location
  • Outbuildings including a farrowing hog barn
  • Perfect mixture of tillable, rolling hardwoods, thickets
  • Many secluded food plot locations
  • Trophy hunting area
  • Located in the Kettle Moriane
  • Perfect hobby farm
  • Outstanding hunting property
  • Ponds
  • Internal trail system for horseback riding, ATV, and hiking
  • Public hunting next door for added hunting possibilities
  • Tillable rental income
  • 45 +/- minutes from the Greater Milwaukee area

Summary

Features

Tillable, Wild Game, Whitetail, Waterfowl, Turkey, Upland Game, Waterfront, Pond (0-3 acres), Improvements, Metal Buildings, Investment, Pasture, Wetlands, Big Game, Small Game, Pheasant, Other Game, Duck, Geese, Roads, Road Frontage, County Road, Road Access, Pavement, Tillable / Production Acres, Hardwood Trees, Softwood Trees, Corn, Oats, Wheat, Soybeans, Alfalfa, Clover, Hay, Sunflowers, Recreational Improvements, Trail Network, Infrastructure Improvements, Wells/Pumps, Building Improvements, Barn, Utilities, Electric, Area Features, Public Hunting, Boat Ramp, Public Fishing, Public Access Area, Marina, RV Park, Camping/Campground, Golf Course, Activities on Property, Hunting, Hiking, ATV Riding, Horseback Riding, Camping, Family Activities, Biking, Snowmobiling, Tillable, Wild Game, Whitetail, Waterfowl, Turkey, Upland Game, Waterfront, Pond (0-3 acres), Improvements, Metal Buildings, Investment, Pasture, Wetlands, Big Game, Small Game, Pheasant, Other Game, Duck, Geese, Roads, Road Frontage, County Road, Road Access, Pavement, Tillable / Production Acres, Hardwood Trees, Softwood Trees, Corn, Oats, Wheat, Soybeans, Alfalfa, Clover, Hay, Sunflowers, Recreational Improvements, Trail Network, Infrastructure Improvements, Wells/Pumps, Building Improvements, Barn, Utilities, Electric, Area Features, Public Hunting, Boat Ramp, Public Fishing, Public Access Area, Marina, RV Park, Camping/Campground, Golf Course, Activities on Property, Hunting, Hiking, ATV Riding, Horseback Riding, Camping, Family Activities, Biking, Snowmobiling

Road Frontage

County Road

Road Surface

Pavement

Outbuildings

Barn

Land Details

Tillable, Pond, Pasture, Hay

Improvements/Features

Big Game, Waterfowl, Upland Game, Wetlands, Small Game, Trail Network

Land Type

Hunting and Recreational, Timberland, Waterfowl

Land and Farm Property Types

Land - Hunting, Land - Recreational, Timberland - Natural

Property Type

Recreational Land, Timberland, Hunting Land

Other Property Details

Coordinates

43.6381, -88.2165

Annual Taxes

$2,192

Sold Property

For more information or to see additional properties currently for sale see Seth Gade's listings.

Nearby Related Properties


For Sale
$2,500,000 165.31 acres ±
Fond du Lac County • Saint Cloud, WI 53079
For Sale
$369,000 20 acres ±
Sheboygan County • Waldo, WI 53093
For Sale
$945,000 39.54 acres ±
Fond du Lac County • Fond du Lac, WI 54937
For Sale
$924,900 80 acres ±
Fond du Lac County • Brandon, WI 53919
Reduced
$77,900 0.34 acres ±
Waukesha County • Sussex, WI 53089
New
$220,000 55 acres ±
Manitowoc County • Whitelaw, WI 54247
Reduced
$460,000 80 acres ±
Jefferson County • Waterloo, WI 53594
Reduced
$699,000 74 acres ±
Dane County • Marshall, WI 53559
Stay Connected

Be Part of a Thriving Land Community!

Get the same expert advice, property strategies, and land management tips that thousands of landowners trust. Subscribe now and stay ahead in the market.